Rehabilitation Rammetillatelse Enebolig

Reparasjon av branncellebegrensende bygningsdeler i Larsnesvegen 118B

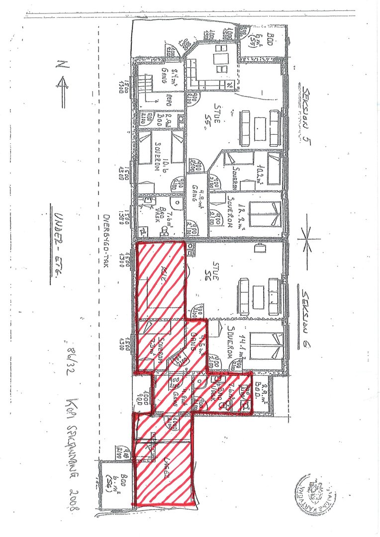
📍 Larsnesvegen 118 , 6084 LARSNES

Nøkkelinfo

Sakstype
Rehabilitering
Bygningstype
Enebolig
Bruksareal
145 m²
Boenheter
1
Kommune
Sande
Fylke
Møre og Romsdal
Gnr / Bnr
86 / 32
Saksnummer
2026/855
Fase
Rammetillatelse

Om byggesaken

Reparasjon av branncellebegrensende bygningsdeler i et 3-etasjers seksjonert boligbygg på Larsnesvegen 118B. Arbeidet omfatter utbedring av skader forårsaket av vanninntrenging, med inngrep i himling i kjøkken, gang, bad og to soverom, samt en intern skillevegg i en boenhet. Tiltaket inkluderer prosjektering og utførelse av brannskillekonstruksjoner mellom boenheter for å gjenopprette brannsikkerheten. Bygget har et totalt areal på ca. 145 m² og består av flere rom med vinduer og dører. Reparasjonen krever spesialisert brannteknisk prosjektering og utførelse i henhold til gjeldende regelverk.

Produkter og materialer

Brannvern Brannskillekonstruksjon

Brannteknisk prosjektering og utførelse i henhold til gjeldende regelverk og brannteknisk notat

Spesialiserte brannverntiltak for å sikre branncellebegrensende bygningsdeler

Tak Himling i kjøkken, gang og bad

Reparasjon av himling i berørte rom som inngår i branncellebegrensende konstruksjon

Materialer for reparasjon av himling som inngår i branncellebegrensende bygningsdeler

Mur Branncellebegrensende veggkonstruksjon

Reparasjon av brannskillekonstruksjon mellom boenheter i henhold til brannteknisk notat

Materialer og konstruksjoner for å gjenopprette branncellebegrensende vegger og skillevegger som er skadet av vanninntrenging

Grunnarbeid Generelt reparasjonsarbeid

Generelle byggearbeider knyttet til reparasjon av vannskade og branncellebegrensende konstruksjoner

Omfatter alle nødvendige grunnarbeider for å gjennomføre reparasjonen

Tømrer Innvendig skillevegg

Reparasjon av intern skillevegg i boenhet som inngår i branncellebegrensende konstruksjon

Tømrerarbeid for reparasjon av skillevegg som er del av branncellebegrensende tiltak

Hendelser

20.04.2026 Løyve til tiltak - Reprasjon av branncellebegrensande bygningsdelar - Larsnesvegen 118B - gnr 86 bnr 32
15.04.2026 Larsnesvegen 118B Søknad om ferdigattest 86/32
10.04.2026 Larsnesvegen 118B Søknad om løyve i ett trinn 86/32