NewConstruction UnderBehandling Other

Utlegging av vannledning og ventilhus i sjø ved Moldefjorden og Berstad, Stad

📍 Seljevegen 3097 , 6740 SELJE

Nøkkelinfo

Sakstype
Nybygg
Bygningstype
Other
Bruksareal
60 m²
Kommune
Stad
Fylke
Vestland
Gnr / Bnr
266 / 2
Saksnummer
2025/3211
Fase
Under behandling

Om byggesaken

Prosjektet omfatter utlegging av en ca. 9,8 km lang vannledning i sjø fra Pelagia på Moldestad til Åheim via Moldefjorden og Kjødspollen, inkludert flere landtak på ulike eiendommer. Vannledningen legges på sjøbunnen med belastningslodd og belastningskappe for beskyttelse mot fiskeredskaper og ras i løsmasser. Det oppføres ventilhus ved Pelagia og Berstad, hvor ventilhuset ved Pelagia er et frittstående bygg på ca. 60 m² med betongfundament, isolert tretak og rødmalt kledning, mens ventilhuset ved Berstad inngår i konsesjonssøknad etter vannressursloven. Landtakene og ventilhusene krever dispensasjon fra byggegrenser, arealformål og plankrav. Terreng og vegetasjon tilbakeføres etter anleggsarbeidene, og det er lagt vekt på å unngå skade på naturmangfold, spesielt ålegresseng. Geotekniske vurderinger viser stabile grunnforhold med morenemasser og sand, og tiltaket er prosjektert med hensyn til naturfare som flom, skred og stormflo. Anleggsvei til ventilhus på Berstad etableres med dispensasjon for hogst av kantvegetasjon. Tiltaket er samfunnskritisk for vannforsyning til Stad og Vanylven kommuner og til arbeidene med Stad skipstunnel.

Produkter og materialer

VVS Belastningslodd og belastningskappe

Brukes for å sikre vannledning mot oppdrift, fiskeredskaper og ras i løsmasser

Beskyttelse av vannledning på sjøbunnen

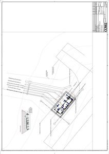
Bygg Ventilhus Berstad

Antall: 1

Ventilhus inngår i konsesjonssøknad etter vannressursloven, med tilkomstvei fra eksisterende vei, plassering i naturområde med dispensasjon

Ventilhus med tilkomstvei ved Berstad som del av vannforsyningsanlegg

VVS Vannledning i sjø

🧱 PE 100 rør, dimensjoner Ø110 til Ø225 mm, PN10/PN12.5, SDR 11/13.6

Vannledning legges på sjøbunnen med belastningslodd og belastningskappe, senkes og forankres, beskyttet mot fiskeredskaper og ras i løsmasser

Lang sjøledning for vannforsyning med landtak på flere eiendommer, inkludert ilandføring i Åheimselva

Grunnarbeid Graving og tilbakeføring

Graving for landtak, grøfter og fundamentering, terreng og vegetasjon tilbakeføres til opprinnelig tilstand, minimal terrenginngrep

Grunnarbeider for vannledningens landtak og ventilhus, inkludert anleggsvei

Miljø Miljøoppfølgingsplan (MOP)

Tiltak for å beskytte ålegresseng og naturmangfold, inkludert unngå nedslamming og tilpassing av trase

Miljøtiltak for å ivareta naturmangfold og minimere inngrep i sårbare områder

Veg Anleggsvei til ventilhus Berstad

Ny anleggsvei fra eksisterende vei til ventilhus, med dispensasjon for hogst av kantvegetasjon

Adkomstvei for ventilhus ved Berstad

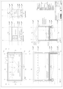
Bygg Ventilhus Pelagia

🧱 Betongfundament, isolert tretak med shingel, rødmalt vertikal kledning, vinyl gulvbelegg, EPS isolasjon

Antall: 1

Fotavtrykk ca. 60 m², mønehøyde 6,4 m, gesimshøyde 5,1 m, ringmur og helstøpt plate, fall mot sluk, frostfri dybde 1,6 m

Frittstående ventilhus med tilhørende tekniske installasjoner ved Pelagia på Moldestad

Hendelser

16.04.2026 Kopi til Stad kommune - Dispensasjon - hogst av kantvegetasjon - Fysiske tiltak i vassdrag - Utlegging av vannledning - Stad - Berstadelva 266/2
23.12.2025 Dispensasjon og rammeløyve til tiltak - vassleidningar i sjø
04.12.2025 Fråsegn - dispensasjon - Stad 266/2 - Berstad - landtak for vassleidning i sjø
04.12.2025 Fråsegn - dispensasjon - Stad - Moldefjorden - Moldestad - Berstad - Kjødspollen - Kjøde - Åheim - utlegging av vassleidning i sjø
20.11.2025 Frist sak 25/3211 - vassleidningar i sjø
20.11.2025 Utsetting av frist - Svar
18.11.2025 Sjøleidning Moldefjorden - Kjødspollen
14.11.2025 Saksnr. 25/3211 - Sjøledning Moldefjorden-Kjødspollen - Status søknad
07.11.2025 Oversending av søknad til uttale
28.10.2025 Supplering av søknad 266/2
23.10.2025 Oversending av søknad til uttale
06.10.2025 Supplering av søknad 269/6
11.09.2025 Mangelbrev
05.09.2025 Kopi til Stad kommune - Vi innvilger søknaden om samtykke etter automatisk saksbehandling
22.08.2025 Supplering av søknad 270/2
22.08.2025 Søknad om rammetillatelse 270/2