Photo
Fotografier av tomt og byggeplass med tilhørende beskrivende tekstbokser.
1 / 16
Extension
Ferdigattest
Garasje
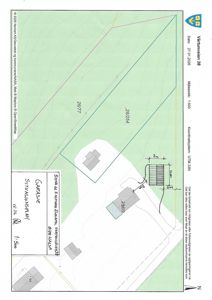
Ny garasje som tilbygg til enebolig i Vårtunveien 38, Halsa
📍 Vårtunveien 38 , 8178 HALSA
Nøkkelinfo
- Sakstype
- Tilbygg
- Bygningstype
- Garasje
- Bruksareal
- 70 m²
- Kommune
- Meløy
- Fylke
- Nordland - Nordlánnda
- Gnr / Bnr
- 26 / 39
- Saksnummer
- 2026/6401
- Fase
- Ferdigattest
Om byggesaken
Ny frittstående garasje på 70 m² med tilhørende hobbyrom, oppført som tilbygg til eksisterende enebolig på eiendommen Vårtunveien 38, 8178 Halsa. Garasjen er bygget i tre med saltak og flatt tak, har en garasjeport og flere vinduer. Bygget er plassert i et område med marin leire, men vurdert som tiltakskategori K0 i henhold til NVE veileder 1/2019, og det er dokumentert at tiltaket ikke forverrer skråningsstabiliteten. Garasjen er plassert bak og ved siden av eksisterende bolig, uten graving i skråning eller behov for fylling på toppen av terrenget. Det er gitt dispensasjon fra kommuneplanens arealdel for tiltaket. Tiltaket har gjennomgått geoteknisk vurdering som bekrefter at det ikke er behov for ytterligere geotekniske undersøkelser eller sikringstiltak. Garasjen er ferdigstilt og det foreligger ferdigattest.
Produkter og materialer
Tømrer
Bygging av garasje
🧱 Tre
Tømrerarbeid for oppføring av garasje og hobbyrom
Fasade
Trepanel
🧱 Tre
Trepanel på alle fasader
Yttervegger kledd med trepanel
Vinduer
Fasadevindu
🧱 Tre/aluminium
Antall: 7
Vinduer i fasader, totalt 7 stk fordelt på alle sider
Grunnarbeid
Fundamentering
Kompensert fundamentering eller tilsvarende for å unngå forverring av stabilitet i kvikkleireområde
Fundamentering tilpasset grunnforhold i kvikkleireområde, tiltakskategori K0
Tak
Saltak og flatt tak
🧱 Tre og taktekking
Saltak på øst- og vestfasade, flatt tak på nord- og sørfasade
Tak med kombinasjon av saltak og flatt tak
Dører
Ytterdør og garasjeport
🧱 Tre/metal
Antall: 2
Ytterdør og garasjeport i østfasade
Plantegning
Garasje 70.0 m²
Etasje 1 70.0 m²
| Rom | Areal | Vinduer | Dører |
|---|---|---|---|
| Garasjerom | 70.0 m² | 1 | 1 |
Fasader
Garasje
Vest
- Materiale
- Tre
- Taktype
- Saltak
- Vinduer
- 2
- Dører
- 0
- Synlige etasjer
- 1
Nord
- Materiale
- Tre
- Taktype
- Flatt tak
- Vinduer
- 2
- Dører
- 0
- Synlige etasjer
- 1
Sør
- Materiale
- Tre
- Taktype
- Flatt tak
- Vinduer
- 2
- Dører
- 0
- Synlige etasjer
- 1
Øst
- Materiale
- Tre
- Taktype
- Saltak
- Vinduer
- 1
- Dører
- 1
- Synlige etasjer
- 1
Hendelser
16.04.2026
Tillatelse til oppføring av garasje
16.04.2026
Gebyr - byggesak
15.04.2026
Ferdigattest - Tilbygg til enebolig (saknr. B-42/15, 15/520)
01.04.2026
Vurdering grunnforhold saksnr. 26/6401-3
27.03.2026
Søknad om ferdigattest, sak B-42/15
13.03.2026
Foreløpig svar - Oppføring av garasje
13.03.2026
Sjekkliste
11.03.2026
Vårtunveien 38 Søknad om tillatelse til tiltak uten ansvarsrett 26/39