VerticalExtension Rammetillatelse Enebolig

Takoverbygg over terrasse i Furuveien 14, Hokksund

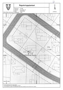
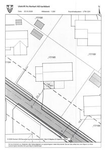
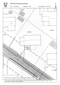
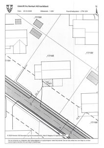
📍 Furuveien 14 , 3300 HOKKSUND

Nøkkelinfo

Sakstype
Påbygg
Bygningstype
Enebolig
Bruksareal
25 m²
Boenheter
1
Kommune
Øvre Eiker
Fylke
Buskerud
Gnr / Bnr
17 / 185
Saksnummer
2026/2054
Fase
Rammetillatelse

Om byggesaken

Ny terrasse med takoverbygg på ca. 25 m² oppføres på eiendommen i Furuveien 14. Takoverbygget bygges i samme stil og med materialer som eksisterende enebolig, og skal gi bedre brukskvalitet ved å skjerme mot vær og vind. Terrassen med takoverbygg plasseres på eksisterende terreng og ligger ca. 10,2 meter fra senterlinje vei, med dispensasjon fra regulert byggegrense. Tiltaket inkluderer god overvannshåndtering med takrenner og avløp. Det er en enetasjes konstruksjon med saltak, tilpasset boligens arkitektur.

Produkter og materialer

Grunnarbeid Terrengtilpasning

Tiltaket godkjennes på eksisterende terreng

Grunnarbeid for terrasse og takoverbygg på eksisterende terreng

Tak Saltak

Antall: 1

Takoverbygg på ca. 25 m² med saltak, i samme stil og materialer som eksisterende bolig

Takoverbygg over terrasse for værbeskyttelse

Fasade Tilpasning til eksisterende fasade

Takoverbygg utformes i samme stil og materialer som eksisterende enebolig

Material- og stiltilpasning til eksisterende bolig

VVS Takrenner og avløp

God overvannshåndtering med takrenner og avløp fra takoverbygg

Overvannshåndtering for takoverbygg

Tømrer Konstruksjon av takoverbygg og terrasse

Bygging av terrasse og takoverbygg i tre eller tilsvarende materiale tilpasset bolig

Tømrerarbeid for terrasse og takoverbygg

Terrasse Terrasse med takoverbygg

Antall: 1

Terrasse på ca. 25 m² inkludert i tiltaket, eksisterende terrasse inngår i søknaden da den ikke er godkjent

Terrasse med tilhørende takoverbygg

Fasader

Hovedbygg

Ukjent
Taktype
Saltak
Vinduer
2
Dører
0
Synlige etasjer
1

Enebolig

Sør
Taktype
Saltak
Vinduer
2
Dører
1
Balkonger
1
Synlige etasjer
1
Vest
Taktype
Saltak
Vinduer
0
Dører
0
Synlige etasjer
1

Hendelser

14.04.2026 Registreringsskjema dispensasjon
14.04.2026 Godkjenning - Søknad uten ansvarsrett - Terrasse med takoverbygg - gbnr 17/185 - Furuveien 14
08.04.2026 Uttalelse - Søknad om dispensasjon fra regulert byggegrense for terrasse og takoverbygg - gbnr 17/185 - Furuveien 14, Hokksund
07.04.2026 Anmodning om uttalelse - Søknad om dispensasjon fra regulert byggegrense for terrasse og takoverbygg - gbnr 17/185 - Furuveien 14, Hokksund
26.03.2026 Søknad om dispensasjon og svar på mangelbrev - Takoverbygg over terrasse - gbnr 17/185 - Furuveien 14, Hokksund
05.03.2026 Mangelbrev - Takoverbygg over terrasse - gbnr 17/185 - Furuveien 14
03.03.2026 Søknad uten ansvarsrett - Takoverbygg over terrasse - gbnr 17/185 - Furuveien 14, Hokksund