Extension UnderBehandling Enebolig

Tilbygg, fasadeendring og garasje med bruksendring i Kyrkjevegen 10

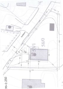
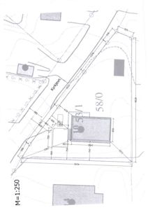
📍 Kyrkjevegen 10 , 3800 BØ I TELEMARK

Nøkkelinfo

Sakstype
Tilbygg
Bygningstype
Enebolig
Bruksareal
295 m²
Boenheter
1
Kommune
Midt-Telemark
Fylke
Telemark
Gnr / Bnr
53 / 330
Saksnummer
25/12822
Fase
Under behandling

Om byggesaken

Prosjektet omfatter et tilbygg og fasadeendring på en eksisterende enebolig i Kyrkjevegen 10, Bø i Telemark. Det inkluderer godkjenning av en garasje oppført i 2004 med flatt tak, hvor det ikke er etablert boareal over garasjen, men det søkes om godkjenning av garasjen «som bygget» eller alternativt etablering av takterrasse. Det er også søkt om bruksendring av to rom i underetasjen fra tilleggsdel til hoveddel med samlet BRA på ca. 60 m². Prosjektet inkluderer også godkjenning av støttemur oppført samtidig med garasjen. Bygget er fundamentert på stabile masser, og tiltaket ligger innenfor hensynssone for kulturmiljø, med krav til estetisk tilpasning. Det foreligger omfattende tegninger for planløsning, snitt og fasader, samt ansvarsrett for prosjektering og utførelse, hvor tiltakshaver er selvbygger. Arealet for tilbygg er ca. 48 m², og samlet BRA for bolig og garasje er ca. 295 m². Det er søkt om dispensasjon fra byggegrense for støttemur nærmere vei enn tillatt.

Produkter og materialer

Bruksendring Bruksendring av rom i underetasje

Antall: 2

To rom med samlet BRA ca. 60 m² endres fra tilleggsdel til hoveddel

Bruksendring av kjellerrom til hoveddel med tilfredsstillende takhøyde, ventilasjon, rømningsforhold, brannsikkerhet og dagslys

Dører Ytterdører og innerdører

Antall: 20

Ytterdører og innerdører i bolig og garasje

Dører i bolig og garasje, inkludert dør til garasje

Vinduer Vinduer i bolig og garasje

🧱 Tre/aluminium

Antall: 14

Vinduer i bolig og garasje, inkludert rømningsvinduer i kjeller

Vinduer i bolig og garasje, oppfyller krav til dagslys og rømningsvindu

Maling Utvendig maling av fasade

🧱 Maling for trepanel

Maling av trepanel på fasade

Grunnarbeid Fundamentering og drenering

Fundamentering på komprimerte og bæredyktige masser, drenering ved støttemur

Grunnarbeid for garasje og støttemur, utført av kvalifisert gravefirma

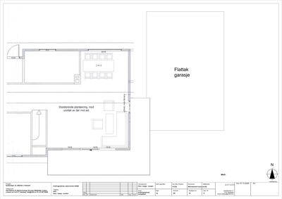
Tak Flatt tak på garasje

🧱 Takpapp

Antall: 1

Garasjetak dekket med takpapp, ikke etablert boareal over garasje

Flatt tak på garasje med takpapp, alternativt takterrasse med rekkverk

Tømrer Byggearbeider tilbygg og garasje

Utførelse av tilbygg, fasadeendring og garasje, inkludert takterrasse

Tømrerarbeider for tilbygg, fasadeendring og garasje med takterrasse

Fasade Fasaderehabilitering og fasadeendring

🧱 Tre

Fasadetegninger viser trepanel, saltak med teglstein på hovedhus, flatt tak på garasje

Fasadeendring på eksisterende enebolig med trepanel og saltak, samt fasade på garasje med flatt tak

Garasjeport Garasjeport til garasje

Antall: 1

Garasjeport til eksisterende garasje

Mur Støttemur

🧱 Betong eller stein

Antall: 1

Støttemur med høyde opptil 2 meter, bygget samtidig med garasje

Støttemur tilknyttet garasje, med drenering og stabilitet dokumentert

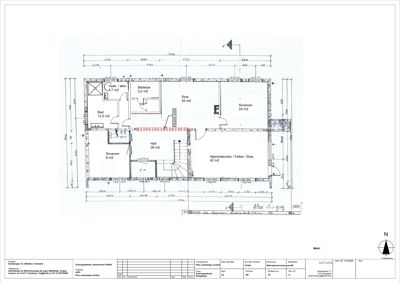
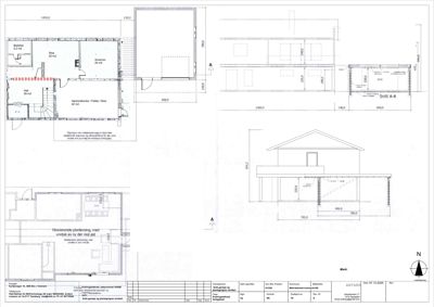
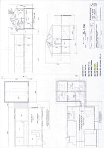
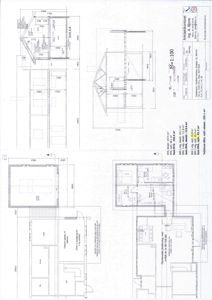
Plantegning

Enebolig 167.3 m²

Etasje 1 0.0 m²

Rom Areal Vinduer Dører
Stue 101 0.0 m² 3 2
Kjøkken 102 0.0 m² 0 1
Gang 103 0.0 m² 0 1
Bad 104 0.0 m² 0 1
Toalett 105 0.0 m² 0 1
Vaskerom 106 0.0 m² 0 1
Bod 107 0.0 m² 0 1
Mat. 108 11.2 m² 1 1
Hobbyrom 109 21.3 m² 1 1
Garasje 110 29.9 m² 1 1
Garasje 111 35.8 m² 1 1
Garasje 112 35.8 m² 1 1

Etasje 0 119.2 m²

Rom Areal Vinduer Dører
Vask. / tekn. 001 4.7 m² 0 1
Badstue 002 5.2 m² 0 1
Bad 003 12.5 m² 0 1
Stue 004 35.0 m² 1 1
Soverom 005 24.0 m² 1 1
Soverom 006 8.0 m² 0 1
Hall 007 26.0 m² 0 2
Hjemmekontor / Felles / Stue 008 42.0 m² 1 1
Vask. / tekn. 101 4.7 m² 0 1
Badstue 102 5.2 m² 0 1
Bad 103 12.5 m² 0 1
Stue 104 35.0 m² 1 1
Soverom 105 24.0 m² 1 1
Soverom 106 8.0 m² 1 1
Hall 107 26.0 m² 0 2
Hjemmekontor / Felles / Stue 108 42.0 m² 1 1
W.C. 009 0.0 m² 0 1
Garasje Garasje 35.8 m² 0 0

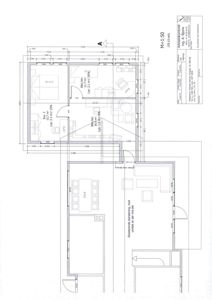
Etasje 2 48.1 m²

Rom Areal Vinduer Dører
Stue 201 31.1 m² 2 1
Gang 202 16.0 m² 0 2
Bad 203 6.9 m² 0 1
Gang 204 10.0 m² 0 2
Sov 1 205 15.7 m² 1 1
Bibliotek 206 16.9 m² 1 1
Bod 207 12.0 m² 1 1
Hobby 208 15.0 m² 1 1
Brensel 209 15.0 m² 0 1
Hall 210 12.0 m² 0 1
Garasje 211 35.8 m² 1 1

Garasje 144.0 m²

Etasje 1 144.0 m²

Rom Areal Vinduer Dører
Garasje 101 144.0 m² 0 1

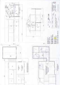
Fasader

Enebolig

Øst
Materiale
Tre
Taktype
Saltak
Vinduer
3
Dører
1
Balkonger
1
Synlige etasjer
2
Sør
Materiale
Tre
Taktype
Saltak
Takmat.
Tegl
Vinduer
7
Dører
1
Balkonger
1
Synlige etasjer
2
Vest
Materiale
Tre
Taktype
Saltak
Vinduer
2
Dører
0
Synlige etasjer
2
Nord
Materiale
Tre
Taktype
Saltak
Takmat.
Tegl
Vinduer
4
Dører
1
Synlige etasjer
1

Hendelser

15.04.2026 Oversender søknad til uttalelse - gbnr. 53/330 - Kyrkjevegen 10 - Godkjenning av endringer fra byggesak i 2004
15.04.2026 Ber om behandlingsstatus i byggesak 25/12822, gbnr. 53/330 - Kyrkjevegen 10
15.04.2026 Behandlingsstatus i byggesak 25/12822, gbnr. 53/330 - Kyrkjevegen 10
05.03.2026 KV 1036 ved eiendommen gnr. 53 bnr. 330 i Midt-Telemark kommune - Søknad om dispensasjon fra byggegrense
05.03.2026 Søknad om tillatelse i ett trinn 53/330 Kyrkjevegen 10
13.02.2026 Tilbakemelding om mangler - gbnr. 53/330 - Kyrkjevegen 10 - Godkjenning av endringer fra byggesak i 2004
05.02.2026 Søknad om midlertidig brukstillatelse 53/330 Kyrkjevegen 10
04.02.2026 Avvise søknad - gbnr. 53/330 - Kyrkjevegen 10 - Godkjenning av endringer fra byggesak i 2004
26.01.2026 Avvise søknad - gbnr. 53/330 - Kyrkjevegen 10 - Godkjenning av endringer fra byggesak i 2004
26.01.2026 Redegjørelse for søknaden
19.01.2026 Ber om status i saksbehandling
08.12.2025 Søknad om endring av gitt tillatelse eller godkjenning 53/330 Kyrkjevegen 10