Extension UnderBehandling Fritidsbolig

Tilbygg til fritidsbolig på Justøyveien 230, Lillesand

📍 Justøyveien 230 , 4780 BREKKESTØ

Nøkkelinfo

Sakstype
Tilbygg
Bygningstype
Fritidsbolig
Bruksareal
48 m²
Boenheter
1
Kommune
Lillesand
Fylke
Agder
Gnr / Bnr
11 / 33
Saksnummer
2025/1716
Fase
Under behandling

Om byggesaken

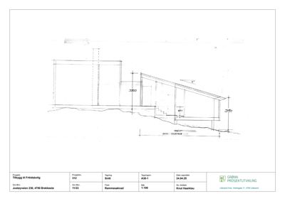
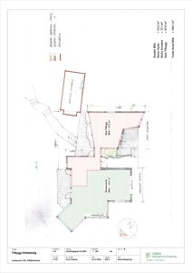
Ny tilbygg på ca. 48 m² BRA til eksisterende fritidsbolig på Justøyveien 230 i Lillesand kommune. Tilbygget er plassert bak eksisterende bygg, mellom fritidsbolig og anneks, og har saltak og trekledning som matcher eksisterende bygg. Tilbygget inneholder nytt soverom, bad/WC og vaskerom, og er tilpasset terrenget med ca. 11 meters høydeforskjell til fylkesveien. Bygget har 2 etasjer og er utformet for å redusere eksponering mot sjø og vei. Det er innvilget dispensasjon fra byggegrense mot fylkesvei 3664 med vilkår om minimum 19,5 meter avstand til senterlinje vei. Totalt BRA for fritidsboligen etter tilbygg blir ca. 118,5 m². Prosjektet inkluderer også oppgradering av VA-løsning til offentlig tilknytning.

Produkter og materialer

Vinduer Fasadevindu

🧱 Tre eller aluminium

Antall: 9

Vinduer i tilbygget fordelt på fasader nordøst og nordvest

Nye vinduer i tilbygget, antall og plassering i henhold til tegninger

Maling Utvendig og innvendig maling

Maling av treflater utvendig og innvendig i tilbygget

Overflatebehandling av treverk og innvendige flater

VVS Sanitærinstallasjoner

Bad/WC og vaskerom med tilknytning til offentlig avløp

Sanitærinstallasjoner i nytt bad, vaskerom og tilknytning til offentlig VA

Tømrer Byggkonstruksjon

🧱 Tre

Tømrerarbeid for oppføring av tilbyggets konstruksjon

Tømrerarbeid for vegger, tak og innvendige konstruksjoner

Dører Ytterdør

🧱 Tre eller glass

Antall: 3

Ytterdører i tilbygget, inkludert dør til vaskerom og soverom

Dører i tilbygget i henhold til plantegninger og fasadetegninger

Betong Fundament og mur

Betongfundament og eventuell mur i tilbygget

Betongarbeid for fundament og bærende konstruksjoner

Grunnarbeid Fundamentering og terrengtilpasning

Grunnarbeid for tilbygg med ca. 11 meters høydeforskjell til vei

Terrengtilpasning og fundamentering for tilbygget i bratt terreng

Gulv Innvendige gulv

Gulv i tilbygget, type ikke spesifisert

Innvendige gulv i tilbygget, antatt parkett eller laminat

Elektro Elektrisk anlegg

Elektrisk installasjon i tilbygget

Elektrisk anlegg for belysning, stikkontakter og tekniske installasjoner

Ventilasjon Mekanisk ventilasjon

Ventilasjon i bad og vaskerom

Ventilasjonsanlegg for våtrom i tilbygget

Fasade Trekledning

🧱 Tre

Tilbygg med trekledning som matcher eksisterende fritidsbolig

Yttervegger kledd med trepanel i samme stil som eksisterende bygg

Tak Saltak

🧱 Takstein eller tilsvarende

Saltak på tilbygget, tilpasset eksisterende bygg

Tak med saltak som harmonerer med eksisterende fritidsbolig

Plantegning

Fritidsbolig 231.0 m²

Etasje 1 112.5 m²

Rom Areal Vinduer Dører
Stue 101 0.0 m² 0 1
Kjøkken 102 0.0 m² 0 1
Bad 103 0.0 m² 0 1
Sov 104 0.0 m² 0 1
Sov 105 0.0 m² 0 1
Sov 106 0.0 m² 0 1
Vaskerom 107 0.0 m² 0 1
Gang 108 0.0 m² 0 0

Etasje 0 118.5 m²

Rom Areal Vinduer Dører
Stue 001 35.2 m² 2 1
Kjøkken 002 12.5 m² 1 1
Gang 003 8.3 m² 0 2
Bad 004 5.1 m² 0 1
Sove 005 14.2 m² 1 1
Vaskerom 006 4.8 m² 0 1
Teknisk 007 3.2 m² 0 1
Gang 008 5.2 m² 0 1

Fasader

Fritidsbolig

Sørvest
Materiale
Tre
Taktype
Valmtak
Vinduer
4
Dører
1
Synlige etasjer
2
Nordvest
Materiale
Tre
Taktype
Saltak
Vinduer
6
Dører
1
Synlige etasjer
1
Sør-øst
Materiale
Tre
Taktype
Saltak
Vinduer
3
Dører
1
Balkonger
1
Synlige etasjer
2

Tilbygg fritidsbolig

Nord-øst
Materiale
Tre
Taktype
Saltak
Vinduer
4
Dører
1
Synlige etasjer
2
Nord-vest
Materiale
Tre
Taktype
Saltak
Vinduer
2
Dører
1
Synlige etasjer
2

Enebolig

Nordøst
Materiale
Tre
Taktype
Saltak
Vinduer
2
Dører
1
Balkonger
1
Synlige etasjer
2
Nord-Vest
Materiale
Tre
Taktype
Saltak
Vinduer
4
Dører
1
Synlige etasjer
2
Sørøst
Materiale
Tre
Taktype
Saltak
Vinduer
2
Dører
1
Synlige etasjer
2
Nordvest
Materiale
Tre
Taktype
Saltak
Vinduer
4
Dører
1
Synlige etasjer
2

Tilbygg til Fritidsbolig

Sørvest
Materiale
Tre
Taktype
Saltak
Vinduer
3
Dører
1
Synlige etasjer
1

Hendelser

22.04.2026 Gnr 11 bnr 33 - Justøyveien 230 - Oversender søknad til forhåndsuttalelse
13.04.2026 Supplering av søknad 11/33
13.02.2026 Avventer revidert og utfyllende dokumentasjon
09.01.2026 Vurderer revidering - ber om at saken settes på vent
23.12.2025 Foreløpig vurdering av revidert søknad - ber om opplysninger og avventer tilbakemelding
11.12.2025 Supplering av søknad
09.10.2025 Uttalelse til søknad om tilbygg til eksisterende fritidsbolig på gnr/bnr. 11/33, fv. 3664, Lillesand kommune
11.08.2025 Ber om at søknaden settes på vent - revidert søknad kommer
11.08.2025 Oversender forhåndsuttalelse fra Agder Fylkeskommune - ber om tilbakemelding
11.08.2025 Sak settes midlertidig på vent
04.08.2025 Forhåndsuttalelse - tilbygg til eksisterende fritidsbolig fv. 3664 - gnr/bnr 11/33 - Lillesand kommune
08.07.2025 Gnr 11 bnr 33 - Justøyveien 230 - Søknad oversendes til forhåndsuttalelse
08.07.2025 Det må søkes om dispensasjon fra byggegrense mot fylkesvei for omsøkt tilbygg
20.06.2025 Søknad om rammetillatelse