Other Igangsettingstillatelse Other

Utbedring av vei og teknisk infrastruktur i Vestbyveien, Frogn

📍 Vestbyveien 100A , 1449 DRØBAK

Nøkkelinfo

Sakstype
Other
Bygningstype
Other
Kommune
Frogn
Fylke
Akershus
Gnr / Bnr
71 / 154
Saksnummer
25/11887
Fase
Igangsettingstillatelse

Om byggesaken

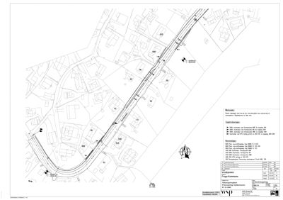
Prosjektet omfatter omfattende utbedring og oppgradering av Vestbyveien over en strekning på ca. 800 meter. Tiltaket inkluderer oppgradering og utvidelse av kjørevei, etablering av gangvei, bygging av forstøtningsmurer, samt anlegg av en «kiss-and-ride» løsning ved Sogsti skole. Eksisterende vann- og avløpsanlegg skal rehabiliteres og oppgraderes for bedre håndtering av overvann, og det skal etableres nytt belysnings- og kabelanlegg. Prosjektet inkluderer også terrengtilpasning, sikring av naturmangfold, og miljøoppfølging i henhold til gjeldende regelverk. Det er gitt rammetillatelse og flere igangsettingstillatelser for ulike deler av tiltaket, og det stilles krav til uavhengig kontroll og miljøoppfølging.

Produkter og materialer

Fasade Forstøtningsmurer

🧱 Betong og stein

Plasstøpte støttemurer i armert betong og steinmurer langs veien, inkludert mur ved bussholdeplass

Oppføring av forstøtningsmurer for å sikre terreng og vei

Isolasjon Frostisolasjon

🧱 XPS 50 mm

Frostisolasjon under fundamentering av støttemurer og vegoverbygning

Isolasjon for å hindre frostskader i konstruksjoner

Maling Vegmerking

Vegmerking i henhold til vegprosjektering for trafikksikkerhet

Oppmerking av kjørevei og gangarealer

Grunnarbeid Veg- og grunnarbeider

Oppgradering og utvidelse av kjørevei, etablering av gangvei, terrenginngrep og masseforflytning over ca. 800 meter vegstrekning

Grunnarbeider for veiutbedring, inkludert masseutskifting, komprimering og terrengtilpasning

Terrasse Gang- og sykkelvei

🧱 Asfalt

Etablering av gangvei langs Vestbyveien, inkludert gang- og sykkelvei og tilhørende infrastruktur

Opparbeidelse av gang- og sykkelvei for økt trafikksikkerhet

Annet Miljøoppfølgingsplan og uavhengig kontroll

Miljøoppfølgingsplan for håndtering av forurenset grunn og fremmede arter, uavhengig kontroll av geoteknikk og sikring av trær

Miljø- og kvalitetskontroll under anleggsfasen

Rekkverk GS-rekkverk

🧱 Stål med korrosjonsbeskyttelse

Godkjent ikke-klatrevennlig GS-rekkverk på støttemurer og ved bussholdeplass

Sikkerhetsrekkverk for myke trafikanter

VVS Vann- og avløpsanlegg

🧱 PVC, PE-rør, sandfang, kummer

Rehabilitering og oppgradering av eksisterende VA-anlegg, nye vannledninger DN63-DN280, spillvanns- og overvannsledninger, sandfangsluker, kummer og drensrør

Oppgradering av vann- og avløpssystem for bedre kapasitet og overvannshåndtering

Elektro Belysningsanlegg

Nytt belysnings- og kabelanlegg langs veien med regulerbare lysarmaturer for områdebelysning

Etablering av nytt belysningsanlegg for vei og gangarealer

Hendelser

21.04.2026 25/11887-9 Felles uttalelse til RAMP
20.04.2026 25/11887-8 Spørsmål om igangsettelse av gang- og sykkelvei - Samlesak - Generelt - Prosjekt Vestbyveien
02.03.2026 25/11887-7 Igangsettingstillatelse for deler av tiltaket - IG3 - 97/2/0/0 - Vestbyveien - Utbedring av vei - Teknisk infrastruktur og VA
12.02.2026 25/11887-6 KOPI - Igangsettingstillatelse for deler av tiltaket - IG2 - 97/2/0/0 - Vestbyveien - utbedring av vei - Teknisk infrastruktur og VA
03.02.2026 25/11887-4 KOPI - Endring av vedtak - 97/2/0/0 - Vestbyveien - utbedring av vei - Teknisk infrastruktur og VA
20.01.2026 25/11887-5 25/11887-3 - Besøk - dialog om regional areal- og mobilitetsplan
23.12.2025 25/11887-3 KOPI - Rammetillatelse - 97/2/0/0 - Vestbyveien - Utbedring av vei - Teknisk infrastruktur og VA
14.10.2025 25/11887-2 Svar - Klage på valg av leverandør av lette fyllmasser i prosjektet "Frogn kommune - Vestbyveien"
10.10.2025 25/11887-1 Klage på valg av leverandør av lette fyllmasser i prosjektet "Frogn kommune - Vestbyveien"