Rendering
3D-visualisering (rendering) av en stålkonstruksjon med PVC-tak. Tegningen viser bygningens form, dimensjoner og materialvalg.
1 / 11
NewConstruction
Avslatt
Other
Ny PVC lagerhall på Storbotn 114, Bergen
📍 Storbotn 114 , 5106 ØVRE ERVIK
Nøkkelinfo
- Sakstype
- Nybygg
- Bygningstype
- Other
- Bruksareal
- 362 m²
- Kommune
- Bergen
- Fylke
- Vestland
- Gnr / Bnr
- 209 / 501
- Saksnummer
- BYGG-2025/16065
- Fase
- Avslått
Om byggesaken
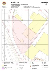
Ny frittstående lagerhall på 362 m² oppføres på Storbotn 114 i Bergen. Hallen bygges som en prefabrikkert stålkonstruksjon kledd med brannhemmende PVC duk, montert på ringmur av betong ca. 30-50 cm over terreng. Bygget skal brukes til lagring av takmaterialer og har et industrielt uttrykk tilpasset området. Hallen er utformet som en branncelle med direkte utgang til det fri og håndslokkeutstyr. Det installeres ikke vann eller avløp i bygget. Bygget har avstand på ca. 2,7 meter til nabogrense, med samtykke fra nabo. Tiltaket er plassert i et område med flomfare, men tiltakshaver har argumentert for at flomfarevurdering ikke er nødvendig. Farge på PVC-duken er lys grå. Søknaden ble avslått på grunn av manglende dokumentasjon for flomsikkerhet og samtykke fra Arbeidstilsynet.
Produkter og materialer
Tømrer
Montering
Montering av PVC hall inkl. plassering og ringmur
Utførelse av bygging av lagerhall
Fasade
PVC duk
🧱 Brannhemmende PVC duk
Lys grå farge, brannhemmende materiale
Fasadekledning i PVC duk for lagerhall
Grunnarbeid
Fundamentering
Fundamentplan og søyleplan for ringmur og stålkonstruksjon
Grunnarbeid for lagerhall
Betong
Ringmur
🧱 Betong
Ringmur ca. 30-50 cm over terreng
Fundament og ringmur for lagerhall
Stål
Stålkonstruksjon
🧱 Stål
Prefabrikkert modulær stålkonstruksjon
Bærekonstruksjon for lagerhall
Brannvern
Brannslokkeutstyr
Håndslokkeutstyr installeres
Brannsikkerhetstiltak i lagerhall
Hendelser
23.03.2026
Fakturagrunnlag, 209/501
23.03.2026
Ubw ordre 20692666
06.02.2026
Søknaden avvises, 209/501, Storbotn 114
16.12.2025
Svar på mottatt supplering - 209/501/0/0 Storbotn 114, oppføring av PVC hall
12.12.2025
Tilleggsdokumentasjon - 209/501/0/0 Storbotn 114, oppføring av PVC hall
11.12.2025
Purring på behov for tilleggsopplysninger
01.10.2025
Behov for tilleggsopplysninger
23.09.2025
Bekreftelse på mottatt søknad
22.09.2025
Storbotn 114 Søknad om tillatelse i ett trinn 209/501
—