Section
Lengdeprofil (snitt) som viser terrengprofilen langs linjen A-A med høydemål og konstruksjonsdetaljer.
1 / 5
Extension
Ferdigattest
Other
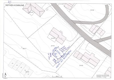
Utvidelse av parkeringsplass på Nedre Gleinåsen 7
📍 Nedre Gleinåsen 7 , 3440 RØYKEN
Nøkkelinfo
- Sakstype
- Tilbygg
- Bygningstype
- Other
- Kommune
- Asker
- Fylke
- Akershus
- Gnr / Bnr
- 221 / 53
- Saksnummer
- 20/3170
- Fase
- Ferdigattest
Om byggesaken
Utvidelse av eksisterende parkeringsplass på eiendommen Nedre Gleinåsen 7 med terrengarbeider som inkluderer oppfylling øst på tomten. Fyllingshøyden er maksimalt 2,5 meter med en avstand på 1 meter fra eiendomsgrense, støttet av nabosamtykke. Arbeidet omfatter terrengendringer for bedre inn- og utkjøring samt forbedrede parkeringsforhold. Tiltaket er utført med personlig ansvarsrett som selvbygger og er ferdigattestert i 2026. Det er ikke oppført bygg, men anleggstekniske arbeider knyttet til terreng og parkeringsareal.
Produkter og materialer
Tømrer
Avstandserklæring og nabosamtykke
Avstandserklæring for fylling 1 meter fra nabogrense, nabosamtykke fra velforening
Dokumentasjon for plassering av fylling nær nabogrense
Grunnarbeid
Terrengfylling
🧱 Massedeponering og fyllmasser
Fyllingshøyde opptil 2,5 meter, avstand 1 meter fra eiendomsgrense, terrengsnitt og situasjonskart dokumentert
Terrengfylling for utvidelse av parkeringsplass øst på tomten
Grunnarbeid
Terrengplanering
Planering av terreng for parkeringsareal, inkludert snittegninger og situasjonskart
Planering og tilpasning av terreng for parkeringsplass
Hendelser
21.04.2026
221/53 Nedre Gleinåsen 7 - Ferdigattest - utvidelse av parkeringsplass
17.04.2026
221/53 - Klage på gebyrets størrelse
25.03.2026
221/53 Nedre Gleinåsen 7 - Søknad om ferdigattest
25.03.2026
221/53 Tillatelse til tiltak - Utvidelse av parkeringsplass - Manglende ferdigattest eller midlertidig brukstillatelse
09.11.2020
221/53 Tillatelse til tiltak - Utvidelse av parkeringsplass
04.11.2020
221/53 Etterspurt dokumentasjon - Utvidelse av parkeringsplass
07.10.2020
221/53 Ufulstendig søknad - Utvidelse av parkeringsplass
06.10.2020
221/53 Supplering av søknad - Utvidelse av parkeringsplass
26.08.2020
221/53 Forlenget av frist for innsending av søknad
19.08.2020
221/53 Ber om forlenget frist for innsending av søknad - Utvidelse av parkeringsplass
22.06.2020
221/53 Behov for ytterligere dokumentasjon
27.04.2020
221/53 Kvitteringsbrev - Utvidelse av parkeringsplass
22.04.2020
221/53 Søknad om utvidelse av parkeringsplass