SitePlan
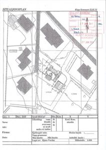
Situasjonsplan som viser bygningens plassering på tomt med målinger og orientering.
1 / 2
NewConstruction
Soeknad
Garasje
Ny garasje på 44,1 m² i Gamlevegen 24C, Kleppe
📍 Gamlevegen 24C , 4351 KLEPPE
Nøkkelinfo
- Sakstype
- Nybygg
- Bygningstype
- Garasje
- Bruksareal
- 44 m²
- Kommune
- Klepp
- Fylke
- Rogaland
- Gnr / Bnr
- 1 / 2163
- Saksnummer
- 26/01011
- Fase
- Søknad
Om byggesaken
Ny frittstående garasje med et bebygd areal på 44,1 m² oppføres på eiendommen Gamlevegen 24C i Kleppe. Garasjen inkluderer grunnmur og lagerbod, og er plassert innenfor byggegrenser uten konflikt med strømførende linjer eller vann- og avløpsledninger. Bygget har tidligere fått dispensasjon for overskridelse av maksimal tillatt grunnflate på 40 m², med en avvik på 4,1 m². Garasjen skal ikke ha innlagt vann, og takvann føres til terreng. Prosjektet omfatter ferdigstillelse av en påbegynt konstruksjon som tidligere ble stoppet.
Produkter og materialer
Dører
Garasjeport
Antall: 1
Garasjeport for biladkomst
Tak
Garasjetak
Antall: 1
Tak for garasje med takvann ført til terreng
Fasade
Garasjekledning
Utvendig kledning for garasje
Grunnarbeid
Grunnmur og fundament
Antall: 1
Grunnmur inkl. lagerbod som er delvis utført
Grunnmur og fundament for garasje og lagerbod
Tømrer
Bygningskonstruksjon
Tømrerarbeid for oppføring av garasje
Hendelser
14.04.2026
26/01011-1 Søknad uten ansvarsrett - Nytt bygg - ikke boligformål under 70 m² - gnr/bnr 1/2163