Photo
Fotografi av en trøse i snø, med en markert linje og en beskrivende tekstfigur.
1 / 88
Extension
Avslatt
Enebolig
Tillatelse til terrengoppfylling og støttemur i ettertid for enebolig og garasje
📍 Ottes vei 20 , 1397 NESØYA
Nøkkelinfo
- Sakstype
- Tilbygg
- Bygningstype
- Enebolig
- Kommune
- Asker
- Fylke
- Akershus
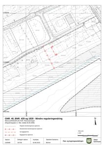
- Gnr / Bnr
- 40 / 429
- Saksnummer
- 20/1751
- Fase
- Avslått
Om byggesaken
Saken inneholder en rekke vedtak om pålegg og tvangsmulkt for uautorisert terrengoppfylling og støttemur, samt flere klagesaker til Statsforvalteren. Det er ingen dokumenterte detaljer om fysisk utførelse av tiltak i denne saksfilen.
Arbeidsomfang
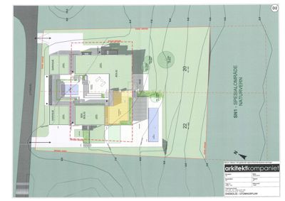
- Terrengoppfylling på eneboligtomt (Ottes vei 22)
- Oppføring av støttemur mot regulert naturvernområde
- Fyllingsfoten skal være trukket 1 meter inn fra eiendomsgrense mot syd
Hendelser
07.04.2026
40/429 Ottes vei 22 – Tilbakemelding på varsel om avslag (støttemur/levegg)
avslag
06.03.2026
40/429 Ottes vei 22 - Varsel om avslag på deler av søknad for terrengoppfylling og støttemurer
vedtak
13.01.2026
40/429 Ottes vei 22 - Statsforvalterens vedtak i klagesak - Opphever kommunens vedtak av 051023
klage
12.01.2026
40/429 Ottes vei 22 - Svar på brev av 09.12.25
10.12.2025
40/429 Ottes vei 22 - Oppdatering i sak - minnelige forhandlinger avsluttet
03.12.2025
40/429 Ottes vei 22 - Ber om at klagesaken tas til behandling
klage
04.11.2025
40/429 Ottes vei 22 - Tilbakemelding om fremdrift i saken
30.10.2025
40/429 Ottes vei 22 - Statsforvalteren ber om tilbakemelding i byggesak - støttemur
30.10.2025
40/429 Ottes vei 22 - Statsforvalteren ber om tilbakemelding i byggesak - støttemur
15.06.2025
40/429 Ottes vei 22 - Statsforvalteren stiller klagesaken i bero
klage
10.06.2025
40/429 Ottes vei 22 - Ber om at klagesaken stilles midlertidig i bero
klage
14.05.2025
40/429 Ottes vei 22 - Statsforvalterens melding om saksbehandlingstid i klagesak
klage
05.05.2025
40/429 Ottes vei 22. Anmodning om uttalelse til nye klageanførsler
klage
05.05.2025
40/429 Ottes vei 22 - Oversendelse av klage til Statsforvalter
klage
29.04.2025
40/429 Ottes vei 22 - Kommentar og merknader
24.04.2025
40/429 Ottes vei 22 - Supplerende informasjon vedrørende byggesak
24.04.2025
40/429 Ottes vei 22 - Gjelder tidligere innsendt klage
klage
11.04.2025
40/429 Ottes vei 22 - Anmodning om uttalelse til klage - Terrengoppfylling og støttemur
klage
07.04.2025
40/429 Ottes vei 22 - Statsforvalterens vedtak i klagesak - Opphever kommunens vedtak av 071124
klage
31.01.2025
40/429 Ottes vei 22 - Statsforvalterens melding om saksbehandlingstid - Klage på avvisningsvedtak
klage
30.01.2025
40/429 Klage på avvisningsvedtak - Oversendelse av klage til Statsforvalter
klage
29.11.2024
40/429 Ottes vei 22 - Klage på avvisningsvedtak - Kvittering for mottatt klage
klage
28.11.2024
40/429 Ottes vei 22 - Klage på vedtak om avvisning av klage
klage
07.11.2024
40/429 Ottes vei 18 - Avvisning av klage på vedtak
klage
21.10.2024
40/429 Kvittering for mottatt klage
klage
26.09.2024
40/429 - Klage over vedtak om mur i tomtegrense mot vår eiendom
klage
05.10.2023
40/429 Godkjent dispensasjon og tillatelse til tiltak - Terrengoppfylling og støttemur - Enebolig og garasje
byggetillatelse
12.05.2023
40/429 Tilleggsinformasjon - Terrengoppfylling i ettertid - Enebolig og garasje
07.02.2023
40/429 Ufullstendig søknad - terrengoppfylling i ettertid på eneboligtomt
dispensasjon
06.01.2023
40/429 Redegjørelse - Terrengoppfylling i ettertid - Enebolig og garasje
20.06.2022
40/429 Melding om politisk vedtak - Terrengoppfylling i ettertid - Enebolig og garasje
vedtak
17.06.2022
40/429 Saksprotokoll fra utvalg PB 15.06.2022 - Terrengoppfylling i ettertid - Enebolig og garasje
05.06.2022
40/429 Svar på brev av 220322 - Terrengoppfylling i ettertid - Enebolig og garasje
22.03.2022
40/429 Foreløpig vurdering vedrørende terrengoppfylling - enebolig og garasje
15.03.2022
40/429 Svar på brev datert 020222 - Terrengoppfylling i ettertid - Enebolig og garasje
07.02.2022
40/429 Om forsøk på telefonkontakt - Terrengoppfylling i ettertid - Enebolig og garasje
02.02.2022
40/429 Mangelfull søknad - Terrengoppfylling i ettertid - Enebolig og garasje
søknad
14.09.2021
40/429 Tilsvar på brev av 070921 - Terrengoppfylling i ettertid - Enebolig og garasje
07.09.2021
40/429 Sak stilles i bero - Vedtak om retting og tvangsmulkt - Terrengoppfylling i ettertid - Enebolig og garasje
vedtak
19.03.2021
40/429 Kvittering for mottatt klage - Terrengoppfylling i ettertid - Enebolig og garasje
klage
15.03.2021
40/429 Klage på vedtak av 030321 - Terrengoppfylling i ettertid - Enebolig og garasje
klage
03.03.2021
40/429 Vedtak om pålegg om retting og ileggelse av tvangsmulkt - Terrengoppfylling i ettertid - Enebolig og garasje
vedtak
26.02.2021
40/429 Svar på anmodning om utsatt frist - Terrengoppfylling i ettertid - Enebolig og garasje
22.02.2021
40/429 Tiltakshavers tilbakemelding rev.2 - Terrengoppfylling i ettertid - Enebolig og garasje
10.02.2021
40/429 Utdypende informasjon til revidert søknad - Terrengoppfylling i ettertid - Enebolig og garasje
søknad
22.01.2021
40/429 Ber om utsettelse av frist for innsending av dokumentasjon - Terrengoppfylling i ettertid - Enebolig og garasje
12.01.2021
40/429 Varsel om pålegg - Terrengoppfylling i ettertid - Enebolig og garasje
10.12.2020
40/429 Etterspurt dokumentasjon - Terrengoppfylling i ettertid - Enebolig og garasje
10.11.2020
40/429 Fortsatt mangelfull søknad - Terrengoppfylling i ettertid - Enebolig og garasje
søknad
19.08.2020
40/429 Ufullstendig søknad om tillatelse til tiltak i ettertid for terrengoppfylling - Enebolig og garasje
dispensasjon