NewConstruction Soeknad Enebolig

Ferdigattest for boligbygg i Rødvingetunet 25, Nannestad

📍 Rødvingetunet 1 , 2032 MAURA

Nøkkelinfo

Sakstype
Nybygg
Bygningstype
Enebolig
Bruksareal
234 m²
Boenheter
1
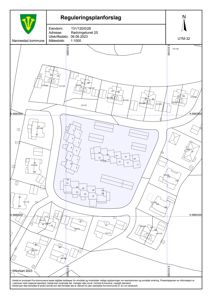
Kommune
Nannestad
Fylke
Akershus
Gnr / Bnr
131 / 120
Saksnummer
2026/1844
Fase
Søknad

Om byggesaken

Boligprosjektet består av et nyoppført boligbygg med totalt 234,5 m² BRA fordelt på flere etasjer, inkludert stue, kjøkken, flere soverom, bad, boder og entreer. Bygget har tre trapper og er utført med tre som fasademateriale. Det foreligger også et mindre bygg (HUS 3) på 39,6 m² med flatt og saltak, flere vinduer, dører, balkonger og pipe. Bygget har elektrisk og biobrensel som energikilder, med varmefordeling via elektriske varmekabler og panelovner, samt kamin/peis. Loftetasje gjenstår å innrede, og det er gitt midlertidig brukstillatelse. Bygget er plassert på eiendommen Rødvingetunet 25 i Nannestad kommune.

Produkter og materialer

Fasade Trekledning

🧱 Tre

Trekledning på alle fasader av boligbygget og HUS 3

Dører Ytterdører og innerdører

🧱 Tre

Antall: 34

Ytterdører og innerdører i tre til bolig og HUS 3

Tømrer Innvendige vegger og tak

🧱 Tre

Innvendige vegger og tak i tre i boligbygget

Vinduer Fasadevindu

🧱 Tre

Antall: 34

Fasadevindu i tre, fordelt på flere rom i boligbygget og HUS 3

Grunnarbeid Fundamentering og grunnmur

Fundamentering og grunnmur for boligbygget

Gulv Innvendige gulv

Innvendige gulv i boligbygget, standard ikke spesifisert

VVS Varme- og energisystem

Elektrisitet, biobrensel, elektriske varmekabler, elektriske panelovner, kamin/peis

Varme- og energisystem for boligbygget

Tak Saltak og flatt tak

🧱 Tre

Antall: 2

Saltak på hovedbygget og flatt tak på HUS 3, begge med trekledning

Bad Baderomsinnredning

Antall: 3

Bad med standard baderomsinnredning i boligbygget og HUS 3

Trapper Innvendige trapper

Antall: 4

Innvendige trapper i boligbygget og HUS 3

Elektro Elektrisk anlegg

Elektrisk anlegg for boligbygget, inkludert varmekabler og panelovner

Pipe Peis/pipe

Antall: 1

Pipe tilknyttet kamin/peis i boligbygget

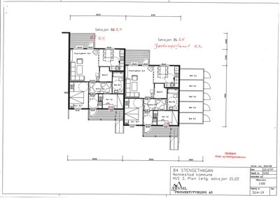
Plantegning

Enebolig 234.5 m²

Etasje 2 0.0 m²

Rom Areal Vinduer Dører
Loftstue 201 0.0 m² 2 2
Soverom 202 0.0 m² 1 1
Walk-in 203 0.0 m² 0 1
Bad 204 0.0 m² 0 1
Bod 205 0.0 m² 0 1
Stue 26 21.8 m² 1 1
Kjøkken 27 10.7 m² 1 1
Bod 28 2.1 m² 0 1
Bad 29 5.2 m² 0 1
Sov 30 10.7 m² 1 1
Entre 31 9.6 m² 0 2
Sov 32 7.2 m² 0 1
Gang 33 11.1 m² 0 0
Kjøkken 34 10.7 m² 1 1
Bod 35 2.1 m² 0 1
Sov 36 10.7 m² 1 1
Entre 37 9.6 m² 0 2
Sov 38 7.2 m² 0 1
Bod 39 5.2 m² 0 1

Etasje 1 234.5 m²

Rom Areal Vinduer Dører
Stue/kjøkken 101 31.3 m² 1 1
Sov 102 10.7 m² 1 1
Sov 103 7.2 m² 1 1
Bad 104 5.2 m² 0 1
Bod 105 3.7 m² 0 1
Entre 106 9.9 m² 0 1
Gang 107 11.1 m² 0 0
Bod 108 5.3 m² 1 1
Bod 109 5.3 m² 1 1
Bod 110 5.3 m² 1 1
Bod 111 5.3 m² 1 1

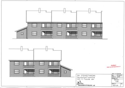
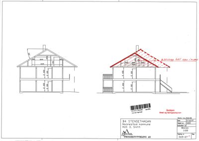
HUS 3 39.6 m²

Etasje 0 39.6 m²

Rom Areal Vinduer Dører
Stue 24.4 24.4 m² 1 1
Sov 10.4 10.4 m² 1 1
Bad 5.3 5.3 m² 0 1
Bod 6.6 6.6 m² 1 1
Bod 3.3 3.3 m² 0 1
Stue 28 24.4 m² 1 2
Stue 29 24.4 m² 1 2
Stue 30 24.4 m² 1 2
Stue 24,4 24.4 m² 1 2
Sov 10,4 10.4 m² 1 1
Bad 5,3 5.3 m² 0 1
Bod 6,6 6.6 m² 0 1
Bod 3,3 3.3 m² 0 1
Stue 101 24.4 m² 1 1
Sov 102 10.4 m² 1 1
Bad 103 5.3 m² 0 1
Bod 104 6.6 m² 0 1
Bod 105 3.3 m² 0 1

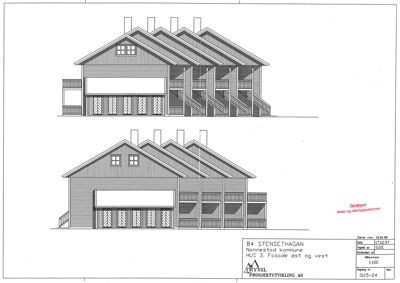
Fasader

HUS 3

Nord
Materiale
Tre
Taktype
Flatt tak
Vinduer
10
Dører
3
Balkonger
6
Synlige etasjer
2
Sør
Materiale
Tre
Taktype
Saltak
Vinduer
10
Dører
0
Balkonger
3
Synlige etasjer
2
Øst
Materiale
Tre
Taktype
Saltak
Vinduer
1
Dører
5
Balkonger
1
Synlige etasjer
2
Vest
Materiale
Tre
Taktype
Saltak
Vinduer
2
Dører
5
Balkonger
3
Synlige etasjer
2

Hendelser

16.04.2026 Gnr 131/120 - søknad om ferdigattest