Photo
Fotografier av et område med vann, vegetasjon og en logg.
1 / 15
NewConstruction
Avslatt
Other
Etablering av flytebrygger og parkeringsplass i Lindlandsveien 20, Tvedestrand
📍 Lindlandsveien 20 , 4909 SONGE
Nøkkelinfo
- Sakstype
- Nybygg
- Bygningstype
- Other
- Bruksareal
- 800 m²
- Kommune
- Tvedestrand
- Fylke
- Agder
- Gnr / Bnr
- 73 / 3
- Saksnummer
- 2025/1467
- Fase
- Avslått
Om byggesaken
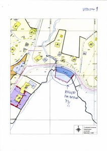
Prosjektet omfatter etablering av en flytebrygge på ca. 19,19 meter i Songevann ved Lindlandsveien 20, samt opparbeidelse av en parkeringsplass på ca. 800 m² på tilgrensende landareal. Flytebryggen skal benytte eksisterende fundament fra tidligere brygge og plasseres slik at den ikke skader omkringliggende vegetasjon og dyreliv. Parkeringsplassen skal dekke behovet for parkering til Songe Frikirke og allmennheten, men vil medføre nedbygging av fulldyrka jord. Tiltaket krever dispensasjon fra byggegrense mot sjø og arealformål LNFR, og er i konflikt med nasjonale og regionale miljø- og jordvernhensyn. Søknaden er avslått av kommunen på grunn av disse konfliktene og manglende dispensasjoner.
Produkter og materialer
Grunnarbeid
Opparbeidelse av parkeringsplass
🧱 Grus, jord, eventuelt drenering
Parkeringsplass på ca. 800 m² på fulldyrka jord, med lagring av matjord for eventuell tilbakeføring
Opparbeidelse av parkeringsplass for biler til Songe Frikirke og allmenn bruk
Fasade
Flytebrygge
🧱 tre og flyteelementer
Antall: 1
Flytebrygge ca. 19,19 meter lang, fundamentert på tidligere bryggefundament, tilpasset lokal vegetasjon og dyreliv
Flytebrygge for småbåter til bruk for fastboende og allmennheten i Songevann
Grunnarbeid
Avkjørsel
Avkjørsel til fylkesvei må være godkjent og tilstrekkelig dimensjonert
Opparbeidelse og godkjenning av avkjørsel til fylkesvei for parkeringsplassen
Hendelser
03.03.2026
Vedtak - Avslag på søknad om etablering av parkeringsplass og flytebrygge - gnr./bnr. 73/3 (og 601/11)
19.02.2026
Uttalelse til søknad om dispensasjon for etablering av parkeringsplass og flytebrygge
05.02.2026
Anmodning om uttalelse: Dispensasjon fra byggegrense mot sjø, dispensasjon fra arealformål samt vurdering rundt dyrka mark: Etablering av parkeringsplass og flytebrygge - Gnr./bnr. 73/3
27.08.2025
Etterlyser oppdatert underlag / Videre saksgang
16.06.2025
Foreløpig tilbakemelding / varsel om avslag på søknad om etablering av parkeringsplasser og flytebrygger – Lindalsveien 20, 73/3
06.06.2025
73/3/0/0 - Lindlandsveien 20 - Søknad om etablering av flytebrygger og parkeringsplass