NewConstruction Ferdigattest Fritidsbolig

Ny fritidsbolig på Hydla, Nedre-Hydla 68, Stryn

๐Ÿ“ Nedre-Hydla 68 , 6783 STRYN

Nรธkkelinfo

Sakstype
Nybygg
Bygningstype
Fritidsbolig
Bruksareal
140 mยฒ
Boenheter
1
Kommune
Stryn
Fylke
Vestland
Gnr / Bnr
46 / 291
Saksnummer
2025/1208
Fase
Ferdigattest

Om byggesaken

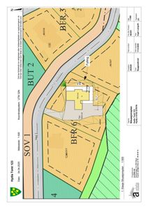
Ny fritidsbolig oppført på tomt 123 i Hydla Hyttegrend, Stryn, med et bebygd areal på ca. 183 m² og et bruksareal på 140 m² fordelt på én etasje. Bygget har mønehøyde på ca. 4 meter og gesimshøyde på ca. 2,37 meter, med overbygde arealer på totalt 12 m². Tomten er opparbeidet med terrenginngrep som fylling og skjæring, samt tun og terrassearealer. Bygget er tilknyttet kommunalt vann- og avløpsnett med godkjent sanitæranlegg. Det er etablert adkomst via privat veg, og uteoppholdsareal er sikret. Tiltaket er gjennomført i henhold til reguleringsplan og tekniske krav, med godkjente nabovarsler og avstandserklæringer.

Produkter og materialer

Maling Utvendig og innvendig maling

Maling og overflatebehandling av fasade og innvendige flater (antatt)

Maling og overflatebehandling for ferdigstillelse

Terrasse Terrasse og uteareal

Terrasse på ca. 88,9 m² og tun på 194,1 m² opparbeidet på tomten

Utearealer med terrasse og tun for fritidsboligen

Elektro Elektriske installasjoner

Elektriske installasjoner i henhold til gjeldende forskrifter (antatt)

Elektrisk anlegg for fritidsboligen

Dører Ytterdører og terrassedører

Dører i henhold til tegninger, inkludert BD1-H8x20 mm og andre dørtyper

Ytterdører og terrassedører til fritidsboligen

Betong Plass-støpte betongkonstruksjoner

๐Ÿงฑ Betong

Plass-støpte betongkonstruksjoner for fundament og eventuelle støttemurer

Betongarbeid for fundament og støttemurer

Fasade Fritidsbolig fasade

Bygget har gesimshøyde ca. 2,37 m og mønehøyde ca. 4 m, fasadetegninger datert 15.08.2023

Fasadeelementer for fritidsbolig i henhold til godkjente tegninger

Tømrer Trekonstruksjoner

๐Ÿงฑ Tre

Tømrerarbeid og montering av trekonstruksjoner for vegger, tak og bjelkelag

Tømrerarbeid for oppføring av fritidsboligen

Vinduer Fasadevindu og takvindu

Vinduer i ulike størrelser som vist i tegninger, inkludert V8-H18x20, BD1-V8x20, ID808x20 mm osv.

Vinduer tilpasset fritidsboligens rom og fasade

Grunnarbeid Terrenginngrep, fylling og skjæring

Fylling med høyde inntil 2,68 m og skjæring inntil 1,92 m, med krav til avstand fra nabogrense minimum 1 m, godkjent med nabosamtykke

Grunnarbeid for opparbeidelse av tomt med terrengjustering, fylling og skjæring iht. reguleringsplan og godkjente terrengsnitt

Tak Saltak

Saltak med mønehøyde ca. 4 meter, i henhold til reguleringsplan og tegninger

Takstruktur for fritidsboligen

Gulv Innvendige gulv

Gulv i oppholdsrom og soverom (antatt tre- eller laminatgulv)

Innvendige gulv i fritidsboligen

VVS Sanitæranlegg

๐Ÿงฑ Plast PE PN 10 rør

Vann- og avløpsinstallasjon innvendig og utvendig, inkludert stikkleidning 32 mm plast PE PN 10, godkjent av kommunen

Sanitærinstallasjoner for fritidsboligen med tilknytning til kommunalt VA-nett

Hendelser

16.04.2026 Gbnr. 46/291 - søknad om ferdigattest
16.04.2026 Ferdigattest for fritidsbustad på gbnr. 46/291 i Hydla
19.09.2025 Vedtak: Løyve til oppføring av fritidsbustad på gbnr. 46/291 i Nedre Hydla
17.09.2025 Ettersender erklæring
08.09.2025 Avstandserklæringar gbnr. 46/307 og gbnr. 46/317
28.08.2025 Vedkomande søknad om oppføring av fritidsbustad på gbnr. 46/291 i Hydla.
18.08.2025 Gbnr. 46/291 - Situasjonsplan byggesak
14.07.2025 Vedkomande søknad - oppføring av fritidsbustad på gnbr. 46/291 på Hydla i Stryn
14.07.2025 Godkjent søknad om tilkopling og utføring av sanitæranlegg/rørleggjarmelding på gbnr. 46/291
18.06.2025 Gbnr. 46/291 - søknad om løyve til tiltak
18.06.2025 Gbnr. 46/291 - søknad om tilkopling og utføring av sanitæranlegg