Extension Ferdigattest Garasje

Ny utebod og hagestue med terrasse på Strengsdalveien 110

📍 Strengsdalveien 110 , 3135 TORØD

Nøkkelinfo

Sakstype
Tilbygg
Bygningstype
Garasje
Bruksareal
22 m²
Kommune
Færder
Fylke
Vestfold
Gnr / Bnr
77 / 110
Saksnummer
2025/3977
Fase
Ferdigattest

Om byggesaken

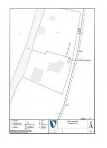
Ny frittliggende utebod på 8,7 m² BYA (7 m² BRA) oppført på eksisterende betongsåle, med gesimshøyde 2,07 m og mønehøyde 2,57 m. Ny hagestue på 13 m² BYA (11 m² BRA) med saltak, gesimshøyde 2,45 m og mønehøyde 3,2 m, plassert på en lav terrasse som er under 0,5 m over terreng og derfor ikke regnes med i BYA. Terrassen er på ca. 49 m² og ligger i tilknytning til eneboligen. Tiltakene er plassert i et opparbeidet hageareal nær vassdrag og hovedvannledning, og det er gitt dispensasjon fra byggegrense mot vassdrag og hensynssone for hovedvannledning. Byggene har nøytral utforming og farger som harmonerer med eksisterende bebyggelse på eiendommen.

Produkter og materialer

Dører Ytterdør i glass

Antall: 1

Dør mellom hagestue og husvegg for å hindre gjennomtrekk

Ytterdør montert i hagestue

Tak Takstoler

🧱 Tre

Takstoler beregnet og levert i henhold til tegninger

Takstoler for hagestue og utebod

Fasade Yttervegger og tak

🧱 Bindingsverk, shingel taktekking

Utebod og hagestue med saltak, nøytral utforming og farger som harmonerer med eksisterende enebolig

Bygningskonstruksjon for utebod og hagestue med tak og fasade i henhold til godkjente tegninger

Maling Utvendig maling

Utebod og hagestue malt i farger som harmonerer med eksisterende bebyggelse

Overflatebehandling utvendig

Terrasse Lav terrasse under 0,5 m over terreng

🧱 Tre, pukk, grus

Terrasse på ca. 49 m², lavere enn 0,5 m over terreng, ikke medregnet i BYA

Terrasse i tilknytning til hagestue

Grunnarbeid Betongplate og fundamentering

🧱 Betongsåle, betongheller, pukk, grus, blå plater, leca

Utebod oppført på eksisterende betongsåle med tillegg av betongheller, pukk og grus under, samt 50 mm blå plate og leca under terrassen

Fundamentering og grunnarbeid for utebod og terrasse

Vinduer Tofløyet sidesving vinduer

🧱 Hvit ramme, 2-lags standard glass

Antall: 3

Iglo Classic, 1000x1000 mm, hvit, uten sprosser

Vinduer til utebod og hagestue

Plantegning

Lagerbod 8.6 m²

Etasje 1 8.6 m²

Rom Areal Vinduer Dører
Lagerbod 101 8.6 m² 0 1

Fasader

Hovedbygg

Vest
Taktype
Saltak
Vinduer
1
Dører
0
Synlige etasjer
1
Nord
Taktype
Flatt tak
Vinduer
1
Dører
0
Synlige etasjer
1
Sør
Taktype
Flatt tak
Vinduer
1
Dører
0
Synlige etasjer
1
Øst
Taktype
Saltak
Vinduer
1
Dører
0
Synlige etasjer
1

Hendelser

20.04.2026 Gbnr 77/110 - Strengsdalveien 110 - Bod og hagestue - Ferdigattest godkjent
15.04.2026 Gbnr 77/110 - Strengsdalveien 110 - Bod og hagestue - Vedtak godkjenning
10.04.2026 Gbnr 77/110 - Strengsdalveien 110 - Bod og hagestue - Tilbakemelding vedrørende uttalelse
19.03.2026 Gbnr 77/110 - Strengsdalveien 110 - Bod og hagestue - Status på søknad
16.03.2026 Gbnr 77/110 - Strengsdalveien 110 - Bod og hagestue - Ekstern høring
10.03.2026 Gbnr 77/110 - Strengsdalveien 110 - Bod og hagestue - Status på søknad
02.03.2026 Gbnr 77/110 - Strengsdalveien 110 - Bod og hagestue - Observasjoner vedrørende bekk
05.01.2026 Gbnr 77/110 - Strengsdalveien 110 - Bod og hagestue - Supplerende dokumentasjon
11.12.2025 Gbnr 77/110 - Strengsdalveien 110 - Bod og hagestue - Tilstandsrapport
11.12.2025 Gbnr 77/110 - Strengsdalveien 110 - Bod og hagestue - Søknad om dispensasjon og oversiktstegninger
11.12.2025 Gbnr 77/110 - Strengsdalveien 110 - Bod og hagestue - Nabovarsel og tegninger
10.12.2025 Gbnr 77/110 - Strengsdalveien 110 - Bod og hagestue - Mangelbrev
26.11.2025 Gbnr 77/110 - Strengsdalveien 110 - Bod og hagestue - Svar på henvendelse
21.11.2025 Gbnr 77/110 - Strengsdalveien 110 - Bod og hagestue - Etterspør svar
02.06.2025 Gbnr 77/110 - Strengsdalveien 110 - Boder - Dokumentasjon
02.06.2025 Gbnr 77/110 - Strengsdalveien 110 - Boder - Dokumentasjon og søknad om dispensasjon
12.05.2025 Gbnr 77/110 - Strengsdalveien 110 - Boder - Svar vedrørende oppføring av boder
05.05.2025 Gbnr 77/110 - Strengsdalveien 110 - Boder - Spørsmål vedrørende nabovarsel
30.04.2025 Gbnr 77/110 - Strengsdalveien 110 - Boder - Tilbakemelding om søknadsplikt
24.04.2025 Gbnr 77/110 - Strengsdalveien 110 - Boder - Melding om tiltak unntatt søknadsplikt