NewConstruction UnderBehandling Naeringsbygg

Ny lagerhall på Slettafeltet 50, Ørje

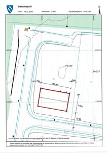
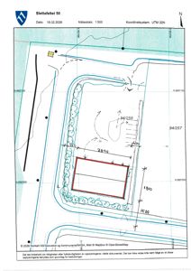
📍 Slettafeltet 50 , 1870 ØRJE

Nøkkelinfo

Sakstype
Nybygg
Bygningstype
Naeringsbygg
Bruksareal
289 m²
Kommune
Marker
Fylke
Østfold
Gnr / Bnr
94 / 258
Saksnummer
2026/3530
Fase
Under behandling

Om byggesaken

Ny lagerhall på 289 m² oppføres på Slettafeltet 50 i Ørje. Bygget er ett plan med flatt tak og trekledning, og har fire vinduer og én dør. Lagerhallen inkluderer store leddheisporter (4,5 x 4,5 m og 4 x 3,7 m) for vareinn- og utlasting. Bygget er planlagt med betongplate på mark og stålkonstruksjoner. Utomhusarealet inkluderer parkeringsplass for seks biler, beplantning med trær og gras, samt pukkfylling for overvannshåndtering. Vann- og avløpsinstallasjoner er prosjektert både innvendig og utvendig. Terrengendringer er minimale, og området er vurdert uten flom- eller skredfare.

Produkter og materialer

Utendørs Parkeringsplass

Antall: 6

Parkeringsplass for 6 biler på tomten

Opparbeidet parkeringsareal for ansatte og besøkende

VVS Innvendig vann- og avløpsinstallasjoner

Innvendige vann- og avløpsinstallasjoner prosjektert og utført av Granli Rør AS

Innvendige sanitærinstallasjoner

Vinduer Fasadevindu

Antall: 4

Fire fasadevinduer i lagerhallen

Tak Flatt tak

Flatt tak på lagerhall

Tak med flatt takkonstruksjon

Garasjeport Leddheisport

Antall: 3

Leddheisporter 4,5 x 4,5 m (2 stk) og 4 x 3,7 m (1 stk)

Store leddheisporter for vareinn- og utlasting

Elektro Elektriske installasjoner

Elektriske installasjoner antatt nødvendig for lagerhall (ikke detaljert i dokumenter)

Elektriske anlegg for belysning og drift

Fasade Trekledning

🧱 Tre

Fasader i tre med flatt tak, gesimshøyde ca. 2,85 m

Yttervegger med trekledning og flatt tak

Utendørs Beplantning

Beplantning med rogn eller tilsvarende trær, samt grasplen

Grøntarealer og beplantning rundt bygget

VVS Utvendig vann- og avløpsinstallasjoner

Utvendige vann- og avløpsinstallasjoner prosjektert og utført av Granli Rør AS

Utvendige vann- og avløpsledninger

Dører Ytterdør

Antall: 1

En ytterdør til lagerhallen

Stål Stålkonstruksjoner

🧱 Stål

Stålkonstruksjoner for lagerhallens bærende ramme

Stålkonstruksjoner for bæresystem

Grunnarbeid Terrengarbeid

Minimale terrengendringer, pukkfylling for overvannshåndtering

Grunnarbeider med terrengjustering og overvannshåndtering

Betong Plate på mark

🧱 Betong

Betongplate på mark som fundament

Betongplate på mark for lagerhallens gulv

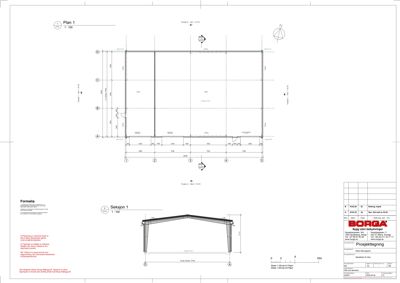
Plantegning

Lagerhall 289.0 m²

Etasje 1 289.0 m²

Rom Areal Vinduer Dører
Lager 101 289.0 m² 4 1

Fasader

Næringspark

A
Materiale
Tre
Taktype
Flatt tak
Høyde
2.9 m
Vinduer
0
Dører
0
Synlige etasjer
1
D
Materiale
Tre
Taktype
Flatt tak
Høyde
2.9 m
Vinduer
0
Dører
0
Synlige etasjer
1
1
Materiale
Tre
Taktype
Flatt tak
Høyde
2.9 m
Vinduer
0
Dører
1
Synlige etasjer
1
5
Materiale
Tre
Taktype
Flatt tak
Høyde
2.9 m
Vinduer
3
Dører
0
Synlige etasjer
1

Garasje

Vest
Materiale
Stål
Taktype
Flatt tak
Vinduer
0
Dører
0
Synlige etasjer
1
Øst
Materiale
Stål
Taktype
Flatt tak
Vinduer
0
Dører
0
Synlige etasjer
1
Nord
Materiale
Stål
Taktype
Flatt tak
Vinduer
3
Dører
1
Synlige etasjer
1
Sør
Materiale
Stål
Taktype
Flatt tak
Vinduer
0
Dører
0
Synlige etasjer
1

Hendelser

20.04.2026 Supplerende dokumentasjon - Oppføring av lager - Slettafeltet 50 - gnr 94 bnr 258
16.04.2026 Supplering av søknad - Slettafeltet 50 - gnr 94 bnr 258
15.04.2026 Behov for ytterligere dokumentasjon - Oppføring av lagerbygg - Slettafeltet 50 - gnr 94 bnr 258
05.03.2026 Søknad om tillatelse i ett trinn - Slettafeltet 50 - gnr 94 bnr 258