Rendering
En 3D-visualisering (rendering) av to bygninger sett fra en vinkel, sannsynligvis fasade eller situasjon.
1 / 7
NewConstruction
UnderBehandling
Garasje
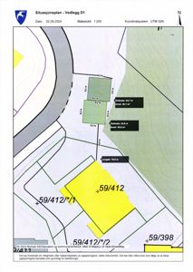
Ny dobbel garasje på Tangenheia 45A, Tvedestrand
📍 Tangenheia 45A , 4904 TVEDESTRAND
Nøkkelinfo
- Sakstype
- Nybygg
- Bygningstype
- Garasje
- Bruksareal
- 39 m²
- Kommune
- Tvedestrand
- Fylke
- Agder
- Gnr / Bnr
- 59 / 412
- Saksnummer
- 2024/3004
- Fase
- Under behandling
Om byggesaken
Ny frittliggende dobbel garasje med pulttak og gesimshøyde på 3,42 meter oppføres på eiendommen Tangenheia 45A i Tvedestrand kommune. Garasjen har et bebygd areal (BYA) på 39 m² og et bruksareal (BRA) på 36 m². Bygget har én etasje, fire dører og garasjeporter på alle fasader. Fundamentet består av ringmur i betong eller Leca med anbefalt tykkelse på 15 cm, og det støpes gulv med fall ved portåpning. Garasjen plasseres på et område regulert til parkering for sameiet, med mulighet for senere bygging av en tilleggsdobbel garasje på samme såle.
Produkter og materialer
Betong
Støpt gulv med fall
🧱 Betong
Støpt gulv med fall mot portåpning, anbefalt støpt såle for to doble garasjer
Betonggulv i garasje med fall for drenering
Mur
Ringmur i betong eller Leca
🧱 Betong eller Leca
Ringmur tykkelse 15 cm, anbefalt 150-250 mm, forankret til såle, med armering ved portåpning
Ringmur som fundament for garasje, tilpasset portåpning og terreng
Tømrer
Kledning og konstruksjon
Tømrerarbeid for oppføring av garasjeskall og kledning
Grunnarbeid
Tomtearbeid og fundamentering
Grunnarbeid for ringmur og støping av såle
Forberedelse av byggegrunn og fundamentering
Tak
Pulttak
Antall: 1
Pulttak med takvinkel angitt i tegninger
Tak med pultform, mønehøyde 3,79 m, gesimshøyde 3,42 m
Dører
Ytterdører og garasjeporter
Antall: 4
Garasjeporter og dører på alle fire fasader
Dører og garasjeporter for adkomst og bilinnkjøring
Fasader
Garasje
Vest
- Taktype
- Pulttak
- Høyde
- 3.4 m
- Mønehøyde
- 3.8 m
- Vinduer
- 0
- Dører
- 1
- Synlige etasjer
- 1
Sør
- Taktype
- Pulttak
- Høyde
- 3.4 m
- Mønehøyde
- 3.8 m
- Vinduer
- 0
- Dører
- 1
- Synlige etasjer
- 1
Øst
- Taktype
- Pulttak
- Høyde
- 3.4 m
- Mønehøyde
- 3.8 m
- Vinduer
- 0
- Dører
- 1
- Synlige etasjer
- 1
Nord
- Taktype
- Pulttak
- Høyde
- 3.4 m
- Mønehøyde
- 3.8 m
- Vinduer
- 0
- Dører
- 1
- Synlige etasjer
- 1
Hendelser
08.04.2026
Byggesak ny garasje - Tangenheia 45
03.09.2024
Søknad om oppføring av garasje - gnr 59 bnr 412 - Tangenheia 45