FloorPlan
Bildet viser en tegning med etasjeplan (PLAN), snitt (SNITT) og fasader (FASADER) for en garasje.
1 / 2
NewConstruction
Soeknad
Garasje
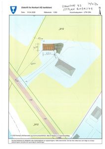
Ny garasje på Strandveien 43, Storvik
📍 Strandveien 43 , 8145 STORVIK
Nøkkelinfo
- Sakstype
- Nybygg
- Bygningstype
- Garasje
- Bruksareal
- 66 m²
- Kommune
- Gildeskål
- Fylke
- Nordland - Nordlánnda
- Gnr / Bnr
- 3 / 12
- Saksnummer
- 2026/338
- Fase
- Søknad
Om byggesaken
Ny frittstående garasje på 65,9 m² fordelt på to rom: en garasje på 42,5 m² og et bodrom på 23,4 m². Bygget oppføres på eiendommen Strandveien 43 i Storvik, med tradisjonell konstruksjon som inkluderer betong- og tømrerarbeider. Garasjen erstatter tidligere bygg etter brannskade og plasseres i et LNFR-område nær sjøen, noe som krever dispensasjon og skredfarevurdering. Bygget har ingen vinduer eller dører tegnet inn i plantegningen, og det er ikke planlagt innlagt vann eller løfteinnretninger.
Produkter og materialer
Maling
Utvendig og innvendig maling
Maling av utvendige og innvendige flater i garasje og bod
Dører
Garasjeport
Antall: 1
Garasjeport til garasjerommet
Tak
Garasjetak
Taktekking for garasje, materiale ikke spesifisert
Grunnarbeid
Grunnarbeider for garasje
Utføres av BETONGARBEID OG TRANSPORT AS, ansvarlig for grunnarbeider
Grunnarbeid for fundamentering og underlag for garasjebygget
Fasade
Garasjekledning
Ytterkledning for garasje, materiale ikke spesifisert
Dører
Innvendig dør til bod
Antall: 1
Dør mellom garasje og bodrom
Tømrer
Tømrerarbeider for garasje
Tømrerarbeider utføres av BYGGALF AS
Stålkonstruksjon og bæring for garasjebygget
Elektro
Elektrisk anlegg
Elektrisk installasjon for belysning og strøm i garasje og bod
Betong
Betongarbeider for garasje
Betongarbeider utføres av BYGGALF AS
Betongfundament og konstruksjoner for garasjen
Plantegning
Garasje 65.9 m²
Etasje 1 65.9 m²
| Rom | Areal | Vinduer | Dører |
|---|---|---|---|
| Bod 1 | 23.4 m² | 0 | 0 |
| Garasje 2 | 42.5 m² | 0 | 0 |
Hendelser
14.04.2026
Tilbakemelding på søknad om oppføring av garasje, Strandveien 43, gnr.3 bnr.12
13.04.2026
Søknad om tillatelse i ett trinn G/B 3/12 - oppføring av garasje på Strandveien 43