Photo
Fotografi av en hvit garasje og en del av en hvit villa sett fra bakkenivå. Bildet viser fasaden, taket, kjøretøysspor og omgivelser.
1 / 4
NewConstruction
Soeknad
Garasje
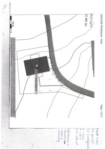
Ny garasje på Vormedalsvegen 128, Karmøy
📍 Vormedalsvegen 128 , 5542 KARMSUND
Nøkkelinfo
- Sakstype
- Nybygg
- Bygningstype
- Garasje
- Bruksareal
- 36 m²
- Kommune
- Karmøy
- Fylke
- Rogaland
- Gnr / Bnr
- 147 / 644
- Saksnummer
- 2021/2368
- Fase
- Søknad
Om byggesaken
Ny frittstående garasje på 36 m² med mønehøyde 3,8 meter plassert på eiendommen Vormedalsvegen 128 i Karmøy kommune. Garasjen er oppført i samsvar med kommuneplanens arealdel i LNF-område, med avstand 1,2 meter til nabogrense og 1,9 meter til nærmeste bygning. Bygningen er en kaldgarasje med hems for lagring av ski og øl, uten oppvarming. Garasjen er plassert i et landskapsvernområde, men tiltaket er godkjent etter vurdering av naturmangfoldloven. Bygget er utført uten ansvarsrett, og det er søkt om ferdigattest for tiltaket.
Produkter og materialer
Vinduer
Hems vinduer
Vinduer i hems for lys og ventilasjon
Fasade
Garasjekledning
Antall: 1
Ytterkledning til garasje
Grunnarbeid
Fundamentering og grunnmur
Antall: 1
Grunnarbeid for garasjens fundament og gulv
Elektro
Elektrisk anlegg
Antall: 1
Elektrisk installasjon for belysning og evt. strømuttak
Tømrer
Bærekonstruksjon og innvendig arbeid
Antall: 1
Tømrerarbeid for bærende konstruksjon og innvendige arbeider
Tak
Saltak med mønehøyde 3,8 m
Antall: 1
Tak med saltak konstruksjon
Dører
Garasjeport og eventuell dør
Garasjeport og eventuell dør for adkomst
Hendelser
15.04.2026
Gnr. 147, bnr. 644 - Søknad om ferdigattest
18.03.2026
Purring på ferdigattest - Gnr. 147, bnr. 644 - Søknad om tiltak uten ansvarsrett - Garasje - Vormedalsvegen
04.04.2025
Gnr. 147, bnr. 644 - Purring på søknad om ferdigattest - Garasje
15.10.2021
Tillatelse til tiltak - Melding om tiltak uten ansvarsrett - garasje - gnr. 147 bnr. 644 - Vormedalsvegen
04.10.2021
Gnr. 147, bnr. 644 - Søknad om tillatelse til tiltak uten ansvarsrett
25.03.2021
Gnr. 147, bnr. 644 - Tilbakemelding om meldt tiltak - søknadspliktig tiltak
10.03.2021
Gnr. 147, bnr. 644 - Melding om bygning unntatt søknadsplikt - garasje