Other UnderBehandling Garasje

Opparbeidelse av parkeringslomme med støttemur på Vettrekollen 24

📍 Vettrekollen 24 , 1392 VETTRE

Nøkkelinfo

Sakstype
Other
Bygningstype
Garasje
Bruksareal
20 m²
Kommune
Asker
Fylke
Akershus
Gnr / Bnr
58 / 216
Saksnummer
24/2546
Fase
Under behandling

Om byggesaken

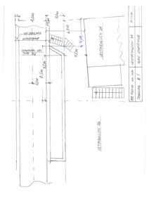
Ny parkeringslomme på ca. 20 m² (2,7 m bredde og 7,5 m lengde) opparbeides delvis på kommunal veiskulder og delvis på egen tomt ved Vettrekollen 24. Tiltaket inkluderer fjerning av topplag i skråning, pigging av fjell for forskaling, og støping av fundament for støttemur av granittblokker (Larvikitt, ca. 40x40 cm). Støttemuren vil ha en høyde på ca. 1,4 meter og plasseres parallelt med veien på nedsiden. Det etableres også et gjerde på ca. 0,8 meter over muren. Parkeringslommen skal møte tilsvarende tiltak på naboeiendommen Vettrekollen 26, med fysisk skille ved eiendomsgrense. Tiltaket skal bedre fremkommelighet, trafikksikkerhet og snørydding langs Vettrekollen, og er avhengig av flere dispensasjoner fra kommuneplan og reguleringsplan.

Produkter og materialer

Mur Støttemur av granittblokker

🧱 Larvikitt granittblokker 40x40 cm

Antall: 80

Støttemur ca. 1,4 meter høy, fundamentert på støpt såle

Støttemur langs parkeringslommen på nedsiden av veien for å holde fylling og terreng

Betong Fundament/såle for støttemur

🧱 Betong

Støpt fundament/såle for granittblokker

Fundament for støttemur langs parkeringslommen

Fasade Gjerde på støttemur

Gjerde ca. 0,8 meter høyt målt fra topp støttemur/vei

Sikkerhetsgjerde på toppen av støttemur langs parkeringslommen

Annet Oppmerking og fysisk skille

Fysisk skille (kant eller lavt rekkverk) ved eiendomsgrense mellom Vettrekollen 24 og 26

Skille mellom naboeiendommers parkeringslommer

Tømrer Entreprenørarbeid

Felles entreprenør for opparbeidelse av parkeringslommer for flere eiendommer

Utførelse av grunnarbeid, støttemur og opparbeidelse av parkeringslomme

Grunnarbeid Fjerning av topplag og pigging av fjell

Fjerning av topplag i skråning, pigging av fjell for forskaling

Grunnarbeid for opparbeidelse av parkeringslomme og fundament for støttemur

Plantegning

Vettrekollen 108.0 m²

Etasje 0 108.0 m²

Rom Areal Vinduer Dører
Vettrekollen 001 108.0 m² 0 0

Hendelser

10.04.2026 58/216 Vettrekollen 24 - Innsigelser søknad parkeringslomme
25.03.2026 58/216 Vettrekollen 24 - Kommunikasjon og utgående epost om dispensasjonsforhold samt avklaringer.
16.03.2026 58/216 Vettrekollen 24 og 26 - Søknad om dispensasjon fra kommuneplanen, reguleringsplanen for Vettrekollen
16.03.2026 58/216 Vettrekollen 24 - Utgående e-post om mangelfull dispensasjon
09.02.2026 58/216 Vettrekollen 24 - Oppdatert detaljtegning parkering Vettrekollen 24 og 26
10.10.2025 58/216 Vettrekollen 24 - Ber om status i saken
14.07.2025 58/216 Vettrekollen 24 - Kommunen mener at det bør sendes en felles søknad om reguleringsendring- søknad med dispensasjon for opparbeidelse av oppstillingsplass for bil
30.05.2025 58/216 Vettrekollen 24 - Kommentarer til innsigelser
28.04.2025 58/216 Vettrekollen 24 - Oppdatert søknad om parkeringsareal
28.01.2025 58/216 Vettrekollen 24 - Utsatt frist innvilges til 15.03.2025- søknad med dispensasjon for opparbeidelse av oppstillingsplass for bil
09.12.2024 58/216 Vettrekollen 24 - Svar på mangelbrev - Ber om utsettelse av frist for komplettering av søknad
26.11.2024 58/216 Vettrekollen 24 - Ufullstendig søknad - opparbeidelse av oppstillingsplass for bil
18.11.2024 58/216 Vettrekollen 24 - Dispensasjon for opparbeidelse av oppstillingsplass for bil, kommentar fra samferdsel
04.11.2024 58/216 Vettrekollen 24 - Bekreftelse på at vi har mottatt din søknad
30.10.2024 58/216 Vettrekollen 24 - Purring på svar
12.07.2024 58/216 Vettrekollen 24 - Bekreftelse på at vi har mottatt din søknad
08.07.2024 58/216 Vettrekollen 24 - Søknad om dispensasjon for opparbeidelse av oppstillingsplass for bil