SitePlan
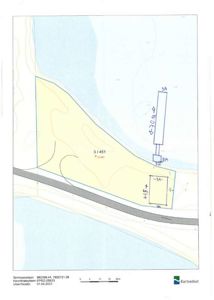
Situasjonsplan som viser eiendomsnummer 3/451, eiendomsgranser, topografi og en planlagt bygning med angitte mål.
1 / 3
NewConstruction
UnderBehandling
Naeringsbygg
Ny lagerhall for fiskerinæring i Holmeveien 3/516, Mehamn
Nøkkelinfo
- Sakstype
- Nybygg
- Bygningstype
- Naeringsbygg
- Bruksareal
- 135 m²
- Kommune
- Gamvik
- Fylke
- Finnmark - Finnmárku - Finmarkku
- Gnr / Bnr
- 3 / 516
- Saksnummer
- 2023/541
- Fase
- Under behandling
Om byggesaken
Ny lagerhall på 135 m² oppføres som en driftsbygning for fiskerinæring på eiendommen Gnr. 3, Bnr. 516 i Holmeveien, Mehamn. Bygget er et uisolert kaldlager med en høyde på 6,23 meter, planlagt plassert i bakkant av tomten ved grense mot vei. Lagerhallen skal benyttes til innendørs lagring av båt og fiskeriutstyr som i dag lagres utendørs, noe som har vært til sjenanse for publikum. Bygget er planlagt uten tilkobling til vann og avløp. Tiltaket krever dispensasjon fra reguleringsplanen da området er avsatt til deponering av muddermasser. Det er gjennomført nabovarsling uten merknader, og tiltakshaver er registrert yrkesfisker som selv overtar ansvaret for tiltaket.
Produkter og materialer
Tømrer
Bygging av lagerhall konstruksjon
Oppføring av lagerhall på 135 m²
Tømrerarbeid for lagerhallens konstruksjon
Grunnarbeid
Fundamentering og grunnarbeid
Grunnarbeid nødvendig for nybygg på tomt i Mehamn havn
Grunnarbeid og fundamentering for lagerhall
Elektro
Elektrisk installasjon
Ingen spesifikk info, men normalt nødvendig for næringsbygg
Elektrisk anlegg for lagerhall
Fasade
Yttervegger for lagerhall
🧱 ikke spesifisert, antatt standard byggematerialer for kaldlager
Bygget er uisolert kaldlager, 6,23 m høyde
Yttervegger for lagerhall, uisolert konstruksjon
Dører
Ytterdør for lagerhall
Ikke detaljert spesifisert, men nødvendig for lagerbygg
Ytterdør for lagerhall
Tak
Tak for lagerhall
🧱 ikke spesifisert
Takhøyde 6,23 meter, uisolert kaldlager
Tak for lagerhall, uisolert
Ventilasjon
Naturlig eller mekanisk ventilasjon
Ikke spesifisert, men nødvendig for bygg
Ventilasjon for lagerhall
Hendelser
16.04.2026
Høring – Søknad om dispensasjon fra reguleringsplan «Mehamn havn» - Oppføring av driftsbygning på Gnr. 3, Bnr. 516
18.02.2026
Søknad om lagerbygg på Gnr. 3 Bnr. 516 – veiledning og krav om dokumentasjon
05.01.2026
Spørsmål om status - Søknad lagerbygg på holmen
01.12.2025
Søknad om tillatelse til tiltak i ett-trinn
01.12.2025
Tegning av bygg 3/451