Extension Ferdigattest Tomannsbolig

Tilbygg og endring av tomannsbolig i Langetjønnveien 18, Kristiansand

📍 Langetjønnveien 20 , 4638 KRISTIANSAND S

Nøkkelinfo

Sakstype
Tilbygg
Bygningstype
Tomannsbolig
Bruksareal
216 m²
Boenheter
2
Kommune
Kristiansand
Fylke
Agder
Gnr / Bnr
69 / 112
Saksnummer
24/21847
Fase
Ferdigattest

Om byggesaken

Prosjektet omfatter oppføring og endring av en tomannsbolig i Langetjønnveien 18, Kristiansand. Bygget har totalt ca. 216 m² BRA fordelt på underetasje, 1. etasje og loft, med saltak og flatt tak. Det er to trapper i bygget, flere bad, soverom, stue/kjøkken, bod, vaskerom og mediarom. Det er etablert altaner på loftet og terrasser på 1. etasje. Bygget har tre etasjer med funksjoner fordelt på flere rom, og det er benyttet trekledning på fasadene. Prosjektet inkluderer også dispensasjon fra krav om tilgjengelighet for enkelte boliger i området. Det er gitt midlertidig brukstillatelse og søkt om ferdigattest. Prosjektet har gjennomgått flere søknadsfaser og suppleringer, og det er etablert ansvarsrett for prosjektering, utførelse og kontroll.

Produkter og materialer

Trapper Innvendige trapper

Antall: 2

To trapper i bygget mellom etasjer

Innvendige trapper for etasjeadkomst

Elektro Elektriske installasjoner

Elektriske installasjoner for bolig

Dører Ytterdører og balkongdører

🧱 Tre

Antall: 10

Dører i fasader og til altan/terrasse, inkludert 2 dører på Nord/Øst fasade

Ytterdører og terrassedører i tre

Gulv Gulvbelegg

Gulvbelegg i boligrom, bad og vaskerom

Fasade Trekledning

🧱 Tre

Trekledning på alle fasader

Trekledning som fasademateriale

Rekkverk Rekkverk til altaner og terrasser

Antall: 2

Rekkverk til altaner og terrasser

Bad Sanitærutstyr og fliser

Antall: 4

Bad i underetasje, 1. etasje og loft, med flislagte gulv og vegger

Bad med sanitærutstyr og flislagte overflater

Betong Betongarbeider inkl radon

Betongarbeider utført av Mur i Sør AS, inkl radonsikring

Betongarbeider for fundament og konstruksjon

Maling Innvendig og utvendig maling

Maling av innvendige og utvendige flater

Pipe Pipe for ovn/kamin

Antall: 1

Pipe oppført av Mur i Sør AS

Pipe for ildsted i bolig

Ventilasjon Ventilasjonsanlegg

Ventilasjonsanlegg prosjektert og montert

Ventilasjonsanlegg for bolig

Grunnarbeid Grunnarbeider og drenering

Grunnarbeider og drenering utført av entreprenør

Grunnarbeid og drenering for tomt og bygg

VVS Varme og sanitærinstallasjoner

Elektriske varmekabler, ovn/kamin/peis, varmepumpe luft, sanitærinstallasjoner

Varme- og sanitærinstallasjoner i bolig

Tømrer Tømrerarbeid og trekonstruksjoner

🧱 Tre

Tømrerarbeid og montering av trekonstruksjoner utført av Roger Aamodt Bygg AS

Tømrerarbeid for byggkonstruksjon og innredning

Vinduer Fasadevindu

🧱 Tre

Antall: 8

6 vinduer på Nord/Øst fasade, 1 vindu i stue underetasje, 1 vindu i stue 1. etasje

Fasadevinduer i tre for naturlig lys og ventilasjon

Tak Saltak og flatt tak

🧱 Ikke spesifisert

Antall: 2

Saltak på Nord/Vest og Sør/Vest fasade, flatt tak på Nord/Øst fasade

Taktekking med saltak og flatt tak

Terrasse Terrasse og altan

Antall: 4

Terrasse på 13,4 m² og 13,8 m² på 1. etasje, altan på 8,4 m² og 8,7 m² på loft

Utendørs terrasse og altan for opphold

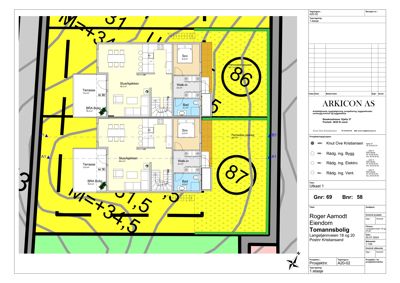
Plantegning

Enebolig 230.0 m²

Etasje 0 73.9 m²

Rom Areal Vinduer Dører
Stue 101 10.0 m² 1 1
Alkove 102 6.3 m² 0 1
Bad 103 3.9 m² 0 0
Bad 104 8.2 m² 0 0
Entre 105 21.2 m² 0 2
Bod 106 5.3 m² 0 1
Vask 107 4.1 m² 0 0
Mediarom 108 10.9 m² 0 1
Stue U01 10.0 m² 1 1
Alkove U02 6.3 m² 0 1
Bad U03 3.9 m² 0 1
Bad U04 8.2 m² 0 1
Entre U05 21.2 m² 0 2
Bod U06 5.3 m² 0 1
Vask U07 4.1 m² 0 1
Mediarom U08 10.9 m² 0 1
Altan 001 8.4 m² 0 1
Sov 002 7.9 m² 0 1
Loftstue 003 23.7 m² 0 1
Bad 004 4.1 m² 0 1
Sov 005 6.8 m² 0 1
Bod 006 5.0 m² 0 1
Bod 007 5.3 m² 0 1
Vask 008 4.1 m² 0 0

Etasje 1 156.1 m²

Rom Areal Vinduer Dører
Stue/kjøkken 101 49.3 m² 1 2
Sov 102 8.9 m² 1 1
Walk-in 103 6.4 m² 0 1
Bad 104 4.7 m² 0 1
Terrasse 105 13.4 m² 0 1
Stue/kjøkken 201 49.3 m² 1 2
Sov 202 9.0 m² 1 1
Walk-in 203 6.4 m² 0 1
Bad 204 4.8 m² 0 1
Terrasse 205 13.8 m² 0 1
Bod 106 5.1 m² 0 1

Fasader

Tomannsbolig

Nord/Vest
Materiale
Tre
Taktype
Saltak
Vinduer
0
Dører
1
Synlige etasjer
2
Sør/Vest
Materiale
Tre
Taktype
Saltak
Vinduer
0
Dører
1
Synlige etasjer
2
Nord/Øst
Materiale
Tre
Taktype
Flatt tak
Vinduer
6
Dører
2
Synlige etasjer
2

Hendelser

22.04.2026 2024021847-18 Langetjønnveien 18 Supplering av søknad 69/58
21.04.2026 2024021847-17 Langetjønnveien 18-20 - 69/58 69/112, tomannsbolig - foreløpig tilbakemelding på søknad om endring
10.04.2026 2024021847-16 Langetjønnveien 18 Søknad om endring av gitt tillatelse eller godkjenning 69/58
15.12.2025 2024021847-15 Langetjønnveien 18 Supplering av søknad 69/58
08.12.2025 2024021847-14 Langetjønnveien 18 Søknad om ferdigattest 69/58
06.10.2025 2024021847-12 Langetjønnveien 18 Søknad om midlertidig brukstillatelse 69/58
06.10.2025 2024021847-13 Langetjønnveien 18-20, 69/58 - 69/112, tomannsbolig - midlertidig brukstillatelse for Langetjønnveien 18
24.03.2025 2024021847-11 Langetjønnveien 18 Supplering av søknad 69/58
02.10.2024 2024021847-10 Langetjønnveien 18-20, tomannsbolig - tillatelse
30.09.2024 2024021847-9 Langetjønnveien 18 -36, medierom er tilleggsdel