Facade
Fasadetegninger og 3D-visualiseringer av en garasje med nordvest, nordest, sørvest og sørøst fasade.
1 / 6
NewConstruction
Soeknad
Garasje
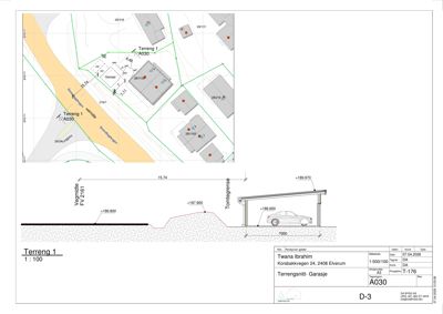
Ny frittstående garasje i Korsbakkvegen 24, Elverum
📍 Korsbakkvegen 24 , 2408 ELVERUM
Nøkkelinfo
- Sakstype
- Nybygg
- Bygningstype
- Garasje
- Bruksareal
- 45 m²
- Kommune
- Elverum
- Fylke
- Innlandet
- Gnr / Bnr
- 28 / 1139
- Saksnummer
- 2026/2130
- Fase
- Søknad
Om byggesaken
Ny frittstående garasje på 45,3 m² med flatt pulttak og trepanel som fasademateriale. Garasjen har en garasjeport, to vinduer og tre dører fordelt på fasadene. Bygget er plassert ca. 15,74 meter fra midtlinje fylkesveg 2161 og er tilpasset terrenget med moderat høyde. Garasjen er planlagt oppført på en tomt med eksisterende tomannsbolig og parkeringsplasser, og har en BYA på 49 m². Bygget har én etasje og er beregnet for biloppstilling og lagring.
Produkter og materialer
Maling
Utvendig maling
Maling av trepanel på fasade
Fasade
Trepanel
🧱 Tre
Trepanel som fasademateriale på alle fasader
Fasadebekledning i trepanel for garasjens yttervegger
Isolasjon
Isolasjon for vegger og tak
Isolasjon i vegger og tak for garasjen
Tak
Flatt pulttak
Antall: 1
Flatt tak med 5° helling
Tak med pulttak og lav helling på 5 grader
Vinduer
Fasadevindu
Antall: 2
To fasadevindu i garasjen
Betong
Betongplate
Betongplate som gulv i garasjen
Elektro
Elektrisk anlegg
Elektrisk installasjon for belysning og strøm i garasjen
Dører
Ytterdører
Antall: 3
Tre ytterdører fordelt på fasadene
Garasjeport
Garasjeport
Antall: 1
Garasjeport på garasjens fasade
Grunnarbeid
Fundamentering og grunnarbeid
Grunnarbeid og fundamentering for garasjebygg
Tømrer
Tømrerarbeid
🧱 Tre
Tømrerarbeid for oppføring av trebygget garasje
Plantegning
Garasje 45.3 m²
Etasje 1 45.3 m²
| Rom | Areal | Vinduer | Dører |
|---|---|---|---|
| Garasje 100 | 45.3 m² | 2 | 1 |
Fasader
Garasje
Nordvest
- Materiale
- Tre
- Taktype
- Flatt tak
- Vinduer
- 0
- Dører
- 0
- Synlige etasjer
- 1
Nordøst
- Materiale
- Tre
- Taktype
- Flatt tak
- Vinduer
- 0
- Dører
- 2
- Synlige etasjer
- 1
Sørvest
- Materiale
- Tre
- Taktype
- Flatt tak
- Vinduer
- 0
- Dører
- 0
- Synlige etasjer
- 1
Sørøst
- Materiale
- Tre
- Taktype
- Flatt tak
- Vinduer
- 2
- Dører
- 1
- Synlige etasjer
- 1
Hendelser
23.04.2026
Korsbakkvegen 24 Søknad om tillatelse i ett trinn 28/1139