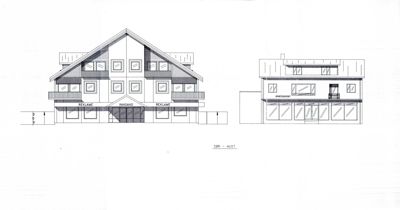
Facade
Tegning som viser front- og sidefasade, samt et snitt (A-A) av en bygning med fire boder.
1 / 72
NewConstruction
Rammetillatelse
Garasje
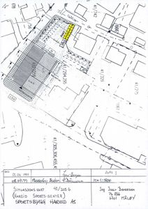
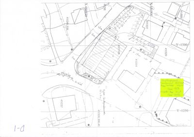
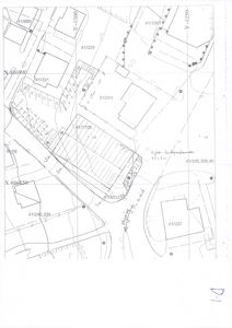
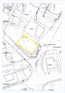
Oppføring av 2 carporter og uteboder på eiendom 41/1109, Hareid
📍 Kjøpmannsgata 31 , 6060 HAREID
Nøkkelinfo
- Sakstype
- Nybygg
- Bygningstype
- Garasje
- Bruksareal
- 53 m²
- Kommune
- Hareid
- Fylke
- Møre og Romsdal
- Gnr / Bnr
- 41 / 1109
- Saksnummer
- 2026/538
- Fase
- Rammetillatelse
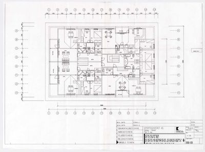
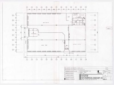
Om byggesaken
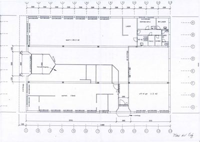
Prosjektet omfatter oppføring av to frittstående carporter over eksisterende parkeringsplasser nummer 18 og 19, med flatt tak og gesimshøyde på 2,1 meter, samt flere uteboder plassert på tomta til Sportsbygg Hareid AS på eiendom 41/1109 i Hareid. Carportene er i tre med flatt tak og fire dører i front. Utebodene har et samlet grunnareal på ca. 23 m² og er plassert i henhold til godkjent utomhusplan, selv om tiltaket overskrider utnyttingsgraden på tomta. Byggetillatelse for utebodene er gitt til tross for overskridelse av utnyttingsgrad, og det foreligger dispensasjoner knyttet til parkeringsplasser og utnyttingsgrad. Prosjektet inngår i et større forretnings- og boligbyggkompleks med omfattende parkeringsbehov og flere klager og dispensasjonsbehandlinger knyttet til dette. Byggetillatelsene er gitt med vilkår om oppfyllelse av tekniske krav, brannsikring, ventilasjon og lydisolering.
Produkter og materialer
Tak
Flatt tak
🧱 Tre
Antall: 2
Flatt tak på carporter og uteboder
Taktekking for carporter og uteboder
Fasade
Trepanel
🧱 Tre
Trepanel på carporter og uteboder
Fasadebekledning i tre for carporter og uteboder
Vinduer
Utebod vinduer
🧱 Tre
Vinduer til uteboder
Grunnarbeid
Parkeringsplass fundament
Antall: 2
Opparbeidede parkeringsplasser 18 og 19 som carportene bygges over
Grunnarbeid for carportene
Mur
Grunnmur
Grunnmur for uteboder
Garasjeport
Carport dører
🧱 Tre
Antall: 4
Carport med 4 dører i front, flatt tak, gesimshøyde 2,1 m
Dører til carportene over parkeringsplasser 18 og 19
Dører
Utebod dører
🧱 Tre
Antall: 6
Dører til uteboder
Fasader
Sportsbygg
Sør - Aust
- Materiale
- Tre
- Taktype
- Saltak
- Vinduer
- 10
- Dører
- 1
- Balkonger
- 3
- Synlige etasjer
- 3
Nord - Vest
- Materiale
- Tre
- Taktype
- Saltak
- Vinduer
- 6
- Dører
- 1
- Balkonger
- 1
- Synlige etasjer
- 2
Nord - Aust
- Materiale
- Tre
- Taktype
- Flatt tak
- Vinduer
- 20
- Dører
- 1
- Balkonger
- 2
- Synlige etasjer
- 2
Nord
- Materiale
- Tre
- Taktype
- Flatt tak
- Vinduer
- 19
- Dører
- 1
- Balkonger
- 2
- Synlige etasjer
- 2
Sør-Vest
- Materiale
- Tre
- Taktype
- Saltak
- Vinduer
- 22
- Dører
- 0
- Balkonger
- 2
- Synlige etasjer
- 2
Sør
- Materiale
- Tre
- Taktype
- Saltak
- Vinduer
- 14
- Dører
- 1
- Balkonger
- 3
- Synlige etasjer
- 3
Sør - Vest
- Taktype
- Flatt tak
- Vinduer
- 20
- Dører
- 0
- Balkonger
- 3
- Synlige etasjer
- 2
Ukjent
- Taktype
- Saltak
- Vinduer
- 0
- Dører
- 0
- Synlige etasjer
- 3
Sportssenter
Ukjent
- Taktype
- Saltak
- Vinduer
- 0
- Dører
- 0
- Synlige etasjer
- 2
Carport
Side
- Materiale
- Tre
- Taktype
- Flatt tak
- Høyde
- 2.1 m
- Vinduer
- 0
- Dører
- 0
- Synlige etasjer
- 1
Front
- Materiale
- Tre
- Taktype
- Flatt tak
- Høyde
- 2.1 m
- Vinduer
- 0
- Dører
- 4
- Synlige etasjer
- 1
Hendelser
21.04.2026
Innsyn i behandling av uteplass for eigedom 41/1109 - utsending av dokument frå arkivet
30.03.2026
Krav om innsyn i behandling av uteplass for eigedom 41/1109
27.03.2026
Krav om innsyn i økonomiske forhold hos barneverntenesta
23.03.2026
Krav om innsyn