Extension UnderBehandling Other

Nytt tennishus og tennisbane i Nordheimveien 53, Arendal

📍 Nordheimveien 53 , 4818 FÆRVIK

Nøkkelinfo

Sakstype
Tilbygg
Bygningstype
Other
Bruksareal
52 m²
Kommune
Arendal
Fylke
Agder
Gnr / Bnr
205 / 2
Saksnummer
2026/6932
Fase
Under behandling

Om byggesaken

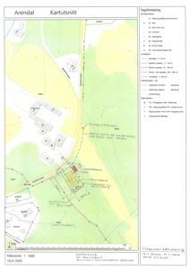
Ny oppføring av tennishus på ca. 52 m² BRA med saltak og trekledning, som erstatter et gammelt hønsehus på samme sted. Bygningen har 1 etasje, gesimshøyde ca. 4,2 meter, og er utformet med flere vinduer (9 totalt) og 1 dør. Det etableres en tennisbane med standardmål 18x36 meter, med tilhørende terrengutjevning og forstøtningsmur. Tennishuset kobles til offentlig vann og avløp via eksisterende ledninger. Tiltaket inkluderer også opparbeidelse av uteområder rundt banen. Bygget og banen er plassert i et LNF-område med dispensasjon fra arealformålet. Prosjektet innebærer riving av eksisterende hønsehus og oppføring av nytt anneks/tennishus i tilknytning til tennisbanen.

Produkter og materialer

Annet Tennisbane

Antall: 1

Tennisbane med standardmål 18x36 meter

Opparbeidelse av tennisbane med standardmål

Dører Ytterdør i tre

🧱 Tre

Antall: 1

En ytterdør i tennishus

Grunnarbeid Terrengutjevning og forstøtningsmur

Terrengutjevning for tennisbane, forstøtningsmur rundt bane

Opparbeidelse av tennisbane med terrengutjevning og forstøtningsmur

Vinduer Fasadevindu i tre

🧱 Tre

Antall: 9

Totalt 9 vinduer i tennishus, fordelt på fasader

Tømrer Bygging av tennishus

🧱 Tre

Oppføring av tennishus med trekonstruksjoner

Tømrerarbeid for nytt tennishus som erstatter hønsehus

Tak Saltak med tegl

🧱 Tegl

Saltak med tegl, gul farge

Saltak på tennishus med tegl takmateriale

Fasade Trekledning

🧱 Tre

Tennishus med trekledning, gul farge

Trekledning på tennishus for fasader øst, nord, sør og ukjent side

VVS Vann og avløp tilkobling

Tilkobling til offentlig vann- og avløpsnett via eksisterende ledninger

Vann- og avløpsinstallasjoner til tennishus

Fasader

Tennishus

Ukjent
Materiale
Tre
Taktype
Saltak
Høyde
4.2 m
Vinduer
4
Dører
1
Synlige etasjer
1
Øst
Materiale
Tre
Taktype
Saltak
Takmat.
Tegl
Vinduer
3
Dører
0
Synlige etasjer
1
Nord
Materiale
Tre
Taktype
Saltak
Vinduer
1
Dører
0
Synlige etasjer
1
Sør
Materiale
Tre
Taktype
Saltak
Vinduer
1
Dører
0
Synlige etasjer
1

Hendelser

21.04.2026 Ber om tilbakemelding - 205/2 - Nordheimveien 53, 59, 61, 75 - tennisbane - riving av hønsehus - nytt tennishus
23.03.2026 205/2, Sophienlund (flere adresser) - tilleggsinformasjon
09.03.2026 DOK-analyse 06.03.2026
27.02.2026 Nordheimveien 53, 59, 61, 75, melding om mottatt søknad
26.02.2026 Nordheimveien 53, 59, 61, 75 Søknad om rammetillatelse 205/2