NewConstruction Soeknad Naeringsbygg

Nybygg kontor- og lagerbygg i Hornelandsvegen 200, Stord

📍 Hornelandsvegen 200 , 5412 STORD

Nøkkelinfo

Sakstype
Nybygg
Bygningstype
Naeringsbygg
Bruksareal
1,627 m²
Kommune
Stord
Fylke
Vestland
Gnr / Bnr
46 / 124
Saksnummer
2026/10214
Fase
Søknad

Om byggesaken

Ny kontor- og lagerbygning på totalt 1627 m² fordelt på to etasjer oppføres på eiendommen Hornelandsvegen 200 i Stord. Bygget har et bebygd areal (BYA) på 668 m² og inneholder kontorarealer, lager, tekniske rom, kantine, treningsrom, møterom, toaletter, garderober og heis. Bygget har stålfasader, med svart farge på vest- og sørfasade, og er utstyrt med garasjeport på vestfasaden. Taket er utstyrt med solcellepaneler. Utomhusarealet inkluderer 25 parkeringsplasser, hvorav 6 er ladeplasser for el-bil, 3 HC-plasser, støyskjerm på 2,4 m høyde, gjerde og intern veg. Bygget knyttes til offentlig vann- og avløpsnett med privat VA-anlegg, og overvann håndteres lokalt. Det er planlagt støyskjerm mot naboer for å redusere støy og ivareta naboenes interesser. Bygget har en mønehøyde på 8,4 meter og oppfyller krav til utnyttingsgrad og reguleringsplan for industri/forretning.

Produkter og materialer

Heis Personheis

Antall: 1

Heis med BRA 2,3 m² for universell utforming

Heis for tilgjengelighet mellom etasjer

Maling Innvendige overflater

Innvendige vegger og tak males i henhold til standard for næringsbygg

Innvendige overflater ferdigbehandles

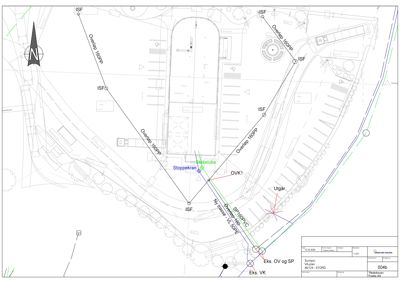
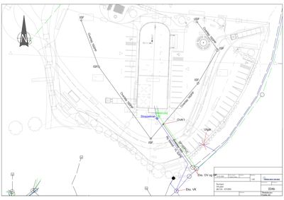
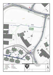
VVS Privat VA-anlegg

Privat vann- og avløpsanlegg tilknyttet offentlig nett, overvann håndteres lokalt med infiltrasjonskummer og regnbed

VA-anlegg for vannforsyning, avløp og overvannshåndtering

Fasade Stålfasade

🧱 Stål, svart farge på vest og sørfasade

Fasade Øst med 8 vinduer, Fasade Vest med 12 vinduer og 3 dører, Fasade Sør med 1 dør, Fasade Nord uten vinduer

Stålfasader med vinduer og dører i ulike fasader, inkludert garasjeport på vestfasade

Dører Ytterdører og garasjeport

Antall: 6

Dører fordelt på fasader: 1 øst, 3 vest (inkl. garasjeport), 1 sør, 1 nord

Ytterdører og garasjeport for adkomst og lager

Tømrer Innvendige vegger og dører

Innvendige kontorvegger, dører til rom som kontor, møterom, toaletter, garderober, tekniske rom

Innvendige konstruksjoner og rominndeling

Utomhus Beplantning og uteareal

Ny beplantning, gressarealer, belegningsstein, fontene og gatelys i uteområdet

Opparbeidelse av uteareal med beplantning og belysning

Grunnarbeid Fundamentering på fjell eller komprimerte lag

Fundamentering direkte på fjell eller komprimerte, velgraderte forsterkningslag

Grunnarbeid og fundamentering for bygg på trygg byggegrunn

Vinduer Fasadevindu

Antall: 23

Vinduer fordelt på fasader: 8 øst, 12 vest, 1 sør, 1 nord (totalt 23)

Fasadevinduer i kontor- og lagerbygget

Rekkverk Støyskjerm og gjerde

Støyskjerm 2,4 m høyde og gjerde rundt uteområdet, inkludert dispensasjon for plassering nær nabogrense

Støyskjerm og gjerde for å skjerme naboer og avgrense eiendom

Ventilasjon Ventilasjonssystem

Ventilasjon planlagt iht. TEK17 og tekniske krav

Ventilasjon for kontor- og lagerbygg

Gulv Gulvbelegg i kontor og lager

Gulvbelegg tilpasset kontor og lagerfunksjon

Gulvbelegg i ulike rom

Bad Sanitærutstyr og fliser

Sanitærutstyr i toaletter og bad, fliser på våtrom

Bad og toalettfasiliteter med nødvendig utstyr

Elektro Ladeplasser for el-bil

Antall: 6

6 ladeplasser for el-bil i parkeringsområdet

Elbil-ladestasjoner for ansatte og besøkende

Tak Solcellepanel på tak

Solcellepanel installert på taket

Tak med solcellepanel for energiproduksjon

Parkeringsplass Asfaltert parkeringsområde

🧱 Asfalt og belegningsstein

Antall: 25

25 parkeringsplasser inkl. 3 HC-plasser, asfaltert og opparbeidet uteområde

Parkeringsplass for ansatte og besøkende med HC-tilrettelegging

Plantegning

Hovedbygg 1,627.0 m²

Etasje 1 627.0 m²

Rom Areal Vinduer Dører
Teknisk 001 9.0 m² 0 1
Lager 002 227.0 m² 0 0
Kontor 003 19.3 m² 0 1
Kontor 004 10.3 m² 0 1
Bad 005 5.9 m² 0 1
Teknisk 006 12.7 m² 0 1
Kontor 007 11.7 m² 0 1
Kontor 008 8.3 m² 0 1
Kontor 009 10.5 m² 0 1
Kontor 010 10.5 m² 0 1
Korridor 011 36.1 m² 0 0
Dusj 012 4.0 m² 0 1
Garderobe 013 5.7 m² 0 1
Treningsrom 014 27.9 m² 0 1
UU-Toalett 015 7.2 m² 0 1
Toalett 016 2.5 m² 0 1
Toalett 017 2.5 m² 0 1
Forrom 018 5.4 m² 0 1
Battetkott/Vaskerom 019 8.7 m² 0 1
Resepsjon 020 12.5 m² 0 1
Heis 021 2.3 m² 0 1
Arkiv 022 5.5 m² 0 1
Kantine 023 61.0 m² 1 1
Vestibylje 024 64.5 m² 1 1

Etasje 2 1,000.0 m²

Rom Areal Vinduer Dører
Kontor 201 27.9 m² 1 1
Kontor 202 11.3 m² 1 1
Kontor 203 11.3 m² 1 1
Kontor 204 8.2 m² 1 1
Kontor 205 8.0 m² 1 1
Kontor 206 9.9 m² 1 1
Kontrollrom 207 119.1 m² 0 1
Møterom 208 31.9 m² 1 1
Bettelott 209 5.4 m² 0 1
Mats/Arkiv 210 5.0 m² 0 1
Forrom 211 3.5 m² 0 1
UU-Toalett 212 6.1 m² 0 1
Toalett 213 2.0 m² 0 1
Vestibyle 214 34.7 m² 1 1
Stillerom 215 2.5 m² 0 1
Korridor 216 34.2 m² 0 2
Korridor 217 34.2 m² 0 0

Fasader

Hovedbygg

Øst
Materiale
Stål
Vinduer
8
Dører
1
Synlige etasjer
2
Nord
Materiale
Stål
Vinduer
0
Dører
0
Synlige etasjer
2
Vest
Materiale
Stål
Vinduer
12
Dører
3
Synlige etasjer
2
Sør
Materiale
Stål
Vinduer
0
Dører
1
Synlige etasjer
2

Hendelser

13.04.2026 VA plan
23.03.2026 Revidert VA plan
22.03.2026 Førespurnad om uttale - 46/124 - Nybygg kontor og lagerbygg, Hornelandsvegen
17.03.2026 Stadfesting av motteken søknad - 46/124 - Nybygg kontor og lagerbygg, Hornelandsvegen
16.03.2026 Søknad om rammeløyve - 46/124, Hornelandsvegen 200
12.03.2026 Brev vedrørande prinsippgodkjenning av VA-plan - 46/124