Extension Soeknad Other

Ny carport, murer og uteplass på Eikehaugen 63

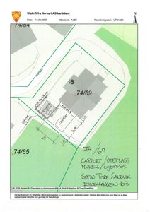
📍 Eikehaugen 63 , 4139 FISTER

Nøkkelinfo

Sakstype
Tilbygg
Bygningstype
Other
Bruksareal
72 m²
Kommune
Hjelmeland
Fylke
Rogaland
Gnr / Bnr
74 / 69
Saksnummer
2026/530
Fase
Søknad

Om byggesaken

Ny carport på inngangsnivå med flatt tak i tre, oppført for å bedre parkerings- og snuareal på tomten. Det etableres murer i ulike høyder for å håndtere terrengforskjeller, samt rekkverk for sikkerhet. Mellom murene blir det anlagt en overbygd uteplass som bidrar til å redusere høyden på murene i bakkant. Utearealet bearbeides mot kommunal vei for å skape et mer funksjonelt leke- og hageområde. Tiltaket omfatter også terrenginngrep og opparbeidelse av uteareal på en tomt som i dag er preget av steinrøys og villnis.

Produkter og materialer

Fasade Carport

🧱 Tre

Antall: 1

Carport med flatt tak i tre, plassert på inngangsnivå

Ny carport for parkering og snuareal på tomten

Grunnarbeid Terrengbearbeiding

Terrenginngrep for opparbeidelse av uteareal mot kommunal vei

Planering og bearbeiding av tomt for uteareal og adkomst

Fasade Murer

🧱 Betong/stein

Murer i ulike høyder for terrengtilpasning, med rekkverk for sikkerhet

Murer for å ta opp høydeforskjeller på tomten, delvis med rekkverk

Terrasse Overbygd uteplass

🧱 Tre og takmateriale

Antall: 1

Overbygd uteplass mellom murene som reduserer visuell høyde på murene

Overbygd uteplass for hage- og lekeområde

Rekkverk Sikkerhetsrekkverk på murer

🧱 Tre eller metall

Rekkverk for å sikre høydeforskjeller på murene

Sikkerhetsrekkverk montert på murer

Tømrer Bygging av carport og uteplass

🧱 Treverk

Tømrerarbeid for carport og overbygd uteplass

Tømrerarbeid for oppføring av carport og uteplass

Betong Fundamentering og støttemurer

🧱 Betong

Betongarbeid for fundamentering av murer og carport

Betongarbeid utført av ansvarlig entreprenør

Plantegning

Enebolig 120.5 m²

Etasje 1 120.5 m²

Rom Areal Vinduer Dører
Stue 101 29.1 m² 2 1
Kjøkken 102 17.0 m² 1 1
Husflis 103 16.7 m² 0 1
Bad 104 4.5 m² 0 1
Vaskerom 105 8.4 m² 0 1
Bod 106 4.1 m² 0 1
Gang 107 16.7 m² 0 0

Fasader

Carport

Nord
Materiale
Tre
Taktype
Flatt tak
Vinduer
0
Dører
0
Synlige etasjer
1

Herskapelig

Sør
Materiale
Tre
Taktype
Saltak
Takmat.
Tegl
Høyde
6.0 m
Mønehøyde
8.0 m
Vinduer
4
Dører
1
Synlige etasjer
2

Enebolig

Vest
Materiale
Tre
Taktype
Saltak
Høyde
6.0 m
Mønehøyde
8.0 m
Vinduer
4
Dører
1
Balkonger
2
Synlige etasjer
2

Hendelser

17.04.2026 74/69 - Eikehaugen 63 Søknad om tillatelse i ett trinn