Facade
Fasadetegning som viser bygningens utseende fra nord og sør, inkludert vinduer, dører, takhøyder og fasadematerialer.
1 / 6
NewConstruction
Rammetillatelse
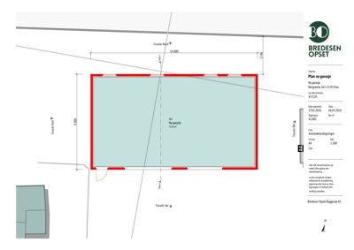
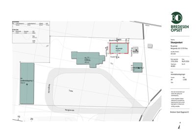
Garasje
Ny frittstående garasje på Nergrenda 163, Flisa
📍 Nergrenda 163 , 2270 FLISA
Nøkkelinfo
- Sakstype
- Nybygg
- Bygningstype
- Garasje
- Bruksareal
- 112 m²
- Kommune
- Åsnes
- Fylke
- Innlandet
- Gnr / Bnr
- 87 / 120
- Saksnummer
- 26/295
- Fase
- Rammetillatelse
Om byggesaken
Ny frittstående garasje på 112 m² med saltak og flatt tak i tre, oppført på eiendommen Nergrenda 163, 2270 Flisa. Garasjen har en mønehøyde på ca. 4,95 meter og gesimshøyde på 2,3-2,65 meter, og består av én etasje. Fasadene er i tre med garasjeport på sørfasaden og fire vinduer på nordfasaden. Bygget skal benyttes til parkering av privat kjøretøy og tilhørende lagring. Garasjen plasseres inntil 2 meter fra felles eiendomsgrense med tilhørende brannkrav. Bygget tilkobles privat kloakksystem og har godkjent dispensasjon fra kommuneplanens arealdel for plassering nærmere eiendomsgrense enn normalt tillatt.
Produkter og materialer
Tømrer
Trekonstruksjoner
🧱 Tre
Tømrerarbeid og montering av trekonstruksjoner
Tømrerarbeid for oppføring av trekonstruksjon i garasje
Grunnarbeid
Fundamentering og grunnarbeid
Grunnarbeid og fundamentering for garasje på 112 m²
Vinduer
Fasadevindu
🧱 Tre
Antall: 4
Fire fasadevinduer på nordfasade i tre
Garasjeport
Garasjeport
Antall: 1
Garasjeport på sørfasade
Tak
Saltak og flatt tak
Saltak på øst og vest fasade, flatt tak på nord og sør fasade, takvinkel 24°
Taktekking for saltak og flatt tak på garasje
Fasade
Trepanel
🧱 Tre
Fasader i tre, med saltak og flatt tak
Trepanel til fasader på garasje med saltak og flatt tak
Dører
Ytterdør
🧱 Tre
Antall: 1
En ytterdør på sørfasade i tre
VVS
Kloakksystem
Tilkobling til privat kloakksystem, søknad om utslippstillatelse kreves
VVS-arbeid for kloakktilkobling
Fasader
Garasje
Nord
- Materiale
- Tre
- Taktype
- Flatt tak
- Høyde
- 2.6 m
- Mønehøyde
- 5.0 m
- Vinduer
- 4
- Dører
- 0
- Synlige etasjer
- 1
Sør
- Materiale
- Tre
- Taktype
- Flatt tak
- Høyde
- 2.6 m
- Mønehøyde
- 5.0 m
- Vinduer
- 0
- Dører
- 1
- Synlige etasjer
- 1
Øst
- Materiale
- Tre
- Taktype
- Saltak
- Høyde
- 2.3 m
- Mønehøyde
- 5.0 m
- Vinduer
- 0
- Dører
- 0
- Synlige etasjer
- 1
Vest
- Materiale
- Tre
- Taktype
- Saltak
- Høyde
- 2.3 m
- Mønehøyde
- 5.0 m
- Vinduer
- 0
- Dører
- 0
- Synlige etasjer
- 1
Hendelser
17.04.2026
Svar på søknad om tillatelse i ett trinn - nybygg garasje - gbnr. 87/120
08.04.2026
Søknad om tillatelse i ett trinn - 87/120
08.04.2026
Komplettering av søknad
08.04.2026
Melding om mangler i søknad
10.03.2026
Mottatt nabovarsel - gbnr. 87/120