NewConstruction UnderBehandling Garasje

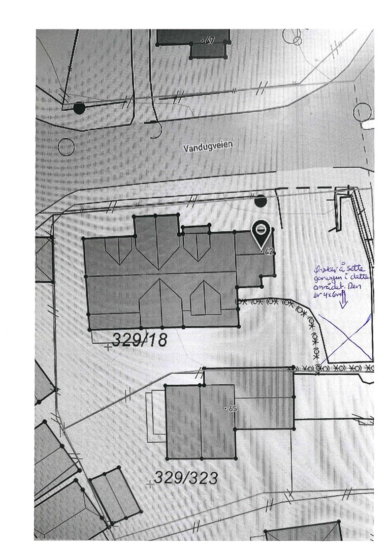
Oppføring av eldre garasje i Vandugveien 42, Mysen

📍 Vandugveien 42 , 1850 MYSEN

Nøkkelinfo

Sakstype
Nybygg
Bygningstype
Garasje
Kommune
Indre Østfold
Fylke
Østfold
Gnr / Bnr
329 / 18
Saksnummer
2025/4002
Fase
Under behandling

Om byggesaken

Ny frittstående eldre garasje skal oppføres på eiendommen Vandugveien 42 i Mysen. Garasjen er planlagt plassert med en avstand på minst 15 meter fra fylkesvei 129, og vil fungere som støyskjerming for uteoppholdsarealet på tomten. Bygget krever dispensasjon fra regulert byggegrense og grad av utnytting i kommuneplanen. Garasjen skal ikke brukes til andre formål enn parkering og lagring, og plasseringen er valgt for å ivareta trafikksikkerhet og hensyn til veiens drift og vedlikehold. Arbeidet må påbegynnes innen tre år etter dispensasjon er gitt.

Produkter og materialer

Betong Fundament og plate

🧱 Betong

Antall: 1

Fundament og støpt plate for garasje, dimensjonert for byggets størrelse og bruk

Betongfundament og plate for garasjens bærende konstruksjon

Tak Taktekking

🧱 Takstein eller metallplater

Antall: 1

Taktekking tilpasset eldre garasje, type ikke spesifisert

Taktekking for garasje med saltak

Tømrer Garasjeskall

🧱 Tre

Antall: 1

Trekonstruksjon for garasje med saltak, iht. vanlig byggeskikk for eldre garasjer

Tømrerarbeid for oppføring av garasjens vegger, takstoler og tak

Dører Garasjeport

Antall: 1

Garasjeport for innkjøring, type ikke spesifisert

Vinduer Garasjevinduer

Eventuelle vinduer i garasje, ikke spesifisert i dokumentene

Grunnarbeid Tomtearbeid for garasje

Antall: 1

Planering og klargjøring av tomt for garasjeplassering i henhold til situasjonsplan

Grunnarbeid for oppføring av frittstående garasje på eiendom med reguleringsmessige begrensninger

Maling Utvendig maling

Antall: 1

Maling eller annen overflatebehandling av garasjens yttervegger

Hendelser

20.04.2026 Gbnr 329/18 - Vandugveien 42 - Dispensasjon - Forhåndsuttalelse til garasjeplassering
11.09.2025 Gbnr 329/18 - Vandugveien 42 - Bes sende inn ny komplett søknad hvis ønskelig
16.06.2025 Gbnr 329/18 - Vandugveien 42 - Dispensasjon plassering av eldre garasje - Tilbakemelding om mangler
10.04.2025 Gbnr 329/18 - Vandugveien 42 - Søknad om dispensasjon for oppføring av eldre garasje