NewConstruction Igangsettingstillatelse Enebolig

Ny enebolig med frittliggende sekundærbolig på Vestre Jansrud 7A

📍 Vestre Jansrud 7A , 1383 ASKER

Nøkkelinfo

Sakstype
Nybygg
Bygningstype
Enebolig
Bruksareal
367 m²
Boenheter
2
Kommune
Asker
Fylke
Akershus
Gnr / Bnr
3 / 548
Saksnummer
22/2207
Fase
Igangsettingstillatelse

Om byggesaken

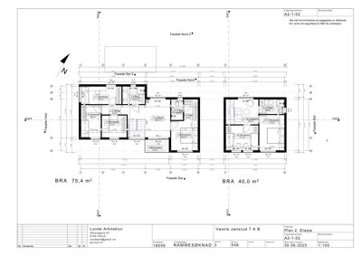
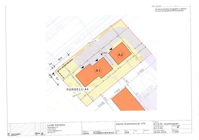
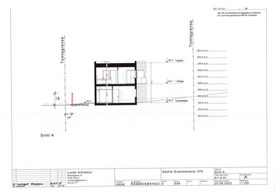
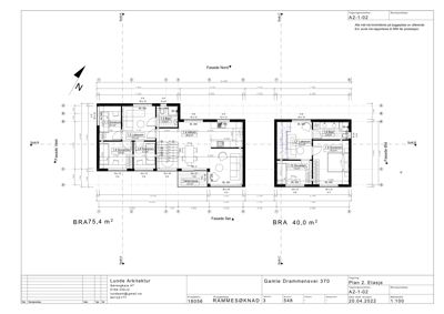
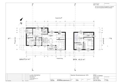
Ny enebolig med frittliggende sekundærbolig oppføres på eiendommen Vestre Jansrud 7A i Asker kommune. Eneboligen har to etasjer med et samlet bruksareal på ca. 152,3 m² (76,9 m² i 1. etasje og 75,4 m² i 2. etasje). Sekundærboligen er frittliggende med to etasjer og et bruksareal på 80 m² (40 m² per etasje). Det etableres en frittliggende garasje på 13,8 m², samt en integrert dobbelgarasje på 34,8 m² i 1. etasje av eneboligen. Bygningene har en kombinasjon av flatt tak og saltak, med gesimshøyder opp til 6 meter og mønehøyder opp til 8,2 meter. Prosjektet inkluderer støyskjerming mot fylkesvei Gamle Drammensvei for å sikre tilfredsstillende støynivå på uteoppholdsarealer. Uteoppholdsarealene er planlagt med 211 m² for hovedboligen og 63 m² for sekundærboligen. Bygget er utført i tre med moderne arkitektur tilpasset omgivelsene. Prosjektet har gjennomgått nødvendige dispensasjonsprosesser for byggegrenser og støyskjerm, og det foreligger igangsettingstillatelse med godkjente ansvarsrettserklæringer for prosjektering og utførelse.

Produkter og materialer

Fasade Trekledning

🧱 Tre

Trekledning på alle fasader

Trekledning for enebolig og sekundærbolig

Rekkverk Rekkverk for trapper

Antall: 2

Rekkverk for 2 trapper i eneboligen

Sikkerhetsrekkverk for trapper

VVS Innvendige og utvendige rørarbeider

Prosjektering og utførelse av innvendige og utvendige rørarbeider, vannforsyning, avløpsanlegg og overvannshåndtering

VVS-installasjoner for boligene

Bad Bad og våtrom

🧱 Membran, fliser

Antall: 5

Bad med membran og flislegging, inkludert etablering av fall

Bad og våtrom i boligene

Elektro Elektroinstallasjoner

Prosjektering og utførelse av elektroinstallasjoner

Elektroarbeid for boligene

Utomhus Uteoppholdsareal og beplantning

Uteoppholdsareal på 211 m² for hovedbolig og 63 m² for sekundærbolig, inkludert beplantning og terrengforming

Utomhusanlegg og utearealer

Pipe Stålpipe

🧱 Stål

Antall: 1

Montering av stålpipe og ildsted

Pipe for eneboligen

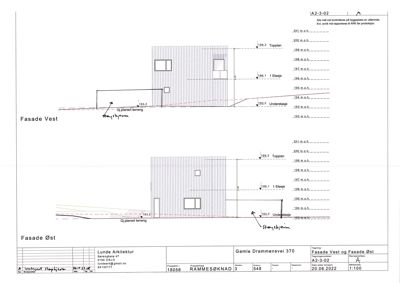
Tak Flatt tak og saltak

🧱 Tre og taktekking

Flatt tak på fasade nord og sør, saltak på fasade øst og vest, gesimshøyde opptil 6 m, mønehøyde opptil 8,2 m

Taktekking for enebolig og sekundærbolig med kombinasjon av flatt tak og saltak

Ventilasjon Balansert ventilasjon

Antall: 2

Prosjektering av balansert ventilasjon for 2 boenheter, med ett anlegg per boenhet

Ventilasjonsanlegg for enebolig og sekundærbolig

Tømrer Tømrerarbeider og taktekking

🧱 Tre

Tømrerarbeider inkludert taktekking, trekonstruksjoner i våtrom, luftlekkasjemåling og montering av ventilasjonsanlegg

Tømrerarbeider for byggkonstruksjon og tak

Maling Innvendig maling

Innvendig maling av vegger og tak

Maling av innvendige flater

Terrasse Takterrasse

Antall: 1

Takterrasse på 4,3 m² i 2. etasje

Utendørs takterrasse

Grunnarbeid Graving, fundamentering og drenering

Graving, masseutskiing, oppfylling, komprimering, fundamentering, drenering, radonsikring

Grunnarbeid for fundamentering og drenering av bygg

Garasjeport Garasjeport til dobbelgarasje og enkeltgarasje

Antall: 2

Garasjeport til dobbelgarasje (34,8 m²) integrert i eneboligen og garasjeport til frittliggende enkeltgarasje (13,8 m²)

Garasjeporter for biloppstilling

Dører Ytterdører og innerdører

🧱 Tre

Antall: 27

Ytterdører og innerdører i tre, inkludert dører til bad, WC, bod, gang, soverom, arbeidsrom, allrom, garasje, dobbelgarasje, stue, kjøkken

Dører i tre til enebolig og sekundærbolig

Betong Stedstøpte betongarbeider

Stedstøpte betongarbeider inkludert montering av radonduk og radonbrønn

Betongarbeider for grunnmur og fundament

Gulv Parkett og fliser

🧱 Eikeparkett og fliser

Gulv med eikeparkett og fliser i våtrom

Innvendige gulvflater

Vinduer Fasadevindu

🧱 Tre

Antall: 27

Vinduer i tre, inkludert 1 vindu i soverom 1.6 etasje, 2 vinduer i stue, 1 vindu i arbeidsrom, 1 vindu i allrom, 1 vindu i soverom, 2 vinduer i garasje, 1 vindu i dobbelgarasje, 1 vindu i bod, 1 vindu i soverom 2. etasje, 1 vindu i lekerom, 1 vindu i bad, 1 vindu i soverom 2. etasje, 1 vindu i takterrasse, 1 vindu i soverom 2. etasje, 1 vindu i bad 2. etasje, 1 vindu i soverom 2. etasje, 1 vindu i soverom 2. etasje

Vinduer i tre til enebolig og sekundærbolig

Fasader

Enebolig

Nord
Materiale
Tre
Taktype
Flatt tak
Høyde
3.9 m
Mønehøyde
8.0 m
Vinduer
1
Dører
1
Synlige etasjer
2
Sør
Materiale
Tre
Taktype
Flatt tak
Høyde
3.9 m
Mønehøyde
8.2 m
Vinduer
7
Dører
1
Balkonger
1
Synlige etasjer
2
Vest
Materiale
Tre
Taktype
Saltak
Høyde
6.0 m
Mønehøyde
8.0 m
Vinduer
3
Dører
0
Synlige etasjer
2
Øst
Materiale
Tre
Taktype
Saltak
Høyde
6.0 m
Mønehøyde
8.0 m
Vinduer
3
Dører
0
Synlige etasjer
2

Hendelser

10.04.2026 3/548 Vestre Jansrud 7A - Behov for endringssøknad for endring av utforming på garasje
25.02.2026 3/548 Vestre Jansrud 7A - Melding om forlenget garasje
02.12.2025 3/548 Vestre Jansrud 7A - Godkjent dispensasjon og endringstillatelse - Nybygg enebolig med frittliggende sekundærbolig
24.11.2025 3/548 Vestre Jansrud 7A - Revidert situasjonsplan og utomhusplan
11.11.2025 3/548 Vestre Jansrud 7A - Fylkeskommunens uttalelse til søknad om dispensasjon fra byggegrense (kopi)
10.11.2025 3/548 Vestre Jansrud 7A - Supplering av søknad
07.10.2025 3/548 Vestre Jansrud 7A - Supplering av søknad
15.09.2025 3/548 Vestre Jansrud 7A - Mangler søknad om dispensasjon - Nybygg enebolig med frittliggende sekundærbolig
08.09.2025 3/548 Vestre Jansrud 7A - Uttalelse til søknad om dispensasjon fra byggegrense (kopi)
29.08.2025 3/548 Vestre Jansrud 7A - Igangsettingstillatelse - Nybygg enebolig med frittliggende sekundærbolig
20.08.2025 3/548 Vestre Jansrud 7A - Søknad om igangsettingstillatelse
25.07.2025 3/548 Vestre Jansrud 7A - Ber om supplerende dokumentasjon til endringssøknad - Nybygg enebolig med frittliggende sekundærbolig
22.07.2025 3/548 Vestre Jansrud 7A - Søknad om endring av gitt tillatelse
16.03.2023 3/548 Godkjent dispensasjon og rammetillatelse - Nybygg enebolig med frittliggende sekundærbolig
01.02.2023 3/548 parsell 44 - Fylkeskommunens uttalelse til søknad om dispensasjon fra regulert byggegrense for oppføring av støyskjerm
04.01.2023 3/548 Anmodning om uttalelse - Søknad om dispensasjon fra byggegrense mot fylkesvei - Nybygg bolig
20.12.2022 3/548 parsell 44 - Søknad om dispensasjon for oppsetting av støyskjerm - Nybygg enebolig med frittliggende sekundærbolig
20.12.2022 3/548 parsell 44 - Tilleggsinformasjon - Nybygg enebolig med frittliggende sekundærbolig
25.10.2022 3/548 Ber om supplerende dokumentasjon - parsell 44 - Nybygg enebolig med frittliggende sekundærbolig
04.10.2022 3/548 Parsell 44 - Tilleggsinformasjon - Nybygg enebolig med frittliggende sekundærbolig
13.09.2022 3/548 parsell 44 - Ber om supplerende dokumentasjon - Nybygg enebolig med frittliggende sekundærbolig
23.06.2022 3/548 parsell 44 - Kvitteringsbrev - Nybygg enebolig med frittliggende sekundærbolig
21.06.2022 3/548 parsell 44 - Søknad om nybygg - Enebolig med frittliggende sekundærbolig