ChangeOfUse Soeknad Enebolig

Bruksendring av garasje til soverom i Sundvikvegen 28

📍 Sundvikvegen 28 , 5451 VALEN

Nøkkelinfo

Sakstype
Bruksendring
Bygningstype
Enebolig
Bruksareal
31 m²
Boenheter
1
Kommune
Kvinnherad
Fylke
Vestland
Gnr / Bnr
154 / 261
Saksnummer
2026/3203
Fase
Søknad

Om byggesaken

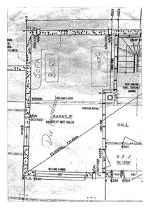
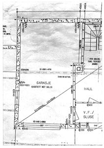
Garasjen på Sundvikvegen 28 bygges om til et soverom med et areal på 31,24 m². Garasjeporten fjernes og erstattes med to nye vinduer i ytterveggen, som tilpasses fasaden slik at den blir symmetrisk med motsatt side av ytterdøren. Rommet måler 7,10 meter i lengde og 4,40 meter i bredde. Endringen innebærer bruksendring fra tilleggsdel til hoveddel i eneboligen, med nødvendige fasadeendringer og tilpasninger for oppholdsrom.

Produkter og materialer

Grunnarbeid Gulv og fundament

Tilpasning av gulv og fundament for oppholdsrom

Eventuelle tilpasninger i gulv og fundament for å oppfylle krav til oppholdsrom

Fasade Trepanel

🧱 tre

Fasadeendring for å tilpasse ny vindusplassering og fjerne garasjeport

Tilpasning av trepanel på fasade etter fjerning av garasjeport og innsetting av vinduer

Dører Garasjeport

Antall: 1

Fjerning av eksisterende garasjeport

Fjerning av garasjeport for ombygging til soverom

Innvendig arbeid Romombygging

Ombygging av garasje til oppholdsrom, inkludert isolasjon, overflater og tekniske installasjoner til soveromstandard

Innvendig ombygging for å tilpasse garasjerom til soverom med nødvendige tekniske og bygningsmessige tiltak

Vinduer Fasadevindu

🧱 tre eller tilsvarende

Antall: 2

To nye vinduer i yttervegg som erstatter garasjeport, fasademessig tilpasset motsatt side av ytterdør

Nye fasadevinduer for å erstatte garasjeport og tilpasse fasaden til soverommet

Plantegning

Enebolig 131.5 m²

Etasje 1 131.5 m²

Rom Areal Vinduer Dører
Soverom 101 131.5 m² 0 1

Garasje 0.0 m²

Etasje 1 0.0 m²

Rom Areal Vinduer Dører
Garasje 0 0.0 m² 0 0
Hall 0 0.0 m² 0 0
V.F. / Sluse 0 0.0 m² 0 0

Fasader

Hovedbygg

Vest
Materiale
Tre
Taktype
Saltak
Vinduer
10
Dører
1
Balkonger
1
Synlige etasjer
2

Enebolig

Nord
Materiale
Tre
Taktype
Saltak
Vinduer
10
Dører
1
Synlige etasjer
2

Hendelser

15.04.2026 Svar på nabovarsel - bruksendring - 154/261 - Valen - Kvinnherad kommune
10.04.2026 Søknad om bruksendring - Oppdatert - 154/261
08.04.2026 Søknad om tiltak utan ansvarsrett - 154/261