Section
Snittegning (SNITT A-A) som viser tverrsnitt gjennom en terrengside med eksisterende dakk, fylling og foreslått støttemur.
1 / 10
Other
Soeknad
Other
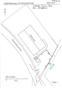
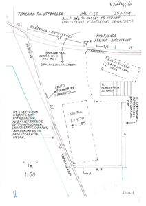
Utbedring av adkomst og støttemur i Fransåsveien 8, Sætre
📍 Fransåsveien 8 , 3475 SÆTRE
Nøkkelinfo
- Sakstype
- Other
- Bygningstype
- Other
- Bruksareal
- 50 m²
- Kommune
- Asker
- Fylke
- Akershus
- Gnr / Bnr
- 357 / 79
- Saksnummer
- 26/1006
- Fase
- Søknad
Om byggesaken
Prosjektet omfatter utbedring av eksisterende adkomstareal til innkjøring og privat parkering på eiendommens sørside med innkjørsel fra Fransåsveien. Det etableres en ny biloppstillingsplass med tilhørende oppfylling av masse og oppføring av støttemur i betong med maksimal høyde på 1 meter over eksisterende terreng. Støttemuren vil delvis erstatte eksisterende mur som fungerer som fundament for en støyskjerm i tre, som demonteres og monteres opp igjen i ny høyde. Innkjørselen vil skrå nedover i terrenget for å gi parkering på nivå med husets inngang, og det planlegges også en kortere og bredere trapp med bedre plass til søppelkasser. Autovern skal demonteres og omplasseres i samråd med kommunen. Det legges ikke asfalt eller fast dekke på parkeringsplassen.
Produkter og materialer
Fasade
Autovern
Autovern skal demonteres og monteres opp igjen i samråd med kommunen
Flytting og gjenmontering av autovern ved innkjørsel
Mur
Støttemur i betong
🧱 Betong, muligens stein enkelte steder
Støttemur med maks 1 meter høyde over terreng, delvis erstatning av eksisterende mur under støyskjerm
Oppføring av støttemur langs sørsiden av parkeringsplassen for oppfylling og støtte
Grunnarbeid
Oppfylling av masse
🧱 Sprengstein, pukk, finere grus/singel
Oppfylling av masse for å etablere planert parkeringsareal og innkjørsel
Oppfylling og planering av adkomstareal og parkeringsplass
Trapper
Utendørs trapp
Antall: 1
Kortere og bredere trapp, lagt lavere i terrenget og lenger fra vei
Ny trapp for bedre adkomst og plass til søppelkasser
Hendelser
15.04.2026
357/79 Fransåsveien 8 - Bekreftelse på at vi har mottatt din søknad
26.03.2026
357/79 Fransåsveien 8 - Søknad om tiltak uten ansvarsrett - Utbedring adkomstareal til innkjøring og parkering, oppføring støttemur og oppfylling av masse