ChangeOfUse Rammetillatelse Enebolig

Bruksendring og fasadeendring i underetasje, Bråtan 61

📍 Bråtan 61 , 3022 DRAMMEN

Nøkkelinfo

Sakstype
Bruksendring
Bygningstype
Enebolig
Bruksareal
147 m²
Boenheter
1
Kommune
Drammen
Fylke
Buskerud
Gnr / Bnr
116 / 1911
Saksnummer
22/12674
Fase
Rammetillatelse

Om byggesaken

Underetasjen i en eksisterende enebolig på Bråtan 61 ombygges til to hybler som ikke utgjør selvstendige boenheter, men inngår som del av hovedboenheten med intern forbindelse. Bruksendringen innebærer omdisponering av rom i kjelleretasjen, inkludert etablering av to soverom, bad og stueområder. Fasadeendringene består i innsetting av 12 nye vinduer og 2 nye dører på bygningens sørvestlige, nordvestlige og sørøstlige fasader, tilpasset eksisterende fasadestruktur og materialbruk. Arealet i underetasjen er ca. 147 m², og tiltaket inkluderer også terrengjusteringer rundt bygget. Det etableres ikke kjøkken i underetasjen, og det er intern trapp mellom kjeller og hovedetasje. Tiltaket har godkjent arkitektonisk utforming og visuelle kvaliteter, og det er gitt tillatelse med vilkår om oppdatert gjennomføringsplan og kontroll.

Arbeidsomfang

- Bruksendring av underetasje til to hybler (konvertering av kjeller) - Endring fra tilleggsdel til hoveddel - Fasadeendringer på utvendig side - Inntegning av kjøkken i nyoppdelt areal - Oppføring av nye vegger og gulv i underetasjen - Elektriske installasjoner for nytt kjøkken og rom - Vann- og avløpsarbeider knyttet til kjøkken

Produkter og materialer

Vinduer Fasadevindu

🧱 Tre/aluminium

Antall: 12

Vinduer i kjellerfasade, dimensjoner varierende, tilpasset eksisterende fasade, ikke smårutede

Nye fasadevinduer i kjelleretasjen for økt dagslys og ventilasjon

Fasade Trepanel

🧱 Tre

Fasadeendringer tilpasset eksisterende trepanel og fasadestruktur

Oppgradering og tilpasning av fasade rundt nye vinduer og dører

Tømrer Innvendige vegger og rominndeling

🧱 Tre og gips

Oppføring av nye vegger for rominndeling i kjeller, inkludert soverom, bad og stue

Innvendig ombygging for bruksendring til hybler

Dører Ytterdør

🧱 Tre/aluminium

Antall: 2

Ytterdører i kjellerfasade, dimensjoner ca. 100x210 cm

Nye ytterdører i kjellerfasade for adkomst til hybler

Grunnarbeid Terrengarbeid

Enkle terrengendringer rundt bygget i forbindelse med fasadeendringer

Terrengjusteringer ved fasadeendringer

VVS Sanitærinstallasjoner

VVS-installasjoner for bad og vaskerom i kjeller

Sanitærinstallasjoner for nye bad og vaskerom

Bad Våtromsinnredning

Antall: 3

Etablering av tre bad i kjeller, inkludert våtromsmembran og sanitærutstyr

Nye bad i kjeller for hybler

Elektro Elektrisk anlegg

Elektrisk installasjon for belysning og stikkontakter i kjeller

Elektrisk anlegg i kjeller for nye rom

Trapper Innvendig trapp

🧱 Tre

Antall: 1

Eksisterende innvendig trapp mellom kjeller og hovedetasje opprettholdes

Intern forbindelse mellom underetasje og hoveddel

Gulv Gulvbelegg

Standard gulvbelegg i kjelleretasjen tilpasset boligstandard

Gulvbehandling i nye rom i kjeller

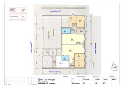
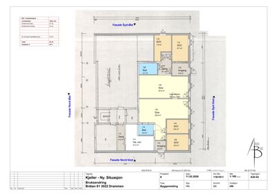
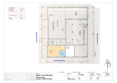
Plantegning

Hovedbygg 1,059.1 m²

Etasje 1 1,059.1 m²

Rom Areal Vinduer Dører
SOV 103 20.7 m² 0 1
Bad 113 3.3 m² 0 1
Tek. rom 114 12.4 m² 0 1
Kjeller 101 0.0 m² 0 0
Kjeller 102 0.0 m² 0 0
Gang 104 0.0 m² 0 0

Enebolig 307.4 m²

Etasje 0 147.4 m²

Rom Areal Vinduer Dører
Kjeller 001 147.4 m² 0 1
Vaskerom 002 4.8 m² 0 1
Bad 003 5.5 m² 0 1
Toalett 004 2.0 m² 0 1
Kjøkken 005 12.5 m² 1 1
Stue 006 20.3 m² 2 1
Sovev. 1 007 12.4 m² 1 1
Sovev. 2 008 15.6 m² 1 1
Soverom 103 20.7 m² 0 1
Bad 113 3.3 m² 0 1
Teknisk rom 114 12.4 m² 0 1
Bod 126 17.7 m² 0 1
Bad 130 4.4 m² 0 1
Bad 137 5.2 m² 0 1
Bod 138 3.5 m² 0 1
Stue U0101 55.1 m² 2 2
Stue U0102 68.9 m² 2 2
Gang 131 4.1 m² 0 2
Inngang 132 5.3 m² 0 1
Gang 133 1.9 m² 0 1
Soverom 134 9.2 m² 1 1
Gang 117 4.3 m² 0 1
Stue 135 28.9 m² 2 1
Gang 116 6.1 m² 0 2
Kjøkken 136 10.9 m² 0 1
Kjøkken 128 10.4 m² 0 1
SOV 115 7.8 m² 1 1

Etasje 1 160.0 m²

Rom Areal Vinduer Dører
Gang 101 12.5 m² 0 2
Vaskerom 102 2.1 m² 0 1
Bad 103 5.9 m² 0 1
Toalett 104 2.0 m² 0 1
Kjøkken 105 12.5 m² 1 1
Stue 106 20.3 m² 2 1
Sovev. 1 107 12.4 m² 1 1
Sovev. 2 108 15.6 m² 1 1
Sovev. 3 109 14.7 m² 1 1
Sovev. 4 110 16.1 m² 1 1
Sovev. 5 111 12.1 m² 1 1
Sovev. 6 112 12.1 m² 1 1

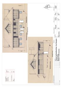
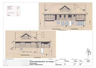
Fasader

Enebolig

Nord-Øst
Materiale
Tre
Taktype
Saltak
Høyde
1.0 m
Vinduer
5
Dører
2
Synlige etasjer
1
Syd-Øst
Materiale
Tre
Taktype
Saltak
Høyde
1.7 m
Vinduer
4
Dører
1
Synlige etasjer
1
Nordøst
Materiale
Tre
Taktype
Saltak
Høyde
2.0 m
Mønehøyde
6.2 m
Vinduer
4
Dører
1
Synlige etasjer
1
Nordvest
Materiale
Tre
Taktype
Saltak
Vinduer
3
Dører
1
Synlige etasjer
1
Sørvest
Materiale
Tre
Taktype
Saltak
Vinduer
6
Dører
1
Synlige etasjer
1
Søraust
Materiale
Tre
Taktype
Saltak
Vinduer
4
Dører
1
Synlige etasjer
1
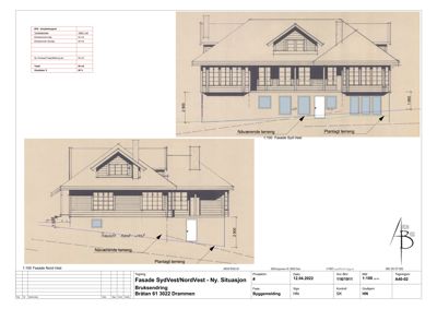
Syd-Vest
Materiale
Tre
Taktype
Saltak
Høyde
2.9 m
Vinduer
12
Dører
1
Balkonger
1
Synlige etasjer
2
Nord-Vest
Materiale
Tre
Taktype
Saltak
Høyde
2.9 m
Vinduer
6
Dører
1
Synlige etasjer
2
Sørøst
Materiale
Tre
Taktype
Saltak
Vinduer
4
Dører
1
Balkonger
1
Synlige etasjer
2
Sydøst
Materiale
Tre
Taktype
Saltak
Høyde
1.7 m
Mønehøyde
6.2 m
Vinduer
5
Dører
1
Synlige etasjer
2

Hendelser

31.03.2026 Bråtan 61, tillatelse til endring av gitt tillatelse
23.03.2026 Bråtan 61, svar på mangelbrev, korrigering av en feil i tidligere kommunikasjon
23.03.2026 Bråtan 61, svar på mangelbrev, nye oppdaterte opplysninger om kjøkken
23.03.2026 Bråtan 61, kopi: svar på mangelbrev, inntegning av kjøkken
20.03.2026 Bråtan 61, svar på mangelbrev
11.03.2026 Bråtan 61, vi trenger flere opplysninger for å behandle søknaden din annet
26.02.2026 Bråtan 61 Søknad om endring av gitt tillatelse eller godkjenning 116/1911 søknad
24.08.2022 116/1911, Bråtan 61, bruksendring av underetasje til 2 hybler.
05.07.2022 Bråtan 61, tillatelse til bruksendring fra tilleggsdel til hoveddel og fasadeendring
02.06.2022 Bråtan 61,Svarbrev til mangelbrev.
01.06.2022 Bråtan 61, vi trenger flere opplysninger for å behandle søknaden din søknad
22.04.2022 Bråtan 61, melding om mottatt søknad søknad
21.04.2022 Bråtan 61 Søknad om tillatelse i ett trinn 116/1911 søknad