SitePlan
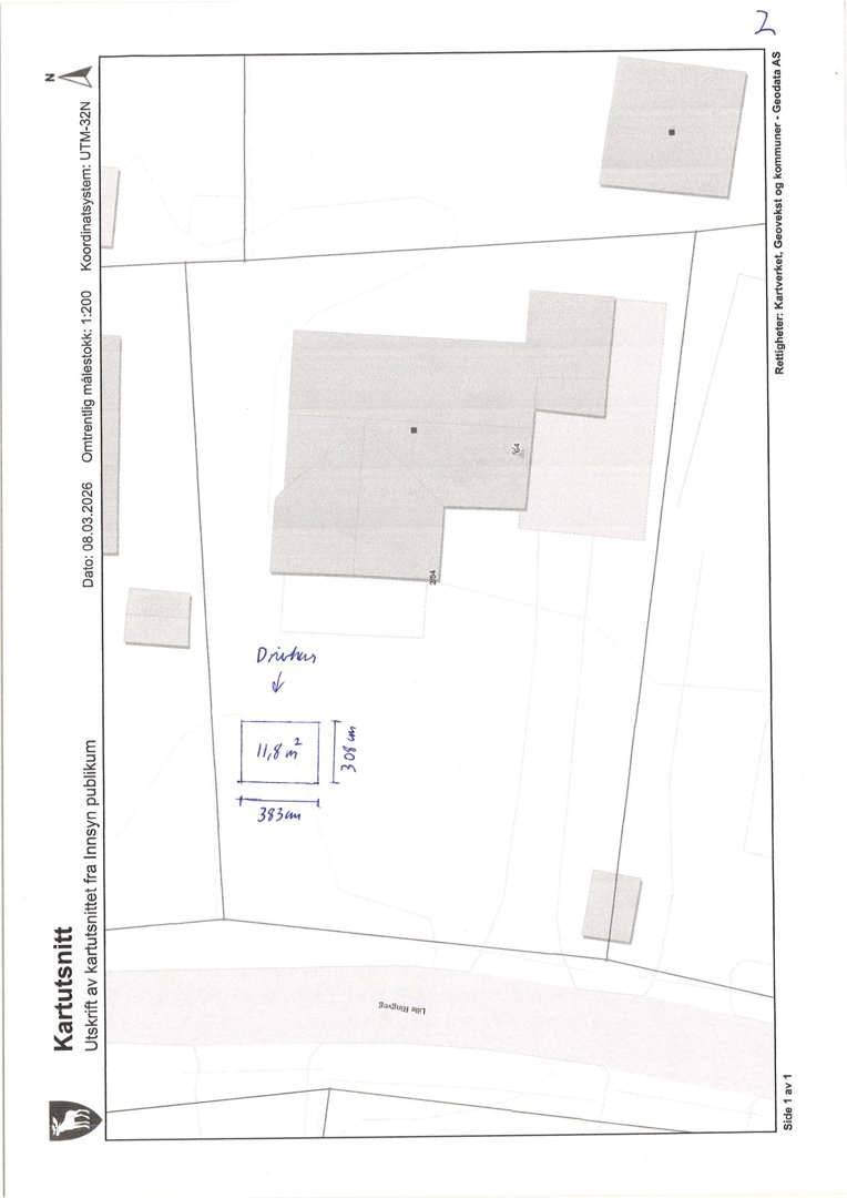
Situasjonsplan (kartutsnitt) som viser tomtens grenser, bygningers plassering og en håndskrevet markering av en 'Drivhus' med mål.
1 / 2
NewConstruction
Rammetillatelse
Other
Nyoppført drivhus på Lille Ringveg 64, Brumunddal
📍 Lille Ringveg 64 , 2383 BRUMUNDDAL
Nøkkelinfo
- Sakstype
- Nybygg
- Bygningstype
- Other
- Bruksareal
- 12 m²
- Kommune
- Ringsaker
- Fylke
- Innlandet
- Gnr / Bnr
- 2 / 54
- Saksnummer
- 26/4893
- Fase
- Rammetillatelse
Om byggesaken
Nyoppført drivhus på 12 m² BRA og 13 m² BYA plassert innenfor byggegrensen på eiendommen Lille Ringveg 64 i Brumunddal. Drivhuset medfører en overskridelse av tomteutnyttelsen med 5 %, men eiendommen har fortsatt tilstrekkelig grøntareal og uteoppholdsareal. Bygget er tilpasset småhusbebyggelsen i området og påvirker ikke naboeiendommene negativt. Tiltaket bidrar til økt funksjonalitet og selvforsyningsgrad for eiendommen.
Produkter og materialer
Grunnarbeid
Fundamentering for drivhus
Antall: 1
Fundamentering tilpasset drivhus på 12 m²
Grunnarbeid og fundamentering for drivhus
Tømrer
Bygging av drivhusramme
Antall: 1
Tømrerarbeid for oppføring av drivhusramme
Fasade
Drivhusfasade
Antall: 1
Drivhus på 12 m² BRA og 13 m² BYA, plassert innenfor byggegrense
Fasade og konstruksjon for drivhus
Hendelser
21.04.2026
Vedtak - Dispensasjon fra kommuneplanen for overskridelse av tomteutnyttelse for oppføring av drivhus - Gbnr. 2/54 - Lille Ringveg 64, Brumunddal
09.04.2026
Nabovarsel - Nybygg drivhus, Gbnr 2/54, Lille Ringveg 40, Brumunddal
23.03.2026
Vedrørende søknad om dispensasjon fra tomteutnyttelse - Gbnr. 2/54 - Lille Ringveg 40, Brumunddal
10.03.2026
Søknad om dispensasjon - Nybygg drivhus, Gbnr 2/54, Lille Ringveg 40, Brumunddal