Facade
Fasadetegning som viser bygningens utsyn fra alle fire sider (Nord, Sør, Øst, Vest) med mål og detaljer.
1 / 5
NewConstruction
Soeknad
Fritidsbolig
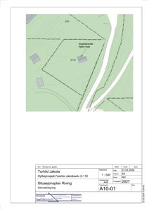
Ny hytte og sauna i Vestre Jakobselv 2/112, Vadsø
📍 2/112 , 9802 VESTRE JAKOBSELV
Nøkkelinfo
- Sakstype
- Nybygg
- Bygningstype
- Fritidsbolig
- Bruksareal
- 50 m²
- Kommune
- Vadsø
- Fylke
- Finnmark - Finnmárku - Finmarkku
- Gnr / Bnr
- 2 / 112
- Saksnummer
- 2026/1455
- Fase
- Søknad
Om byggesaken
Ny frittstående hytte og separat sauna oppføres på eiendommen i Vestre Jakobselv 2/112. Hytten og saunaen er fritidsbygg med samlet bebygd areal under 70 m². Eksisterende hytte på 20 m² rives for å gi plass til nybyggene. Byggene plasseres på en tomt på 1069,8 m² med maks tillatt bebygd areal på 320,94 m². Tiltaket inkluderer grunnarbeid, fundamentering, og oppføring av bygninger tilpasset LNFR-areal med dispensasjon. Byggene skal ikke ha innlagt vann, og takvann føres til terreng. Det er ikke registrert fare for flom eller skred på tomten.
Produkter og materialer
Tak
Saltak eller tilsvarende
Antall: 2
Taktekking for hytte og sauna
Tømrer
Frittstående hytte og sauna
🧱 Tre
Antall: 2
Ny hytte og separat sauna, samlet under 70 m² bebygd areal
Oppføring av to frittstående bygninger i tre for fritidsbruk
Maling
Utvendig og innvendig maling
Overflatebehandling av treverk utvendig og innvendig
Grunnarbeid
Fundamentering
Grunnarbeid for ny hytte og sauna på tomt uten flom- eller skredfare
Grunnarbeid og fundamentering for ny fritidsbolig og sauna
Dører
Ytterdør
Ytterdører til hytte og sauna
Elektro
Elektrisk installasjon
Elektrisk anlegg for hytte og sauna
Vinduer
Fasadevindu
Vinduer til hytte og sauna for naturlig lys og ventilasjon
VVS
Badstuovn
Antall: 1
Badstuovn for sauna
Plantegning
Anneks 18.1 m²
Etasje 1 18.1 m²
| Rom | Areal | Vinduer | Dører |
|---|---|---|---|
| Stue 101 | 12.3 m² | 1 | 1 |
| Sov 102 | 5.8 m² | 1 | 0 |
Fasader
Anneks
Nord
- Materiale
- Tre
- Taktype
- Saltak
- Høyde
- 2.6 m
- Vinduer
- 1
- Dører
- 0
- Synlige etasjer
- 1
Sør
- Materiale
- Tre
- Taktype
- Saltak
- Høyde
- 2.6 m
- Vinduer
- 1
- Dører
- 0
- Synlige etasjer
- 1
Øst
- Materiale
- Tre
- Taktype
- Saltak
- Høyde
- 2.6 m
- Vinduer
- 0
- Dører
- 1
- Synlige etasjer
- 1
Vest
- Materiale
- Tre
- Taktype
- Saltak
- Vinduer
- 0
- Dører
- 0
- Synlige etasjer
- 1
Hendelser
16.04.2026
Søknad om dispensasjon - GBNR 2/112 - Oppføre en ny hytte og sauna - Vestre Jakobselv
14.04.2026
Søknad om rammetillatelse GBNR 2/112