Rendering
3D-visualisering av en bygning sett fra siden, med snødekke på bakken og en kunstig lyssetting.
1 / 16
Extension
Rammetillatelse
Garasje
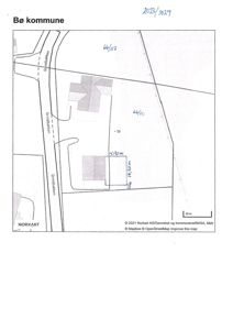
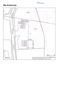
Tilbygg til garasje på Grindbakken 10, Straumsjøen
📍 Grindbakken 10 , 8475 STRAUMSJØEN
Nøkkelinfo
- Sakstype
- Tilbygg
- Bygningstype
- Garasje
- Bruksareal
- 50 m²
- Kommune
- Bø
- Fylke
- Nordland - Nordlánnda
- Gnr / Bnr
- 66 / 111
- Saksnummer
- 2023/1029
- Fase
- Rammetillatelse
Om byggesaken
Ny tilbygg på ca. 50 m² til eksisterende garasje på eiendommen Grindbakken 10, 8475 Straumsjøen. Tilbygget er plassert på østsiden av garasjen og har en lengde på 10,2 meter, bredde på 4,9 meter og høyde på 4,15 meter med saltak. Total grunnflate for garasjen inkludert tilbygget er ca. 100 m², noe som overskrider reguleringsplanens opprinnelige tillatte størrelse på 35 m². Bygget er oppført i tre og tilpasses eksisterende bygg med hensyn til materialvalg og form. Garasjen benyttes til privat bruk og det er ikke etablert ny adkomst eller avkjørsel. Tiltaket har fått dispensasjon fra reguleringsplanen og er godkjent av kommunen etter høring hos relevante myndigheter.
Produkter og materialer
Dører
Garasjeport
Garasjeport i tilbygget, type ikke spesifisert
Garasjeport for tilbygg
Grunnarbeid
Fundamentering
Grunnarbeid for tilbygg på 50 m² til eksisterende garasje
Fundamentering og grunnarbeid for tilbygget
Tømrer
Bygging av tilbygg
Tømrerarbeid for oppføring av tilbygg på 50 m² til eksisterende garasje
Tømrerarbeid for tilbygget
Fasade
Trevegger
🧱 Tre
Tilbygg i tre som tilpasses eksisterende garasje med hensyn til materialvalg og form
Fasademateriale for tilbygget til garasje
Tak
Saltak
Saltak med høyde 4,15 m, takvinkel i tråd med reguleringsplanens anbefalinger
Tak for tilbygget til garasje
Vinduer
Fasadevindu
🧱 Tre eller aluminium
Antall: 0
Ingen vinduer i tilbygget ifølge fasadetegninger
Ingen vinduer i tilbygget
Fasader
Hovedbygg
Nord
- Materiale
- Tre
- Taktype
- Saltak
- Vinduer
- 0
- Dører
- 0
- Synlige etasjer
- 1
Hendelser
08.04.2026
Anmodning om frafall av dispensasjonsgebyr, byggesak ref. 2023/1029
24.03.2026
Melding om delegert vedtak - tilbygg til garasje - gnr/bnr 66/111
24.03.2026
Underretning om vedtak - dispensasjon fra reguleringsplan - tilbygg til garasje - gnr/bnr 66/111
19.02.2026
Kulturminnefaglig uttalelse - dispensasjon fra reguleringsplan for tilbygg til garasje - gnr/bnr 66/111
06.02.2026
Anmodning om høringsuttalelse - dispensasjon fra reguleringsplan for tilbygg til garasje - gnr/bnr 66/111 - Bø kommune
29.01.2026
Anmodning om høringsuttalelse - dispensasjon fra reguleringsplan for tilbygg til garasje - gnr/bnr 66/111
26.01.2026
Søknad om dispensasjon fra reguleringplanen Eidesjøen - tilbygg garasje gnr/bnr 66/111
16.01.2026
Informasjon vedrørende tiltak på eiendom gnr/bnr 66/111