Facade
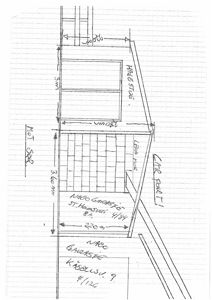
Håndtegnet fasadeopprikk (fra siden) av en bygning med angitte mål og adresse.
1 / 4
NewConstruction
UnderBehandling
Garasje
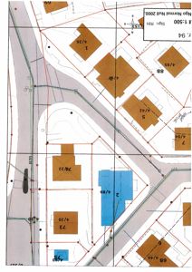
Ny hagestue og carport i Kaasbøls vei 7, Kristiansund
📍 Kaasbøls vei 7 , 6510 KRISTIANSUND N
Nøkkelinfo
- Sakstype
- Nybygg
- Bygningstype
- Garasje
- Bruksareal
- 36 m²
- Kommune
- Kristiansund
- Fylke
- Møre og Romsdal
- Gnr / Bnr
- 4 / 94
- Saksnummer
- 26/02808
- Fase
- Under behandling
Om byggesaken
Ny hagestue på ca. 11 m² med liggende kledning beiset i brun farge, med en mønehøyde på 2,8 meter og takvinkel tilpasset naboens garasjer. Carport på ca. 25 m² bygges inn mot naboeiendommers garasjer, med vegg mot St. Hans vei 8a i Leca-blokker og tak dekket med Dekra i samme farge som hovedhuset. Begge tiltakene plasseres på eiendommen Kaasbøls vei 7, med tilhørende situasjonsplan og tegninger under utarbeidelse. Prosjektet omfatter også nødvendige fundamenter og tilpasninger til eksisterende bebyggelse.
Produkter og materialer
Fasade
Liggende kledning
🧱 tre, beiset brun
Beiset i samme farge som eksisterende hus
Kledning til hagestue
Grunnarbeid
Fundamentering
Fundamenter for hagestue og carport
Grunnarbeid og fundamentering for nybygg
Mur
Leca-blokker
🧱 Leca
Vegger mot St. Hans vei 8a på carport
Vegger i carport mot nabo
Tømrer
Bygging av hagestue og carport
🧱 treverk
Konstruksjon av hagestue og carport i tre
Tømrerarbeid for oppføring av hagestue og carport
Tak
Taktekking
🧱 Dekra takstein
Tak på carport og hagestue med samme farge som hovedhus
Taktekking for carport og hagestue
Fasader
Hovedbygg
Nord
- Materiale
- Tre
- Taktype
- Saltak
- Vinduer
- 4
- Dører
- 1
- Synlige etasjer
- 2
Hendelser
20.04.2026
26/02808-2 Kaasbøls vei 7, foreløpig tilbakemelding på søknad om søknad om hagestue
17.04.2026
26/02808-1 Kaasbøls vei 7, søknad om hagestue