NewConstruction UnderBehandling Other

Ny brannkum og vanningsanlegg i Smemyrveien 13, Åros

📍 Smemyrveien 10 , 3474 ÅROS

Nøkkelinfo

Sakstype
Nybygg
Bygningstype
Other
Kommune
Asker
Fylke
Akershus
Gnr / Bnr
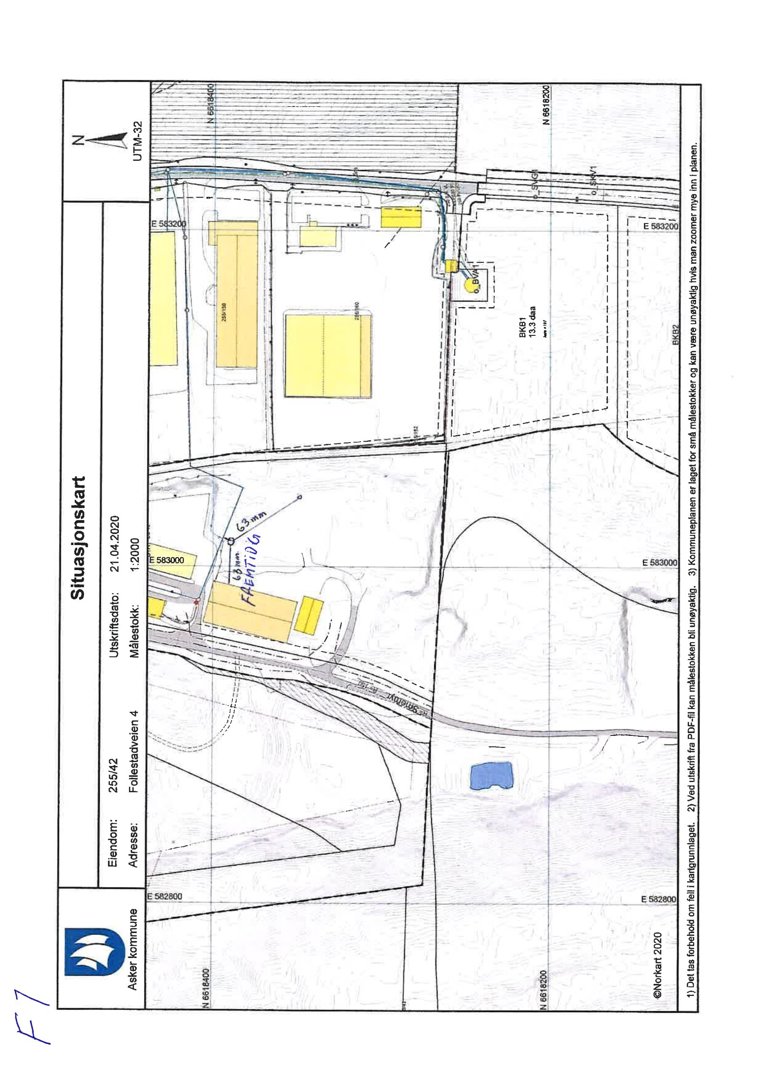
255 / 42
Saksnummer
20/6355
Fase
Under behandling

Om byggesaken

Ny brannkum med diameter 1600 mm og tilhørende vanningsanlegg etableres i Smemyrveien 13, Åros. Brannkummen inkluderer 150 mm ventilrør med brannventil, serviceventiler, stengeventiler, tilbakeslagsventil, flensemuffer, kalibrerte rør og skjøtemuffer. Anlegget omfatter også tilkoblinger til eksisterende vannledninger og stikkledninger til sorteringshall og støvdemping for flisproduksjon. Tiltaket omfatter gravearbeid, montering av kum og rørinstallasjoner i henhold til kommunens VA-norm og godkjent prosjektering.

Produkter og materialer

Betong Brannkum

🧱 Betongkum, diameter 1600 mm

Antall: 1

Ny brannkum med diameter 1600 mm i betong

Brannkum for vannforsyning til brannslukking og vanning

Tømrer Montering og installasjon

Montering av kum og rør i henhold til prosjektering og VA-norm

Utførelse av montering og installasjon av brannkum og tilhørende anlegg

Grunnarbeid Graving for kum og rør

Graving for ny brannkum med diameter 1600 mm og tilkoblinger til eksisterende vannledninger

Grunnarbeid for etablering av brannkum og vanningsanlegg

VVS Ventiler og rørdeler

🧱 Duktilt støpejernsrør, flensemuffer, kalibrerte rør, skjøtemuffer

150 mm ventilrør med brannventil, serviceventiler, stengeventiler, tilbakeslagsventil, 2" ventiler, overgangsflens 150x100 mm

Rør og ventiler for tilkobling av brannkum til vanningsanlegg og eksisterende vannledninger

Elektro Vannmåler

Antall: 1

Vannmåler installert på 2" rør

Måling av vannforbruk tilknyttet brannkum og vanningsanlegg

Hendelser

15.04.2026 255/42 Brannkum - Manglende ferdigattest eller midlertidig brukstillatelse
30.11.2020 255/42 Tillatelse til tiltak - Brannkum
06.11.2020 255/42 Dokumentasjon - Brannkum
27.10.2020 255/42 - Behov for ytterligere dokumentasjon - Brannkum
06.10.2020 255/42 Kvitteringsbrev - Brannkum
06.10.2020 255/42 Søknad om brannkum