Extension UnderBehandling Enebolig

Tilbygg, bruksendring og nybygg garasje på enebolig, Kjellvikveien 86

📍 Kjellvikveien 86 , 1684 VESTERØY

Nøkkelinfo

Sakstype
Tilbygg
Bygningstype
Enebolig
Bruksareal
49 m²
Boenheter
1
Kommune
Hvaler
Fylke
Østfold
Gnr / Bnr
44 / 3
Saksnummer
2025/1713
Fase
Under behandling

Om byggesaken

Prosjektet omfatter oppføring av et tilbygg på 23,1 m² med soverom, bad og hobbyrom, samt et nybygg garasje på 26 m² med tilhørende skjul og drysserhus på eiendommen Kjellvikveien 86. Eneboligen er eldre, med hovedhus på ca. 60 m² og flere uthus/anneks, og ligger i et område regulert til LNF-spredt bolig- og fritidsbebyggelse. Bruksendring fra helårsbolig til fritidsbolig er søkt, men krever dispensasjon fra kommuneplanens arealdel, noe som anses vanskelig å få innvilget. Eiendommen har vært brukt som fritidsbolig siden 1966, men formelt er den registrert som boligeiendom med boplikt. Saksbehandlingen er komplisert av uenighet mellom eiere og spørsmål om konsesjon og partsinnsyn. Det foreligger også søknader om fasadeendringer og restaurering av uthus.

Produkter og materialer

VVS Sanitæranlegg

Bad med toalett og vask, tilknytning til offentlig vann og avløp

Sanitæranlegg i tilbygg og eksisterende bygg

Grunnarbeid Drenering og fundamentering

🧱 Betong, dreneringsrør

Drenering med kultgrøft og rør, fundamentering med betong såle og ringmur

Grunnarbeid for tilbygg og nybygg

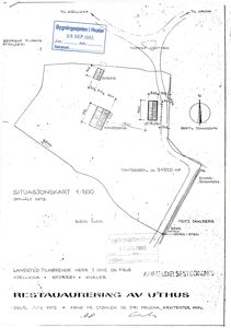
Bygg Restaurering og flytting av uthus

🧱 Tre, tradisjonell konstruksjon

Antall: 1

Restaurering og flytting av uthus, bevaring av opprinnelig stil

Restaurering og flytting av uthus på eiendommen

Bygg Tilbygg med soverom, bad og hobbyrom

🧱 Tre reisverk, isolasjon mineralull, trepanel

Antall: 1

Tilbygg på 23,1 m² med soverom 15,6 m², bad 7,5 m² og hobbyrom 10 m², 1 etasje, 1 vindu og 3 dører

Oppføring av tilbygg til enebolig med soverom, bad og hobbyrom

Bygg Nybygg garasje med skjul og drysserhus

🧱 Tre, betong grunnmur

Antall: 1

Garasje på 26 m² med tilhørende skjul og drysserhus, 1 dør, ingen vinduer

Ny frittstående garasje med tilhørende skjul og drysserhus

Tømrer Bygging og restaurering

🧱 Treverk, isolasjon

Tømrerarbeid for tilbygg, garasje og restaurering av uthus

Tømrerarbeid i prosjektet

Maling Utvendig og innvendig maling

🧱 Miljøvennlig maling

Maling av fasader og innvendige flater

Overflatebehandling av bygg

Terrasse Terrasse og uteareal

🧱 Tre

Terrasse ved enebolig, rekkverk iht. forskrifter

Utendørs terrasse og rekkverk

Fasade Fasadeendring på enebolig

🧱 Tre kledning, trevinduer, dører i tre

Antall: 1

Fasadeendringer på enebolig med trevinduer og dører, flatt tak og valmtak, pipe

Fasadeendring på eksisterende enebolig

Elektro Elektrisk installasjon

Elektrisk oppvarming, belysning og installasjoner iht. forskrifter

Elektrisk installasjon i tilbygg og garasje

Plantegning

Garasje 26.0 m²

Etasje 1 26.0 m²

Rom Areal Vinduer Dører
Garasje GARASJE 26.0 m² 0 1
Skjul SKJUL 0.0 m² 0 1
Drysserhus DRYSSERHUS 0.0 m² 0 0
Hobbyrom HOBBYROM 0.0 m² 0 0

Tilbygg 23.1 m²

Etasje 1 23.1 m²

Rom Areal Vinduer Dører
Soverom 101 15.6 m² 1 1
Bad 102 7.5 m² 0 1
Hobbyrom 103 10.0 m² 1 1

Fasader

Enebolig

Sør
Materiale
Tre
Taktype
Flatt tak
Høyde
2.3 m
Mønehøyde
3.1 m
Vinduer
1
Dører
1
Synlige etasjer
1
Øst
Materiale
Tre
Taktype
Valmtak
Høyde
2.3 m
Mønehøyde
3.1 m
Vinduer
1
Dører
0
Synlige etasjer
2
Vest
Materiale
Tre
Taktype
Flatt tak
Høyde
2.3 m
Mønehøyde
3.1 m
Vinduer
3
Dører
0
Synlige etasjer
1
Nord
Materiale
Tre
Taktype
Valmtak
Høyde
2.3 m
Mønehøyde
3.1 m
Vinduer
1
Dører
0
Balkonger
1
Synlige etasjer
2

Hendelser

21.04.2026 Klage på avvist konsesjonssøknad - 44/3 - Kjellvikveien 86
18.02.2026 Foreløpig svar - klage på avvisning - søknad om konsesjon på erverv av fast eiendom - 44/3 - Kjellvikveien 86
28.01.2026 Vedtak - avvisning av søknad om erverv av fast eiendom etter konsesjonsloven - 44/3 - Kjellvikveien 86
27.01.2026 Statsforvalteren oversender klager - konsesjonssak - 44/3 - Kjellvikveien 86
17.12.2025 Vurdering av lovlighet - konsesjonssak - utredningsplikt etter forvaltningsloven §§ 17–18 - 44/3 - Kjellvikveien 86
09.12.2025 Sammenstilling av saksdokumenter til oversendelse til eiere - 44/3 - Kjellvikveien 86
25.11.2025 Tilleggsopplysninger – påvirkning av saksbehandling og manglende partsinnsyn - 44/3 - Kjellvikveien 86
25.11.2025 Oppdatering – fortsatt manglende partsinnsyn og uavklart saksbehandling - 44/3 – Kjellvikveien 86
24.11.2025 Purring – manglende partsinnsyn og uavklart saksbehandling - 44/3 – Kjellvikveien 86
12.11.2025 Oppfølging – saksnr. 2025/1713 konsesjon og 2025/1651 boplikt - 44/3 - Kjellvikveien 86
11.11.2025 2. sending - oppfølging – saksnr. 2025/1713 konsesjon og 2025/1651 boplikt - 44/3 - Kjellvikveien 86
11.11.2025 Oppfølging – saksnr. 2025/1713 konsesjon og 2025/1651 boplikt - 44/3 - Kjellvikveien 86
05.11.2025 Oppfølging – saksnr. 2025/1713 konsesjon og 2025/1651 boplikt - 44/3 - Kjellvikveien 86
21.10.2025 Presisering av partsinnsyn og videre oppfølging - 44/3 - Kjellvikveien 86
17.10.2025 Henvendelse sendt til feil person - 44/3 - Kjellvikveien 86
16.10.2025 Svar - ønsker møte - 44/3 - Kjellvikveien 86
16.10.2025 Svar - 44/3 - Kjellvikveien 86
16.10.2025 Svar - ønsker møte - 44/3 - Kjellvikveien 86
13.10.2025 Boplikt - 44/3 - Kjellvikveien 86
07.10.2025 Foreløpig svar vedrørende konsesjonsforhold - 44/3 - Kjellvikveien 86
03.10.2025 Ønsker møte - 44/3 - Kjellvikveien 86
29.09.2025 Søknad om fritak fra boplikt - 44/3 - Kjellvikveien 86
25.09.2025 Søknad om konsesjon på erverv av fast eiendom etter konsesjonsloven - 44/3 - Kjellvikveien 86
19.09.2025 Svar - søknad - boplikt - 44/3 - Kjellvikveien 86
19.09.2025 Svar - søknad om fritak fra boplikt - 44/3 - Kjellvikveien 86