Extension UnderBehandling Enebolig

Tilbygg med carport og inngangsparti på Staverbråtan 2, Slependen

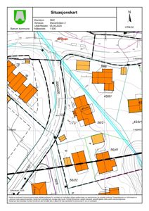
📍 Staverbråtan 2 , 1341 SLEPENDEN

Nøkkelinfo

Sakstype
Tilbygg
Bygningstype
Enebolig
Bruksareal
23 m²
Boenheter
1
Kommune
Bærum
Fylke
Akershus
Gnr / Bnr
56 / 2
Saksnummer
2025/31995
Fase
Under behandling

Om byggesaken

Ny tilbygg på 23 m² med flatt tak som inneholder carport og bod, plassert langs vestfasaden på en eksisterende enebolig på Staverbråtan 2. Carporten har dimensjoner 8,18 x 3,55 meter og er integrert med boligen. I tillegg er det et takoverbygg over inngangspartiet med saltak som forlenges 2,9 meter mot vei. Carporten er åpen i konstruksjonen og ligger lavere i terrenget enn gangveien. Prosjektet inkluderer også opparbeidelse av snuplass på egen grunn for bil, og tiltaket krever tilpasning til byggegrense mot kommunal vei. Eiendommen har i dag en garasje med plass til én bil, og carporten skal dekke behovet for en ekstra overdekket biloppstillingsplass. Det er også krav til håndtering av overvann og vann- og avløpsinstallasjoner i forbindelse med tiltaket.

Produkter og materialer

Tømrer Tilbygg konstruksjon

🧱 Treverk og bygningsmaterialer til carport og bod

Bygging av tilbygg med flatt tak og integrert bod

Tømrerarbeid for oppføring av carport og bod som tilbygg til eksisterende bolig

Fasade Carport med bod

🧱 Åpen konstruksjon, flatt tak med sedum

Antall: 1

Dimensjoner 8,18 m x 3,55 m, flatt tak med sedum for redusert avrenning

Carport integrert som tilbygg til enebolig med bod under felles flatt tak

Mur Forlengelse av mur ved garasje

Antall: 1

Forlengelse av eksisterende mur i tilknytning til garasje for gangatkomst og bilatkomst

Murforlengelse som del av adkomstløsning til carport

VVS Vann- og avløpsinstallasjoner

Rørleggeranmeldelse kreves, overvann skal håndteres på egen grunn, tilknytningsgebyr kan påløpe

Nye tilkoblinger og endringer i vann- og avløpssystem må dokumenteres og godkjennes

Grunnarbeid Snuplass for bil

Antall: 1

Snuplass på egen grunn foran eksisterende garasje, tilpasset Tesla Model 3 dimensjoner

Opparbeidelse av snuplass for trygg bilatkomst og snuing på egen eiendom

Tak Saltak over inngangsparti

🧱 Saltak med asymmetrisk form, forlenget 2,9 m mot vei

Antall: 1

Takflatene skråkappes for tilpasning til veilinje

Takoverbygg over inngangsparti for værbeskyttelse

Elektro Utendørs belysning og el-installasjoner

Elektriske installasjoner til carport og inngangsparti, inkludert belysning

Maling Utvendig maling og overflatebehandling

Overflatebehandling av tilbygg for værbestandighet og estetikk

Plantegning

Enebolig 106.7 m²

Etasje 0 0.0 m²

Rom Areal Vinduer Dører

Etasje 1 106.7 m²

Rom Areal Vinduer Dører
STUE 101 42.0 m² 2 2
KJ 102 36.0 m² 0 2
BAD 103 10.0 m² 0 1
BAU 104 10.0 m² 0 1
SOV 105 14.0 m² 1 1
VASK 106 4.0 m² 0 1
VF 107 4.6 m² 0 1
BOD 108 3.6 m² 0 1
CARPORT 109 23.0 m² 0 1

Hendelser

17.04.2026 Staverbråtan 2 - behandling av klage etter veiloven - tilbygg
18.03.2026 Ber om status i saken - Staverbråtan 2 - tilbygg - Klage over vedtak
16.12.2025 Foreløpig svar - mottatt klage på bygningssjefens vedtak - Staverbråtan 2
15.12.2025 Klage over vedtak - Staverbråtan 2 - tilbygg