Section
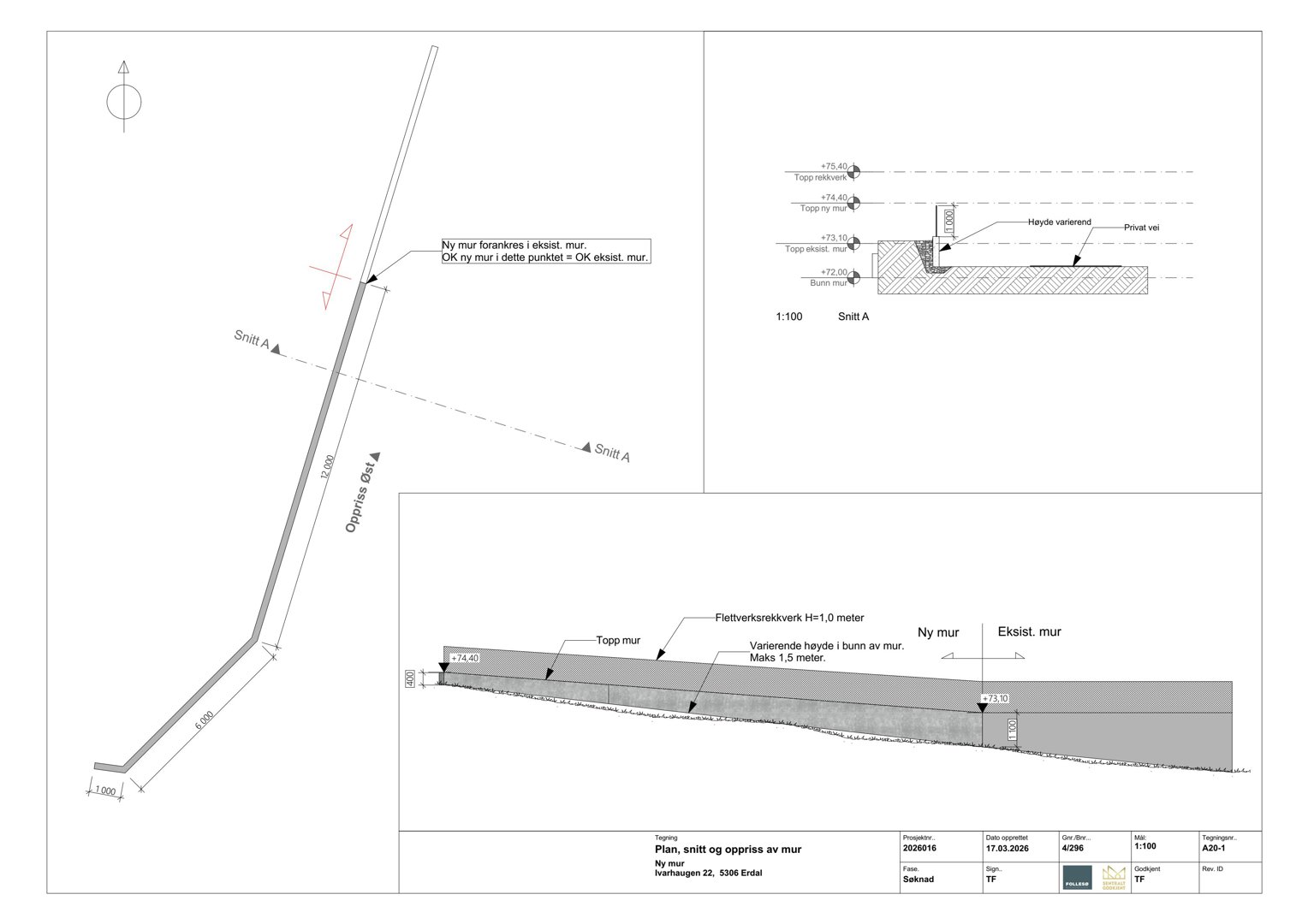
Tegning som viser snitt gjennom en ny mur og eksisterende mur, med oppgitt høyder og konstruksjonsdetaljer.
1 / 2
NewConstruction
Rammetillatelse
Other
Ny forstøtningsmur på Ivarhaugen 22, Erdal
📍 Ivarhaugen 22 , 5306 ERDAL
Nøkkelinfo
- Sakstype
- Nybygg
- Bygningstype
- Other
- Kommune
- Askøy
- Fylke
- Vestland
- Gnr / Bnr
- 4 / 296
- Saksnummer
- 2026/4851
- Fase
- Rammetillatelse
Om byggesaken
Ny forstøtningsmur i betong med varierende høyde opptil 1,5 meter oppføres langs eiendomsgrensen på Ivarhaugen 22, 5306 Erdal. Muren er 18 meter lang og forankres i eksisterende mur i nord, med avslutning mot naboeiendom i sør. Det monteres flettverksrekkverk på toppen med høyde 1,0 meter for sikkerhet. Muren skal forbedre utearealet og gangforholdene langs privat vei, og oppfyller krav til konstruksjonssikkerhet og branntekniske tiltak. Tiltaket har lav kompleksitet og utføres som selvbygger med innleid fagkompetanse.
Produkter og materialer
Tømrer
Oppføring av mur og rekkverk
Arbeid knyttet til oppføring av mur og montering av rekkverk
Grunnarbeid
Fundamentering for mur
Forankring i eksisterende mur og grunnarbeid for ny mur
Grunnarbeid og fundamentering for oppføring av forstøtningsmur
Rekkverk
Flettverksrekkverk
🧱 Metall
Høyde 1,0 meter på toppen av muren, iht. TEK17
Sikkerhetsrekkverk montert på toppen av forstøtningsmuren
Mur
Forstøtningsmur i betong
🧱 Betong
Maks høyde 1,5 meter, lengde 18 meter, forankret i eksisterende mur
Betongmur for støttemur langs eiendomsgrense med varierende høyde
Hendelser
15.04.2026
Gbnr 4/296 - Tillatelse til tiltak
15.04.2026
Gbnr 4/296 - Din søknad må suppleres
14.04.2026
Gbnr 4/296 - Informasjon - Bistand selvbygger
09.04.2026
Gbnr 4/296 - Søknad om tillatelse i ett trinn