Facade
Bildet viser fasadetegninger (Nordvest, Norøst, Sørvest, Sørøst) samt 3D-visualiseringer av en garasje.
1 / 9
NewConstruction
UnderBehandling
Garasje
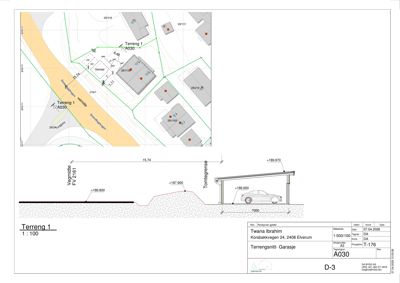
Ny garasje med dispensasjon i Korsbakkvegen 24, Elverum
📍 Korsbakkvegen 24 , 2408 ELVERUM
Nøkkelinfo
- Sakstype
- Nybygg
- Bygningstype
- Garasje
- Bruksareal
- 45 m²
- Kommune
- Elverum
- Fylke
- Innlandet
- Gnr / Bnr
- 28 / 1139
- Saksnummer
- 2026/1828
- Fase
- Under behandling
Om byggesaken
Ny frittstående garasje på 45,3 m² med flatt pulttak i trekledning oppføres på eiendommen Korsbakkvegen 24 i Elverum. Garasjen har to vinduer og tre dører, inkludert garasjeport, og er plassert ca. 15,74 meter fra midtlinjen av fylkesveg 2161 med dispensasjon fra byggegrense. Bygget har en moderat høyde og er tilpasset terrenget og eksisterende bebyggelse på tomten. Garasjen er planlagt med flatt tak og tre som fasademateriale, og har en enkel romløsning med ett garasjerom.
Produkter og materialer
Tak
Flatt tak
Flatt pulttak på garasje
Taktekking for flatt tak på garasje
Dører
Ytterdører og garasjeport
Antall: 3
Inkluderer garasjeport og to dører
Dører til garasje, inkludert garasjeport
Tømrer
Bygging av garasjeskall
Tømrerarbeid for oppføring av garasje i tre
Elektro
Innvendig elektrisk anlegg
Elektrisk installasjon i garasje for belysning og strøm
Grunnarbeid
Fundamentering og grunnmur
Grunnarbeid for garasje med fundament og eventuell grunnmur
Fasade
Trekledning
🧱 Tre
Fasade i tre med flatt tak
Trekledning til yttervegger på garasje
Vinduer
Fasadevindu
Antall: 2
To fasadevindu i garasje
Maling
Utvendig maling
Maling eller behandling av trekledning utvendig
Plantegning
Garasje 45.3 m²
Etasje 1 45.3 m²
| Rom | Areal | Vinduer | Dører |
|---|---|---|---|
| Garasje 100 | 45.3 m² | 2 | 1 |
Fasader
Garasje
Nordvest
- Materiale
- Tre
- Taktype
- Flatt tak
- Vinduer
- 0
- Dører
- 0
- Synlige etasjer
- 1
Nordøst
- Materiale
- Tre
- Taktype
- Flatt tak
- Vinduer
- 0
- Dører
- 2
- Synlige etasjer
- 1
Sørvest
- Materiale
- Tre
- Taktype
- Flatt tak
- Vinduer
- 0
- Dører
- 0
- Synlige etasjer
- 1
Sørøst
- Materiale
- Tre
- Taktype
- Flatt tak
- Vinduer
- 2
- Dører
- 1
- Synlige etasjer
- 1
Hendelser
23.04.2026
Ønske om møte med byggesak
20.04.2026
Tegning - opprinnelig tegning av garasje
16.04.2026
Merknader til nabovarsel
09.04.2026
Mottatt nabovarsel for Korsbakkvegen 24 - gbnr 28/1139
07.04.2026
Gbnr 28/1139 - Korsbakkvegen 24 - søknad om dispensasjon fra byggegrense