Section
Snittegning (Snitt C og D) som viser bygningens høydeprofil i forhold til terrenget.
1 / 7
NewConstruction
Soeknad
Fritidsbolig
Ny hytte med avløpsanlegg på Gnr 50 Bnr 152
Nøkkelinfo
- Sakstype
- Nybygg
- Bygningstype
- Fritidsbolig
- Boenheter
- 1
- Kommune
- Averøy
- Fylke
- Møre og Romsdal
- Gnr / Bnr
- 50 / 152
- Saksnummer
- 22/00287
- Fase
- Søknad
Om byggesaken
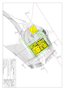
Ny fritidsbolig oppføres på eiendommen Gnr 50 Bnr 152. Prosjektet inkluderer bygging av en hytte samt etablering av et avløpsanlegg med tilhørende dispensasjon. Det foreligger situasjonskart, terrengprofiler og stikkeplaner som viser plassering og tilpasning til terrenget. Bygget vil være tilpasset tomtens topografi og omfatter nødvendige grunnarbeider og infrastruktur for avløpsløsning. Prosjektet er i søknadsfasen med pågående behandling av dispensasjon og byggesøknad.
Produkter og materialer
Fasade
Utvendig kledning
Utvendig kledning til hytte
VVS
Avløpsanlegg
Dispensasjon for etablering av avløpsanlegg
Avløpsanlegg for fritidsbolig med nødvendig godkjenning
Grunnarbeid
Tomtearbeid og stikksetting
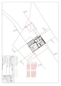
Stikkeplan og situasjonskart for plassering av hytte
Grunnarbeid for oppføring av hytte, inkludert stikksetting og tilpasning til terreng
Mur
Grunnmur
Grunnmur for hytte
Tømrer
Hyttebygging
Tømrerarbeid for oppføring av hytte
Vinduer
Fasadevindu
Vinduer til hytte
Dører
Ytterdør
Ytterdør til hytte
Tak
Taktekking
Taktekking for hytte
Hendelser
15.04.2026
22/00287-37 SV: Innhenting av samsvarserklæringer,Klubbveien 73
15.04.2026
22/00287-36 Fwd: Hillestad
15.04.2026
22/00287-35 SV: Klubbveien 73
08.04.2026
22/00287-34 SV: Klubbveien 73
08.04.2026
22/00287-33 SV: Mangelbrev
23.03.2026
22/00287-32 VS: Mangelbrev
23.03.2026
22/00287-31 Klubbveien 73 byggesak
27.02.2026
22/00287-30 Mangelbrev
04.12.2025
22/00287-29 Re: BYGG-22/00057 og 25/01590
02.12.2025
22/00287-28 1554/50/152/0/0, oppføring av hytte/dispensasjon - Svein Hillestad/Toro bygg AS
dispensasjon
02.12.2025
22/00287-27 GID 50/152 - Vedtak dispensasjon for etablering av avløpsanlegg - Svein Hillestad
dispensasjon
07.11.2025
22/00287-26 Uttalelse- Statsforvalteren i Møre og Romsdal-dispensasjon - avløpsanlegg -GID 50/152
dispensasjon
31.10.2025
22/00287-25 1554/50/152/0/0,- Søknad om dispensasjon for etablering av avløpsanlegg - Svein Hillestad- anmodning om uttalelse
dispensasjon