Facade
Fasadetegning som viser oppriss av en garasje sett fra fire ulike vinkler (front, side og to perspektiver). Tegningen inneholder også håndskrevne notater om fargevalg.
1 / 3
NewConstruction
Soeknad
Garasje
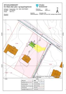
Ny frittstående garasje i Huserveien 124, Vesterøy
📍 Huserveien 124 , 1684 VESTERØY
Nøkkelinfo
- Sakstype
- Nybygg
- Bygningstype
- Garasje
- Bruksareal
- 50 m²
- Kommune
- Hvaler
- Fylke
- Østfold
- Gnr / Bnr
- 37 / 159
- Saksnummer
- 2026/566
- Fase
- Søknad
Om byggesaken
Ny frittstående garasje på 49,7 m² med saltak og trepanel som kledning. Garasjen har ett stort garasjeport og en dør, og er tilpasset eksisterende bolig med samme takvinkel og kledning. Bygget er plassert innenfor byggegrenser på eiendommen og har et enkelt plan uten vinduer. Garasjen er beregnet for biloppstilling og lagring, og har et areal som ikke overstiger 70 m².
Produkter og materialer
Fasade
Trepanel
🧱 tre
Kledning tilpasset eksisterende bolig med samme takvinkel og kledning
Utvendig trepanel som fasadekledning på garasje
Grunnarbeid
Fundamentering og grunnarbeid
Grunnarbeid for garasje med fundamentering
Garasjeport
Garasjeport
Antall: 1
Garasjeport for bilinnkjøring
Tak
Saltak
🧱 tre/standard takmateriale
Saltak med samme takvinkel som eksisterende bolig
Tak med saltak konstruksjon tilpasset bolig
Dører
Ytterdør
Antall: 1
Ytterdør til garasje
Tømrer
Stenderverk og konstruksjon
🧱 tre
Tømrerarbeid for bærende konstruksjon og rammeverk
Plantegning
Garasje 49.7 m²
Etasje 1 49.7 m²
| Rom | Areal | Vinduer | Dører |
|---|---|---|---|
| Garasjerom | 49.7 m² | 0 | 1 |
Fasader
Enebolig
Nordvest
- Materiale
- Tre
- Taktype
- Saltak
- Vinduer
- 2
- Dører
- 0
- Synlige etasjer
- 1
Sørvest
- Materiale
- Tre
- Taktype
- Saltak
- Vinduer
- 1
- Dører
- 0
- Synlige etasjer
- 1
Garasje
Nordøst
- Materiale
- Tre
- Taktype
- Saltak
- Vinduer
- 0
- Dører
- 1
- Synlige etasjer
- 1
Sørøst
- Materiale
- Tre
- Taktype
- Saltak
- Vinduer
- 0
- Dører
- 1
- Synlige etasjer
- 1
Hendelser
24.03.2026
Søknad uten ansvarsrett - garasje - 37/159 - Huserveien 124