NewConstruction Ferdigattest Garasje

Ny dobbelgarasje på Ånnerudskogen 144, Asker

📍 Ånnerudskogen 144 , 1383 ASKER

Nøkkelinfo

Sakstype
Nybygg
Bygningstype
Garasje
Bruksareal
36 m²
Kommune
Asker
Fylke
Akershus
Gnr / Bnr
8 / 547
Saksnummer
20/4731
Fase
Ferdigattest

Om byggesaken

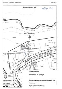
Ny frittliggende dobbelgarasje på 36 m² BYA og 33,6 m² BRA oppført på eiendommen Ånnerudskogen 144 i Asker. Garasjen har saltak med takvinkel 36°, taktekking i tegl, og fasader i tre. Bygget har én etasje med garasjeplass og en kjellerbod som opprinnelig var planlagt, men kjelleren ble fjernet i siste søknadsfase. Gesimshøyden er 2,977 m, og mønehøyden er ca. 5,15 m. Garasjen er plassert 1 meter fra nabogrensen med signert avstandserklæring fra nabo. Fundamentet består av ringmur i Leca eller betong med anbefalt tykkelse 15 cm. Det er støpt gulv i vater, og det er krav om armering og støping i betong ved portåpning. Garasjen er tilpasset terrenget med støttemur mot naboen for å hindre ras. Det er ingen vinduer, men garasjeporter på to fasader. Prosjektet er ferdigattestert.

Produkter og materialer

Grunnarbeid Terrengarbeid og VA-tilpasning

Tilpasning til eksisterende VA-ledninger, terrengjustering med støttemur

Grunnarbeid med hensyn til VA-ledninger og terrengjustering

Betong Støpt gulv

🧱 Betong

Støpt gulv i vater, eventuelt med fall etter avtale

Betonggulv i garasje, støpt i vater

Mur Støttemur

🧱 Uspesifisert

Antall: 1

Støttemur mot nabo for å hindre ras og terrengutjevning

Støttemur oppført mot nabo for terrengstabilisering

Trapper Innvendig trapp til kjellerbod

Antall: 1

Innvendig trapp til kjellerbod planlagt, men senere fjernet

Trapp til kjellerbod i garasje, opprinnelig planlagt men ikke utført

Garasjeport Garasjeporter

Antall: 2

Garasjeporter på fasade sør og øst

To garasjeporter for bilinnkjøring

Fasade Trepanel

🧱 Tre

Fasader i tre, malt eller behandlet

Yttervegger i trepanel som fasademateriale

Betong Ringmur

🧱 Leca eller betong

Ringmur 15 cm tykkelse, støpt i betong eller Leca, armering ved portåpning

Fundamentering med ringmur i Leca eller betong, tilstrekkelig forankret til såle

Tak Saltak med teglstein

🧱 Teglstein

Saltak med takvinkel 36°, tegl takstein

Taktekking med teglstein på saltak

Plantegning

Garasje m/kjeller 72.0 m²

Etasje 1 36.0 m²

Rom Areal Vinduer Dører
Garasje 101 36.0 m² 0 0

Etasje 0 36.0 m²

Rom Areal Vinduer Dører
Kjeller 001 36.0 m² 0 0

Fasader

Garasje

Vest
Materiale
Tre
Taktype
Flatt tak
Takmat.
Tegl
Høyde
3.0 m
Mønehøyde
4.7 m
Vinduer
0
Dører
0
Synlige etasjer
1
Nord
Materiale
Tre
Taktype
Saltak
Takmat.
Tegl
Høyde
3.7 m
Mønehøyde
5.2 m
Vinduer
0
Dører
0
Synlige etasjer
1
Syd
Materiale
Tre
Taktype
Saltak
Høyde
4.0 m
Vinduer
0
Dører
0
Synlige etasjer
1
Sør
Materiale
Tre
Taktype
Saltak
Takmat.
Tegl
Høyde
3.0 m
Mønehøyde
5.2 m
Vinduer
1
Dører
0
Synlige etasjer
1
Øst
Materiale
Tre
Taktype
Saltak
Takmat.
Tegl
Høyde
5.2 m
Mønehøyde
7.8 m
Vinduer
0
Dører
0
Synlige etasjer
1

Enebolig

Nord
Materiale
Tre
Taktype
Saltak
Høyde
6.5 m
Mønehøyde
8.2 m
Vinduer
9
Dører
1
Balkonger
1
Synlige etasjer
2

Hendelser

08.04.2026 8/547 Ånnerudskogen 144 - Tilbakemelding på brev om manglende ferdigattest eller midlertidig brukstillatelse ferdigattest
08.01.2021 8/547 Tillatelse til tiltak - Nybygg garasje byggetillatelse
17.12.2020 8/547 Oppdatering av søknad - Nybygg garasje søknad
08.12.2020 8/547 Ufullstendig søknad 2 - Nybygg garasje søknad
25.11.2020 8/547 Oppdatert dokumentasjon - Nybygg garasje
11.11.2020 8/547 Svar på spøsmål angående endringer - Nybygg garasje
31.10.2020 8/547 Spørsmål i forbindelse med endringer - Nybygg garasje
15.10.2020 8/547 Utsatt frist og tilbakemelding på mottatt informasjon - Nybygg garasje
15.10.2020 8/547 Tilbakemelding på brev om manglende dokumentasjon - Nybygg garasje
08.10.2020 8/547 Tilsvar til ufullstendig søknad - Nybygg garasje søknad
07.10.2020 8/547 Ettersendt manglende dokumentasjon - Nybygg garasje
07.10.2020 8/547 Avstandserklæring - Nybygg garasje
17.09.2020 8/547 Tilbakemelding på brev mottatt 100920 - Nybygg garasje
15.09.2020 8/547 Svar på brev om ufullstendig søknad - Nybygg garasje søknad
06.08.2020 8/547 Ufullstendig søknad - Nybygg garasje søknad
02.07.2020 8/547 Kvitteringsbrev - Nybygg garasje
01.07.2020 8/547 Søknad om nybygg garasje søknad