Extension UnderBehandling Naeringsbygg

Tilbygg og driftsbygninger på eiendom Skogshamnveien 16/8, Dyrøy

📍 Skogshamnveien 16 , 9311 BRØSTADBOTN

Nøkkelinfo

Sakstype
Tilbygg
Bygningstype
Naeringsbygg
Bruksareal
137 m²
Kommune
Dyrøy
Fylke
Troms - Romsa - Tromssa
Gnr / Bnr
35 / 19
Saksnummer
2026/263
Fase
Under behandling

Om byggesaken

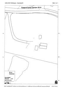
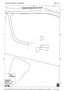
Prosjektet omfatter flere bygninger på eiendommen Skogshamnveien 16/8 i Dyrøy, inkludert en garasje/slakteri på 51 m², grillbu på 11 m², vedbod på 11 m², tilbygg/hundestall til garasje på 35 m², ATV-garasje på 18 m² og drivhus på 11 m². Disse bygningene er i hovedsak driftsbygninger og tilbygg til eksisterende fritidsboligbebyggelse. Totalt omsøkt bebygd areal er 137 m², som sammen med tidligere godkjent bebyggelse gir en samlet bebyggelse på 386 m² BRA. Byggene har ulike funksjoner som slakteri, hundestall og lagringsbygg, og er plassert på en landbrukseiendom som er regulert til fritidsformål. Byggene har saltak og er oppført i tre, med vinduer og dører tilpasset formålet. Det foreligger også søknad om dispensasjon for overskridelse av utnyttelsesgrad i kommuneplanen.

Produkter og materialer

Dører Ytterdører

Antall: 4

Dører i grillbu (1), tilbygg/hundestall (1), øvrige bygninger iht. funksjon

Ytterdører for adkomst til bygningene

Elektro Elektrisk installasjon

Elektrisk installasjon antatt nødvendig for driftsbygninger

Elektrisk anlegg for belysning og drift

Fasade Trepanel

🧱 Tre

Byggene har trepanel som fasademateriale

Fasadebekledning i tre for tilbygg og driftsbygninger

Vinduer Vanlige vinduer

Antall: 10

Vinduer i grillbu (2), tilbygg/hundestall (4), drivhus og vedbod antatt med vinduer

Vinduer til naturlig lys og ventilasjon i bygningene

Tømrer Bindingsverk

🧱 Tre

Bindingsverk 98 mm i anneks og tilbygg

Tømrerarbeid med bindingsverk i tre

Tak Saltak

Saltak på bygningene, takvinkel 36° på garasje

Taktekking med saltak på alle bygninger

Grunnarbeid Fundamentering og grunnarbeid

Krav til dokumentert sikker byggegrunn pga. kvikkleireskredfare

Grunnarbeid og fundamentering tilpasset skredutsatt område

VVS Vann og avløp

Privat vannforsyning, avløp til privat anlegg, evt. vannklosett i driftsbygninger

Vann- og avløpsinstallasjoner til bygningene

Plantegning

Garasje 54.0 m²

Etasje 1 54.0 m²

Rom Areal Vinduer Dører
Garasjerom 54.0 m² 0 0
Garasjerom 54.0 m² 0 0

Grillbu 12.0 m²

Etasje 1 12.0 m²

Rom Areal Vinduer Dører
Grillbu 101 12.0 m² 2 1
Grillrom 12.0 m² 2 1

Tilbygg / Hundestall 37.0 m²

Etasje 1 37.0 m²

Rom Areal Vinduer Dører
Inne 21.2 m² 2 1
Ute 15.8 m² 2 0
Inne 21.2 m² 2 1
Ute 15.8 m² 2 0

Fasader

Enebolig

Nord
Taktype
Saltak
Høyde
4.9 m
Mønehøyde
7.6 m
Vinduer
2
Dører
0
Synlige etasjer
1
Vest
Materiale
Tre
Taktype
Saltak
Høyde
4.9 m
Mønehøyde
7.6 m
Vinduer
2
Dører
0
Synlige etasjer
1
Sør
Materiale
Tre
Taktype
Saltak
Høyde
4.9 m
Mønehøyde
7.6 m
Vinduer
2
Dører
1
Synlige etasjer
1
Øst
Materiale
Tre
Taktype
Saltak
Høyde
4.9 m
Mønehøyde
7.6 m
Vinduer
3
Dører
1
Synlige etasjer
1

Hendelser

14.04.2026 Uttalelse - dispensasjon - Dyrøy 35/19 - bygging av flere typer bygninger
10.04.2026 Fylkeskommunens uttalelse til høring - søknad om dispensasjon - Høring vedrørende bygging av flere typer bygninger på eiendommen - gbnr. 35/19 - Dyrøy kommune
13.03.2026 35/19 - Høring vedrørende bygging av flere typer bygninger på eiendommen
17.02.2026 35/19 Søknad om tillatelse til tiltak uten ansvarsrett - tilbygg, driftsbygning
24.01.2026 35/19 - Klarlegging av bygninger på eiendommen