NewConstruction UnderBehandling Enebolig

Ny enebolig med vei og VA på Asdal 60, Arendal

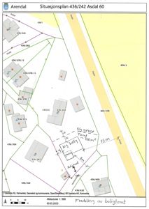
📍 Asdal 60 , 4824 BJORBEKK

Nøkkelinfo

Sakstype
Nybygg
Bygningstype
Enebolig
Bruksareal
700 m²
Boenheter
1
Kommune
Arendal
Fylke
Agder
Gnr / Bnr
436 / 242
Saksnummer
2025/17761
Fase
Under behandling

Om byggesaken

Ny enebolig skal oppføres på en nyfradelt tomt på ca. 700 m² på Asdal 60 i Arendal kommune. Tomten ligger innenfor kommuneplanens boligområde og er underlagt hensynssone for ras- og skredfare, som er utredet og vurdert som akseptabelt. Boligen skal tilkobles offentlig vann- og avløpsnett, og det er gitt avkjøringstillatelse fra fylkesvei med privat vei som adkomst. Det foreligger geoteknisk rapport som dokumenterer stabile grunnforhold. Det er gitt dispensasjon fra byggegrense mot fylkesvei med krav til avstand og sikt. Prosjektet inkluderer opparbeidelse av vei, tilkobling til VA, og oppføring av bolig i tråd med gjeldende regulering og tekniske krav.

Produkter og materialer

Mur Grunnmur

Grunnmur tilpasset geoteknisk rapport og stabile grunnforhold

Fundamentering og grunnmur basert på geoteknisk undersøkelse

Rekkverk Trapper og rekkverk

Innvendig trapp og rekkverk iht. boligstandard

Trapper og rekkverk i bolig for sikkerhet og funksjon

Tak Saltak

Saltak som vist på fasadetegninger

Taktekking og konstruksjon i henhold til standard boligbygg

Elektro Elektrisk installasjon

Elektrisk anlegg i bolig iht. gjeldende forskrifter

Installasjon av strøm og belysning i ny bolig

VVS Tilkobling til offentlig vann- og avløpsnett

Offentlig vannforsyning og avløp med kapasitet bekreftet av kommunalteknikk

VA-tilkobling for bolig og slokkevann iht. pbl § 27-1 og § 27-2

Tømrer Enebolig konstruksjon

🧱 Tre

Ny enebolig i tre med saltak, tilpasset byggegrense og reguleringsplan

Oppføring av bolig med standard konstruksjon og materialvalg i henhold til kommuneplan

Ventilasjon Ventilasjonssystem

Ventilasjon i henhold til TEK17 krav for bolig

Mekanisk eller naturlig ventilasjon for boligkomfort og luftkvalitet

Gulv Innvendige gulv

Standard gulvbelegg i bolig

Gulv i oppholdsrom og våtrom tilpasset boligstandard

Bad Baderomsinnredning

Bad med sanitærutstyr og fliser iht. boligstandard

Fullt utstyrt bad med nødvendige installasjoner

Fasade Fasadebekledning

Fasade i henhold til vedlagte fasadetegninger og kommuneplanens krav

Yttervegger med fasadebekledning tilpasset boligtype og estetikk

Grunnarbeid Opparbeidelse av tomt og vei

Opparbeidelse av privat vei med avkjørsel til fylkesvei, inkludert snuplass på egen eiendom

Grunnarbeid for vei og tomt, inkludert veirett og avkjøringstillatelse

Hendelser

14.04.2026 Fakturagrunnlag
14.04.2026 436/242 - Asdal 60 - Fradeling - behandling etter matrikkelloven
14.04.2026 436/242/0/0 - Asdal 60 - fradeling for ny enebolig - Vedtak
29.01.2026 436/242 - Veirett
27.11.2025 436/242/0/0 - Asdal 60 - fradeling - Vedrørende søknad
14.10.2025 436/242 - Svar på anmodning om forhåndsuttalelse VA
13.10.2025 436/242 - tilleggsinformasjon
30.06.2025 436/242/0/0 - Asdal 60 - fradeling for ny enebolig - mangelbrev
19.06.2025 Asdal 60, melding om mottatt søknad
18.06.2025 Asdal 60 Søknad om tillatelse til tiltak uten ansvarsrett 436/242