Photo
Fotografi av en hvit bygning med etasjer og vinduer, sett fra en vei med en garasje i forgrunnen.
1 / 11
Extension
Unknown
Enebolig
Tilbygg, bytte kledning, ombygging utestue, erstatningsgarasje og utvidet innkjørsel
📍 Schweigaards vei 8 , 3770 KRAGERØ
Nøkkelinfo
- Sakstype
- Tilbygg
- Bygningstype
- Enebolig
- Kommune
- Kragerø
- Fylke
- Telemark
- Gnr / Bnr
- 33 / 153
- Saksnummer
- 2025/3942
- Fase
- Unknown
Om byggesaken
Saken gjelder søknad om rammetillatelse for et omfattende tiltak som inkluderer oppføring av tilbygg, utskifting av fasadekledning, ombygging av utestue, bygging av erstatningsgarasje og utvidelse av innkjørsel på Schweigaards vei 8 i Kragerø. Saken omfatter også dispensasjonssøknad, nabovarsel og etterfølgende klage på vedtak.
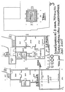
Plantegning
Enebolig 114.5 m²
Etasje 0 0.0 m²
| Rom | Areal | Vinduer | Dører |
|---|---|---|---|
| Kryp-kjeller K01 | 0.0 m² | 0 | 1 |
| Bod K02 | 0.0 m² | 0 | 1 |
| Bod K03 | 0.0 m² | 0 | 1 |
| Garasje G01 | 0.0 m² | 0 | 1 |
Etasje 1 0.0 m²
| Rom | Areal | Vinduer | Dører |
|---|---|---|---|
| Gang 101 | 0.0 m² | 0 | 2 |
| Sov 102 | 0.0 m² | 0 | 1 |
| Stue 103 | 0.0 m² | 0 | 1 |
| Kjøkken 104 | 0.0 m² | 0 | 1 |
| Bad 105 | 0.0 m² | 0 | 1 |
| Sykkel-bod 106 | 0.0 m² | 0 | 1 |
Etasje 2 114.5 m²
| Rom | Areal | Vinduer | Dører |
|---|---|---|---|
| Sov 201 | 10.5 m² | 1 | 1 |
| Sov 202 | 10.0 m² | 1 | 1 |
| Sov 203 | 9.5 m² | 1 | 1 |
| Sov 204 | 9.5 m² | 1 | 1 |
| Stue 205 | 25.0 m² | 1 | 1 |
| Spis 206 | 15.0 m² | 1 | 1 |
| Kjøkken 207 | 12.0 m² | 1 | 1 |
| Bod 208 | 8.0 m² | 1 | 1 |
| Gang 209 | 6.0 m² | 0 | 4 |
| Vaskerom og Bad 210 | 8.7 m² | 1 | 1 |
| Gard 211 | 2.0 m² | 0 | 1 |
| Kontor 212 | 8.5 m² | 1 | 1 |
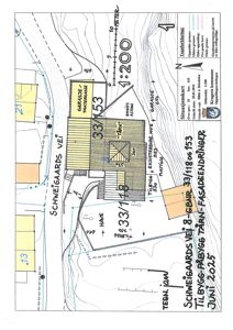
Fasader
Enebolig
Nord
- Materiale
- Tre
- Taktype
- Saltak
- Vinduer
- 5
- Dører
- 1
- Balkonger
- 1
- Synlige etasjer
- 2
Vest
- Materiale
- Tre
- Taktype
- Saltak
- Vinduer
- 6
- Dører
- 1
- Balkonger
- 1
- Synlige etasjer
- 2
Sør
- Materiale
- Tre
- Taktype
- Saltak
- Vinduer
- 3
- Dører
- 1
- Synlige etasjer
- 1
Øst
- Materiale
- Tre
- Taktype
- Saltak
- Vinduer
- 6
- Dører
- 1
- Balkonger
- 1
- Synlige etasjer
- 2
Hendelser
15.04.2026
Purring på klage - Gbnr. 33/153 - Schweigaards vei 8 - Søknad om tilbygg, bytte kledning, ombygging utestue, erstatningsgarasje, utvide innkjørsel
15.04.2026
Orientering om saksbehandlingstid for klage - Gbnr. 33/153 - Schweigaards vei 8 - Søknad om tilbygg, bytte kledning, ombygging utestue, erstatningsgarasje, utvide innkjørsel
08.01.2026
Klage på administrativt vedtak - Gbnr. 33/153 - Schweigaards vei 8 - Søknad om tilbygg, bytte kledning, ombygging utestue, erstatningsgarasje, utvide innkjørsel
08.01.2026
Bekreftelse på mottatt klage på administrativt vedtak - Gbnr. 33/153 - Schweigaards vei 8 - Søknad om tilbygg, bytte kledning, ombygging utestue, erstatningsgarasje, utvide innkjørsel
02.01.2026
FORELØPIG KLAGE PÅ VEDTAK – Gbnr. 33/153 - Schweigaards vei 8 - Søknad om tilbygg, bytte kledning, ombygging utestue, erstatningsgarasje, utvide innkjørsel
10.12.2025
Delvis rammetillatelse - Gbnr. 33/153 - Schweigaards vei 8 - Søknad om tilbygg, bytte kledning, ombygging utestue
10.12.2025
Fakturagrunnlag - Gbnr. 33/153 - Schweigaards vei 8 - Søknad om tilbygg, bytte kledning, ombygging utestue
05.12.2025
Statsforvalterens merknad til høring - Gbnr. 33/153 - Schweigaards vei 8 - Søknad om tilbygg, bytte kledning, ombygging utestue, erstatningsgarasje, utvide innkjørsel
24.11.2025
Behov for tilleggsinformasjon og utsatt frist - dispensasjon - Kragerø 33/153 - Schweigaards vei 8 - tilbygg - kledning - ombygge utestue - erstatningsgarasje - utvide innkjørsel - deres ref. 25/3942-6
24.11.2025
Behov for tilleggsinformasjon og utsatt frist - dispensasjon - Kragerø 33/153 - Schweigaards vei 8 - tilbygg - kledning - ombygge utestue - erstatningsgarasje - utvide innkjørsel - deres ref. 25/3942-6
20.11.2025
Statsforvalteren ber om tilleggsinformasjon og utsatt frist - Gbnr. 33/153 - Schweigaards vei 8 - Søknad om tilbygg, bytte kledning, ombygging utestue, erstatningsgarasje, utvide innkjørsel
31.10.2025
Ekstern høring - Gbnr. 33/153 - Schweigaards vei 8 - Søknad om tilbygg, bytte kledning, ombygging utestue, erstatningsgarasje, utvide innkjørsel
24.10.2025
Søknad om rammetillatelse - Gbnr. 33/153 - Schweigaards vei 8 - Søknad om tilbygg, bytte kledning, ombygging utestue, erstatningsgarasje, utvide innkjørsel
24.10.2025
Bekreftelse på mottatt søknad - Gbnr. 33/153 - Schweigaards vei 8 - Søknad om tilbygg, bytte kledning, ombygging utestue, erstatningsgarasje, utvide innkjørsel
20.10.2025
Epost-korrespondanse; kopi av nabomerknad - Gbnr. 33/153 - Schweigaards vei 8 - Endring av bygg
09.10.2025
Bekreftelse på mottatt nabomerknad - Gbnr. 33/153 - Schweigaards vei 8 - Endring av bygg
09.10.2025
Nabomerknad; Schweigaards vei 8 - Gbnr. 33/153 - Schweigaards vei 8 - Endring av bygg ...