NewConstruction UnderBehandling Other

Ny landbrukshall på Rakeievegen 112, Nes

📍 Øvre Hunstad, Rakeievegen 112 , 2150 ÅRNES

Nøkkelinfo

Sakstype
Nybygg
Bygningstype
Other
Bruksareal
480 m²
Kommune
Nes
Fylke
Akershus
Gnr / Bnr
162 / 5
Saksnummer
2024/2660
Fase
Under behandling

Om byggesaken

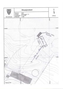
Ny landbrukshall på 480 m² oppføres på landbrukseiendommen Rakeievegen 112 i Nes kommune. Bygget er en lagerhall for lagring av redskap og utstyr knyttet til gårdsdriften, med dimensjoner 15 x 32 meter. Hallen bygges på et asfaltert dekke med betongfotplate og saltak. Det er planlagt manøvreringsareal rundt bygget, og en eldre hall i området skal rives og arealet tilbakeføres til dyrka mark. Bygningen skal kun benyttes til jordbruksproduksjon, og det stilles krav om at ikke mer enn ca. 1500 m² fulldyrka jord omdisponeres, inkludert bygning og tilhørende opparbeidede arealer. Matjordlaget skal tas vare på og nyttiggjøres på annet jordbruksareal på eiendommen. Bygget har godkjent plassering i LNF-område og tilfredsstiller krav til estetikk og funksjon i forhold til omgivelsene.

Produkter og materialer

Stål Stålkonstruksjon for hall

🧱 Stål

OB.Wiik hall med stålkonstruksjon montert ferdig

Stålkonstruksjon for lagerhallens bærende ramme

VVS Vann og avløp

Tilknytning til offentlig vann og avløp

VVS-installasjoner for vann og avløp til hallen

Isolasjon Isolasjon i vegger og tak

Isolasjon for å oppfylle tekniske krav i henhold til TEK17

Tømrer Innvendige arbeider

Innvendige tømrerarbeider for tilpasning av lagerhall

Avfallshåndtering Sluttrapport og kvitteringer

Dokumentasjon på avfallshåndtering med sorteringsgrad minimum 70 %

Dokumentasjon for avfallshåndtering i byggeprosjektet

Elektro Elektrisk anlegg

Elektrisk installasjon for belysning og strøm i hallen

Mur Ringmur

🧱 Betong

Ringmur under hallens fotplater

Ringmur for fundamentering av hall

Tak Saltak

Saltak på hallen

Tak med saltakform

Grunnarbeid Planering og asfaltering

🧱 Asfalt

Opparbeidet planert plass med asfaltert dekke under hallen og manøvreringsareal rundt

Grunnarbeid med planering og asfaltering for hall og tilhørende utearealer

Betong Fotplate

🧱 Betong

Betongfotplate med minimum 250 mm tykkelse under fotplater, dimensjoner ca. 15 x 32 m

Betongfundament og fotplate for hallens bærende konstruksjon

Fasade Port og gangdør

Antall: 2

Port 5000x5000 mm, gangdør 1000x2100 mm

Stor port for maskininnkjøring og gangdør for personinngang

Plantegning

Fotplate 480.0 m²

Etasje 0 480.0 m²

Rom Areal Vinduer Dører
Fotplate 001 480.0 m² 0 0

Fasader

Garasje

Vest
Taktype
Saltak
Vinduer
0
Dører
1
Synlige etasjer
1
Øst
Taktype
Saltak
Vinduer
0
Dører
0
Synlige etasjer
1

Hendelser

20.04.2026 Avventer supplering - Gbnr 162/5 - Rakeievegen 112 - Nybygg driftsbygning - Landbrukshall - Lagring
14.04.2026 Ytterligere supplering - Gbnr 162/5 - Rakeievegen 112 - Nybygg driftsbygning - Landbrukshall - Lagring
10.03.2026 Behov for ytterligere supplering - Svar på manglende dokumentasjon - Gbnr 162/5 - Rakeievegen 112 - Nybygg driftsbygning - Landbrukshall - Lagring
06.03.2026 Svar på manglende dokumentasjon - Gbnr 162/5 - Rakeievegen 112 - Nybygg driftsbygning - Landbrukshall - Lagring
26.02.2026 Purring på manglende dokumentasjon - Gbnr 162/5 - Rakeievegen 112 - Nybygg driftsbygning - Landbrukshall - Lagring
13.05.2025 Tilbakemelding om mangler - Søknad om ferdigattest - Gbnr 162/5 - Rakeievegen 112 - Nybygg driftsbygning - Landbrukshall - Lagring
07.05.2025 Søknad om ferdigattest - Gbnr 162/5 - Rakeievegen 112 - Nybygg driftsbygning - Landbrukshall - Lagring
29.08.2024 Tillatelse til tiltak - Gbnr 162/5 - Rakeievegen 112 - Nybygg driftsbygning - Landbrukshall - Lagring
12.08.2024 Angående saksgang
02.08.2024 Tilbakemelding om mangler - Gbnr 162/5 - Rakeievegen 112 - Nybygg driftsbygning - Landbrukshall - Lagring
28.06.2024 Tilbakemelding om mangler - Gbnr 162/5 - Rakeievegen 112 - Nybygg driftsbygning - Landbrukshall - Lagring
25.06.2024 Søknad om tillatelse til tiltak - Gbnr 162/5 - Rakeievegen 112 - Driftsbygning - Lagerhall