SitePlan
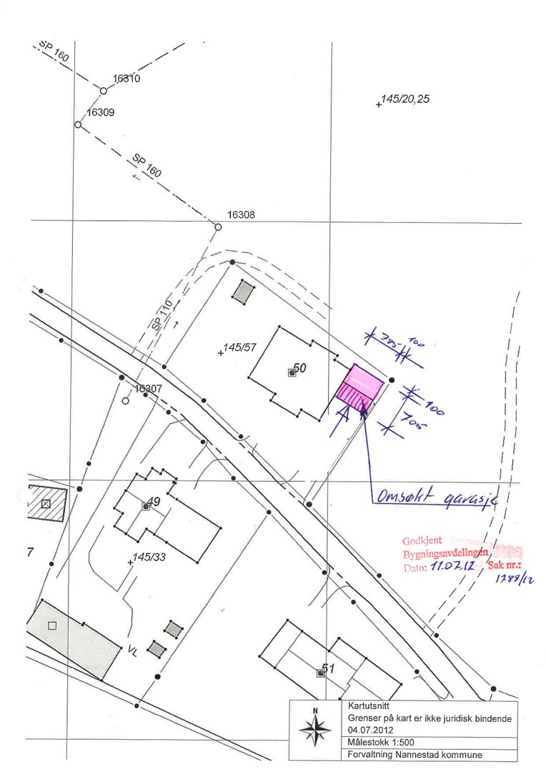
Kartutsnitt som viser tomt, naboeiendommer, veier og en markert garasje med mål.
1 / 1
Extension
Ferdigattest
Garasje
Tilbygg garasje på eksisterende bolig, Kopperudmovegen 50
📍 Kopperudmovegen 50 , 2032 MAURA
Nøkkelinfo
- Sakstype
- Tilbygg
- Bygningstype
- Garasje
- Bruksareal
- 51 m²
- Kommune
- Nannestad
- Fylke
- Akershus
- Gnr / Bnr
- 145 / 57
- Saksnummer
- 2026/1843
- Fase
- Ferdigattest
Om byggesaken
Ny tilbyggsgarasje på 51 m² oppføres inntil eksisterende bolig på eiendommen i Kopperudmovegen 50. Garasjen skal ha takkonstruksjon dimensjonert for snølast på 4,5 kN/m² og skille mellom garasje og bolig utføres med EI60 bygningsdel. Bygget erstatter et tidligere uthus som rives. Garasjen er planlagt som et frittstående tilbygg med nødvendige bygningsmessige og tekniske løsninger for å sikre funksjonalitet og sikkerhet.
Produkter og materialer
Fasade
Skillevegg EI60
Antall: 1
Skille mellom garasje og bolig utføres med bygningsdel EI60
Brannskille mellom garasje og bolig for sikkerhet
Grunnarbeid
Fundamentering og grunnmur
Grunnarbeid for ny garasje inkl. fundamentering og grunnmur
Elektro
Belysning og strømuttak
Elektrisk installasjon for belysning og strøm i garasje
Tak
Takkonstruksjon
Dimensjonert for snølast på 4,5 kN/m²
Takkonstruksjon for garasje tilpasset lokale snøforhold
Tømrer
Bygningskonstruksjon
Tømrerarbeid for oppføring av garasje
Dører
Garasjeport
Antall: 1
Garasjeport for biladkomst
Hendelser
16.04.2026
Gnr 145/57 - søknad om ferdigattest